Next Article in Journal
Distribution of Plasmopara viticola Causing Downy Mildew in Russian Far East Grapevines
Next Article in Special Issue
Novel R2R3-MYB Transcription Factor LhMYB1 Promotes Anthocyanin Accumulation in Lilium concolor var. pulchellum
Previous Article in Journal
The Genome-Wide Identification of the R2R3-MYB Gene Family in Chinese Flowering Cabbage and the Characterization of Its Response to Pectobacterium carotovorum Infection
Previous Article in Special Issue
Rapid Construction and Application of a Vector for Tobacco Ringspot Virus-Induced McPDS Silencing in Bitter Gourd
 
 
Font Type:
Arial Georgia Verdana
Font Size:
Aa Aa Aa
Line Spacing:
Column Width:
Background:
Article

BcBZR1 Regulates Leaf Inclination Angle in Non-Heading Chinese Cabbage (Brassica campestris ssp. chinensis Makino)

1
Department of Horticulture, College of Horticulture, Nanjing Agricultural University, Nanjing 210095, China
2
State Key Laboratory of Crop Genetics & Germplasm Enhancement and Utilization, Nanjing 210095, China
3
Key Laboratory of Crop Physiology Ecology and Production Management, Ministry of Agriculture and Rural Affairs, Nanjing 210095, China
*
Author to whom correspondence should be addressed.
Horticulturae 2024, 10(4), 324; https://doi.org/10.3390/horticulturae10040324
Submission received: 25 February 2024 / Revised: 17 March 2024 / Accepted: 25 March 2024 / Published: 27 March 2024
(This article belongs to the Special Issue New Advances in Molecular Biology of Horticultural Plants)

Abstract

Brassinosteroids (BRs) play critical roles in plant growth by promoting cell elongation and division, leading to increased leaf inclination angles. BRASSINAZOLE RESISTANT 1 (BZR1) and BRI1-EMS-SUPPRESSOR 1 (BES1) act as transcription factors in the brassinosteroid signaling pathway and are involved in several physiological activities regulated by BRs. In this study, we identified and cloned BcBZR1 from the heitacai non-heading Chinese cabbage (NHCC) cultivar. The sequence analysis showed that the coding sequence length of BcBZR1 is 996 bp, encoding 331 amino acid residues. Subcellular localization assays showed that BcBZR1 is localized in the nucleus and cytoplasm and that BcBZR1 protein is transported to the nucleus after receiving BR signals. Compared with Col-0, the leaf inclination angle was smaller in BcBZR1-OX. The EBR treatment experiment indicated that BRs regulate the differential expression of paclobutrazol resistance1 (PRE1) and ILI1 binding bHLH1 (IBH1) in the adaxial and abaxial cells of the petiole through BZR1, thus regulating the leaf inclination angle. The bimolecular fluorescence complementation (BiFC) assay indicated that BcBZR1 interacts with C-repeat Binding Factor2 (BcCBF2) and CBF3. Taken together, our findings not only validate the function of BcBZR1 in leaf inclination angle distribution in non-heading Chinese cabbage, but also contribute to the mechanism of leaf inclination angle regulation in this species under cold stress.

1. Introduction

Crop yield is mainly affected by photosynthetic efficiency, which plants adjust by regulating the canopy structure [1]. The angle between the foliar normal and the zenith direction, known as the leaf inclination angle, is one of the main canopy structure parameters affecting light interception and photosynthetic efficiency [2]. Many studies have found that the plant leaf inclination angle is mainly regulated by hormones such as BRs [3,4], auxin [5,6,7] and gibberellins (GAs) [8,9,10,11].
BRs promote cell elongation and division [12], and exogenous BRs promote the expression of cell division cycle protein 48 (CDC48) gene, which is a cell cycle regulatory gene [13]. Previous studies have found that the leaf inclination angle is determined by differences between the adaxial and abaxial tissues at the leaf base, with the length and number of cells being the main influencing factors [14]. Therefore, the synthesis and signaling of BRs are important factors affecting the regulation of the plant leaf inclination angle [3]. Activators for cell elongation (ACEs), basic helix–loop–helix (bHLH) transcription factors, directly activate the transcription of cell elongation-related genes. However, the interaction between IBH1 and ACEs interferes with the binding of ACEs to the target genes, disrupting cell elongation. PRE1 indirectly restores the transcriptional activity of ACEs by competing with ACEs for binding to IBH1, thereby promoting cell elongation [15,16]. In rice, exogenous brassinosteroids inhibit IBH1 transcription and activate the expression of ILI1 through BZR1 [17], a key regulatory gene in the BR signal transduction pathway [18,19]. ILI1 interacts with the bHLH protein, IBH1, to regulate the development of adaxial and abaxial cells, thereby inhibiting the leaf vertical growth induced by IBH1 overexpression [17,20]. In addition, BZR1/BES1 is not only a key component of the BR signaling pathway, but also interacts with components of other signaling pathways as a core regulator, thus integrating various signals and ultimately regulating the leaf inclination angle in plants [21]. BZR1 interacts with ELONGATED HYPOCOTYL 5 (HY5), antagonizing downstream target genes, thus coordinating plant photomorphogenesis [22]. Low temperatures promote the binding of BZR1 to BRRE and E-BOX in the promoter region of CBF1 and CBF2 and enhance the transcriptional regulation of growth-related genes performed by BZR1, thus balancing growth and cold tolerance in plants [23,24]. These results suggest that BZR1 plays an important role in leaf inclination angle regulation.
Non-heading Chinese cabbage is a Brassica species belonging to the Brassicaceae family and is widely planted in the Yangtze River Basin, constituting a significant source of income for farmers. Therefore, research on the regulatory mechanism of leaf inclination angle in this species may result in increases in yield and farmers’ income. In order to investigate whether BRs regulate the leaf inclination angle in the abovementioned species and whether BZR1 is involved, BcBZR1 was isolated from this plant, and BcBZR1-OX Arabidopsis thaliana was successfully obtained. EBR treatment results show that BRs are involved in regulating the leaf inclination angle in non-heading Chinese cabbage and that BcBZR1 plays a key role in this mechanism. We further demonstrated that BcCBF1 and BcCBF2 interact with BcBZR1 in vivo and participate in the transcriptional regulation of BcPRE1. These findings deepen our understanding of the function of BZR1 in the Brassicaceae family, suggesting that BcBZR1 is involved in the regulation of the leaf inclination angle in non-heading Chinese cabbage.

2. Materials and Methods

2.1. Plant Materials and Growth Conditions

The seeds of the heitacai non-heading Chinese cabbage cultivar were provided by the Cabbage Systems Biology Laboratory of Nanjing Agricultural University and grown in illumination incubators under a light/dark cycle for 16 h/8 h at 24 °C/22 °C, respectively. The leaves, petioles, roots, and stems of 1-month-old seedlings and fully open flowers were collected for gene expression analysis. The Nicotiana benthamiana and Col-0 used in this study were grown in illumination incubators under the same conditions.

2.2. Sequence Analysis of BcBZR1

The full-length coding sequence (CDS) of BcBZR1 was obtained from the heitacai non-heading Chinese cabbage cultivar. The physicochemical characteristics of the BcBZR1 protein were analyzed using the Expasy website (https://web.expasy.org/protparam/ (accessed on 6 September 2021)). The homologous genes of BcBZR1 were searched on the online BLAST server (https://blast.ncbi.nlm.nih.gov/Blast.cgi (accessed on 6 September 2021)). The multiple-sequence alignment of homologous proteins was performed with Jalview (downloaded from https://jalview.software.informer.com/ (accessed on 6 September 2021)); then, a phylogenetic tree analysis was performed using MEGA-X (downloaded from https://www.megasoftware.net/ (accessed on 6 September 2021)). The conserved motifs were analyzed using the MEME website (http://meme-suite.org/tools/meme (accessed on 6 September 2021)).

2.3. Subcellular Localization

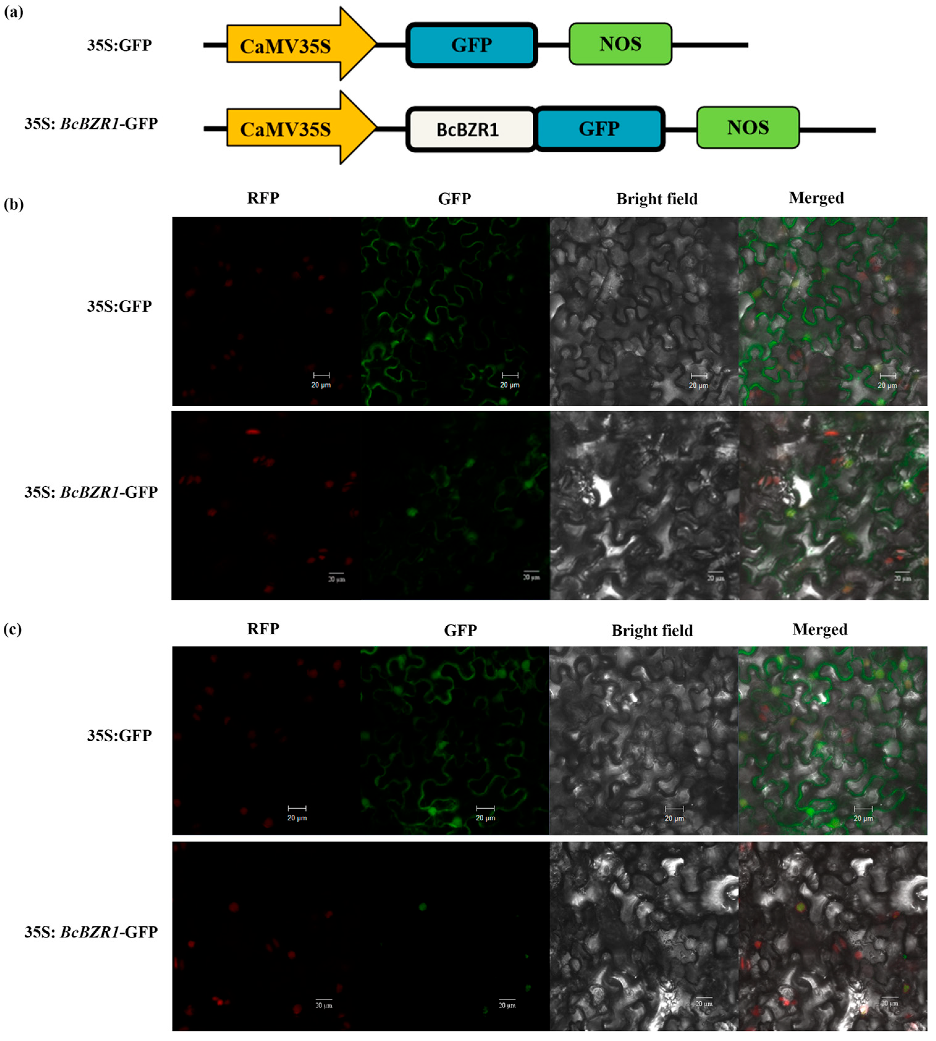
For subcellular localization, first, the protein-coding region of BcBZR1 was cloned into pEasy-Blunt (TransGen, Beijing, China); then, 35S: BcBZR1-GFP was generated through an LR reaction between pEasy-BcBZR1 and the PR101-GFP vector. The main primers used in our study are listed in Table S1. These plasmids were transformed into Agrobacterium strain GV3101 for infiltration into tobacco leaves. Then, the leaves were injected with 35S: BcBZR1-GFP/35S: GFP and RFP (nuclear maker red fluorescent protein). About 60 h after infiltration, we collected images by using confocal laser scanning microscopy (LSM 500; Zeiss, Oberkochen, Germany).

2.4. Agrobacterium-Mediated Transformation

To obtain BcBZR1-OX lines, Arabidopsis thalina (Columbia) was transformed with 35S: BcBZR1-GFP by using an Agrobacterium tumefaciens-mediated floral-dip method [25]. The T0 seeds from the transfected plants were harvested, surface-sterilized and screened on MS solid medium containing 50 mg/L Kana and 16 mg/L Timetin. After about 14 days, only the positive seedlings could grow normally. These were further examined with PCR analysis and then transplanted and grown in a plant growth chamber. The seeds obtained from the positive seedlings were transgenic seeds of the T1 generation, which were further selected on MS solid medium with the same resistance and verified by using PCR. We repeated this process until we obtained the T3 generation. Then, the T3 BcBZR1-OX lines were selected for quantitative real-time PCR (qRT-PCR) analysis.

2.5. RNA Extraction and qRT-PCR Analysis

Total RNA was extracted by using an easy-to-use total RNA extraction kit (TIANGEN, Beijing, China). The quality of the RNA samples was analyzed using agarose gel analysis. cDNA was synthesized using a Hifair II 1st Strand cDNA Synthesis Kit (Yeasen, Shanghai, China). AtActin (AT1G80000) and BcActin (BraC09g068080.1) were used as the internal reference to which the relative expression level was normalized. The gene-specific primer sequences used are listed in Table S1. The qPCR analysis was performed using SYBR Green Master Mix (Yeasen, Shanghai, China). The data were analyzed using the 2−∆∆CT method [26].

2.6. EBR Treatment

The three-week-old non-heading Chinese cabbage specimens were transferred to a 10 mL centrifuge tube for hydroponics and acclimated for three days. According to the preliminary test results (Figure S1), two treatments were set up: water (control check) and 1 µmol/L 2, 4-epibrassinolide (EBR). The samples were collected at specific time-points after treatment for a gene expression assay. A photograph was taken 2 d after treatment, and the leaf inclination angle in the photograph was measured by using Image J [27]. The samples were cut at the bend of the petiole to make paraffin sections, which were used to observe the differences in cell morphology between adaxial and abaxial ends [28].

2.7. Low-Temperature Stress Treatment

To analyze the expression levels of genes, 15-day-old seedlings were transferred to illumination incubators for low-temperature stress treatment at 4 °C for 2 days, and samples were collected at specific time-points.

2.8. Bimolecular Fluorescence Complementation

To generate constructs for bimolecular fluorescence complementation (BiFC), the coding sequences of both BcBZR1 and BcCBF2/3 were amplified and cloned into pFGC-YN173 and pFGC-YC155, respectively. These plasmids were transformed into Agrobacterium strain GV3101 for infiltration into tobacco leaves. Then, the leaves were injected with BcCBF2/3-cYFP or BcBZR1-nYFP. About 60 h after infiltration, we collected images of the leaves using confocal laser scanning microscopy (LSM 500; Zeiss, Oberkochen, Germany).

3. Results

3.1. Sequence and Expression Analysis of BcBZR1

To identify BZR genes in NHCC, we analyzed the NHCC001 genomic database using the CDSs of AtBZR1/2 and AtBEH1/2/3/4 as the reference sequences [29]. We identified 14 putative BZR orthologs and then constructed the phylogenetic tree. The results show that BraC07g027980.1 and BraC07g038780.1 are in the same subfamily as AtBZR1, and the former was denoted as BcBZR1 (Figure S2). We cloned the CDS of BcBZR1 from the heitacai variety by using homology cloning.
The sequence analysis showed that the coding sequence length of BcBZR1 is 996 bp, encoding 331 amino acid residues. The analysis with Expasy online software showed that the molecular weight of BcBZR1 protein is 35.88 kDa and that the theoretical isoelectric point (pI) is 9.05. The multiple-sequence alignment of BcBZR1 and BZR1 proteins from different crops (Brassica napus, Brassica rapa, Brassica oleracea, Raphanus sativus, Hirschfeldia incana, Arabidopsis thaliana and Eutrema salsugineum) showed that they have a highly conserved BES1 domain at the N-terminal (Figure 1a). In addition, the results of the motif analysis indicate that there were identical motifs of full proteins. These results suggest that the function of BZR1 is conservative in Brassicaceae crops (Figure 1b).
To verify the temporal and spatial expression patterns of BcBZR1 in different tissues and organs in non-heading Chinese cabbage, qRT-PCR assays were performed to identify its expression levels. The results show that the level of BcBZR1 was the highest in the leaves and the lowest in the stems and petioles (Figure 2). These results indicate that BcBZR1 plays important roles in the leaf growth process and that trace amounts of BcBZR1 regulate the leaf inclination angle in non-heading Chinese cabbage petioles.

3.2. Subcellular Localization of BcBZR1 Protein

To investigate the function of BcBZR1, we performed a subcellular localization assay. The fusion constructs of 35S: BcBZR1-GFP and the control vector 35S: GFP were injected into tobacco leaves, and the red fluorescent protein (RFP) construct was co-transferred to tobacco leaves as a nuclear localization signal. As shown in Figure 3b, yellow and green fluorescence could be observed in the nucleus and the cytomembrane, respectively, in the tobacco leaves injected with 35S: BcBZR1-GFP. The results indicate that the BcBZR1 is active in the nucleus, conforming to the characteristics of transcription factors.
To investigate how BcBZR1 responds to BR signals, tobacco leaves were injected with the fusion constructs of 35S: BcBZR1-GFP and 35S: GFP. Then, the leaves were sprayed with 1 µmol/L EBR. As shown in Figure 3c, yellow fluorescence could be observed in the nucleus, but no fluorescence signal was observed in the cytoplasm, indicating that BcBZR1 is transferred to the nucleus to act as a transcription factor after receiving the BR signal. This result indicates that BcBZR1 is involved in the BR signal pathway, which is consistent with previous studies [30].

3.3. Overexpression of BcBZR1 in Arabidopsis Causes Leaf Inclination Angle Decrease

To investigate the function of BcBZR1 in BR-regulated plant leaf inclination angle in non-heading Chinese cabbage, we obtained transgenic Arabidopsis thaliana overexpressing BcBZR1 by using a constitutive 35S promoter. The result of qRT-PCR revealed a much higher transcript level of BcBZR1 in BcBZR1-OX compared with Col-0 (Figure 4a). Further, the results show that leaves spread more widely in BcBZR1-OX than in Col-0 (Figure 4b,c). The results of leaf inclination angle measurements show that this parameter was significantly smaller in BcBZR1-OX than in Col-0 (Figure 4d). Further, we examined the expression levels of AtPRE1 and AtIBH1, cell elongation antagonist genes. The results show that the transcript levels of AtPRE1 were significantly increased and that the expression level of AtIBH1 was significantly reduced in BcBZR1-OX compared with Col-0 (Figure 4e,f). Therefore, we hypothesized that the difference in the expression levels of genes encoding the elongation of adaxial and abaxial cells might have been responsible for the increased leaf angle observed in BcBZR1-OX.

3.4. EBR Treatment Leads to Reduced Leaf Inclination Angle in Non-Heading Chinese Cabbage

To investigate whether BRs regulate the leaf inclination angle in non-heading Chinese cabbage, three-week-old seedlings were treated with 1 µmol/L EBR. We observed that leaves spread more widely and the leaf inclination angle was smaller in EBR-treated NHCC than in CK (Figure 5a,b, respectively). Further, we measured the length and width of the cells at the petiole–stem junction of the treatment and CK groups. The results show that in the treatment group, the length and width of the adaxial cells were 1.61 and 1.72 times greater than those of the abaxial cells, respectively; in the control group, the length and width of the adaxial cells were 1.36 and 1.22 times greater than those of the abaxial cells, respectively. These results suggest that EBR increases the difference in cell length and width between the adaxial and abaxial axes at the petiole–stem junction to regulate the leaf inclination angle in non-heading Chinese cabbage (Figure 5e,j). Then, we examined the difference in BcBZR1, BcPRE1 and BcIBH1 expression between CK and treatment groups. As shown in Figure 5k,l, the expression levels of BcBZR1 and BcPRE1 in the proximal and distal axes first increased and then decreased, reaching the maximum value after 8 h of EBR treatment. The differences in the expression levels of BcBZR1 and BcPRE1 between adaxial and abaxial cells also first increased and then decreased. However, the expression levels of BcIBH1 in the proximal and distal axes were opposite to those of BcBZR1 and BcPRE1 (Figure 5m). These results suggest that EBR regulates the differential expression of PRE1 and IBH1 in the adaxial and abaxial cells of the petiole through BZR1, which then affects the adaxial and abaxial cell growth and thus regulates the leaf inclination angle in non-heading Chinese cabbage.

3.5. Interaction between BcBZR1 and BsCBF2/3 In Vivo

Many studies have demonstrated that BZR1/BES1-based responses are part of cold tolerance mechanisms [31,32]. To investigate whether BcBZR1 is involved in the regulation of the leaf inclination angle at low temperatures, non-heading Chinese cabbage seedlings were subjected to 4 °C low-temperature stress. We measured the leaf inclination angle of specimens in the treatment and control groups, and the results show that the leaf inclination angle in NHCC at 4 °C was significantly smaller than that in the CK group (Figure 6a,b). Then, we examined the expression levels of BcBZR1, BcCBF2/3 and BcPRE1. As shown in Figure 6c, the expression levels of the former two increased, while that of the latter first increased and then decreased, reaching the maximum value after 12 h of treatment. The results indicate that short-term low-temperature stress promotes the transcription of BcCBF2/3, BcBZR1 and BcPRE1. However, the transcription of the latter, a cell elongation gene downstream of BcBZR1, was repressed under long-term low-temperature stress in our study. These results are consistent with those of previous studies on the growth regulatory role of BZR1 under low-temperature stress [24].
We then isolated BcCBF2/3 from the heitacai cultivar and performed bimolecular fluorescence complementation (BiFC) in tobacco leaves. Tobacco leaves co-injected with the fusion constructs of BcCBF2/3-cYFP and BcBZR1-nYFP formed the treatment group, and those injected with cYFP+nYFP/cYFP+BcBZR1-nYFP, the negative control group. As shown in Figure 6d, strong nuclear YFP signals were observed in combination with BcBZR1-nYFP and BcCBF2/3-cYFP, while no YFP signals were detected in the negative controls. These results indicate that BcBZR1 and BcCBF2/3 may form a complex to regulate cell growth under low-temperature stress, resulting in a reduced leaf inclination angle in non-heading Chinese cabbage.

4. Discussion

The leaf inclination angle is one of the main plant strain indicators, and its distribution is closely related to plant canopy light interception, leaf photosynthetic efficiency and biomass accumulation [33]. The plant leaf inclination angle is regulated by two types of pathways, namely regulatory pathways involving plant hormones [34] and non-plant hormonal regulatory pathways, such as cell wall thickness [35] and mechanical tissue strength pathways [36]. Previous reports have shown that the synthesis and signaling of BRs affect the regulation of the plant leaf inclination angle, in which BZR1, a key regulatory gene in the BR signaling pathway, is also involved [17]. However, the biological role of BZR1 in non-heading Chinese cabbage is poorly understood. In this study, we isolated BcBZR1 from the heitacai non-heading Chinese cabbage variety, which has a typical BSE1 domain and is homologous to BnBZR1 in Brassica napu. Multiple-sequence and motif analyses revealed high similarity between BcBZR1 and AtBZR1, suggesting that BcBZR1 may also be involved in leaf inclination angle regulation in non-heading Chinese cabbage. Through subcellular localization, we found that BcBZR1 is localized in the nucleus and cytoplasm and is translocated to the nucleus to act as a transcription factor after receiving BR signals. We further analyzed the expression levels of BcBZR1 in different tissues and found that they were the lowest in the petioles, which indicates that trace amounts of BcBZR1 are sufficient to regulate leaf inclination angle distribution in petioles.
We overexpressed BcBZR1 in Arabidopsis thaliana to visually investigate its function. We found that the seedling phenotypes of BcBZR1-OX included significantly long petioles and a small leaf inclination angle, similar to PRE1-overexpressing Arabidopsis thaliana [37] but opposite to IBH1-overexpressing lines [38,39]. It was shown that in rice, exogenous brassinosteroids repress IBH1 transcription and activate PRE1 expression through BZR1, leading to increased leaf inclination angle [17]. We hypothesized that overexpression of BcBZR1 promotes the expression of cell growth-related genes and decreases the expression of growth inhibitory factors. The results of our analyses show that the expression levels of AtPRE1 were significantly increased in BcBZR1-OX compared with Col-0, while those of AtIBH1 were significantly decreased. Numerous studies have shown that the leaf inclination angle is due to differences in cells and tissues on the proximal and distal axial surfaces at the base of leaves [40], so we hypothesized that the decreased leaf inclination angle in BcBZR1-OX Arabidopsis seedlings might have been due to different expression levels of AtPRE1 and AtIBH1 in adaxial and abaxial cells.
To investigate whether the abovementioned function of BcBZR1 is similar in non-heading Chinese cabbage, we treated seedlings of this species with EBR and found that their leaf inclination angle was significantly reduced. Then, we sectioned the specimens to observe the differences between adaxial and abaxial cells at the petiole–stem junction and found that EBR treatment resulted in the significant elongation and thickening of adaxial cells, while the growth of abaxial cells was relatively slow. The qRT-PCR results show that EBR increased the differences in the expression levels of BcBZR1, BcPRE1 and BcIBH1 in the proximal and distal axes. These results suggest that BcBZR1 regulates the leaf inclination angle in non-heading Chinese cabbage by regulating the differential expression of adaxial and abaxial cell growth genes. Nevertheless, the principles of differential gene expression need to be further investigated.
Previous studies have shown that BZR1/BES1 is involved in the regulation of plant growth at low temperatures and that long-term low temperatures inhibit the expression of growth-promoting factors [22]. Since the leaf inclination angle in non-heading Chinese cabbage is also regulated by growth-related genes, we investigated whether low temperatures affect the regulation of leaf inclination angle performed by BcBZR1. The CBF transcription factor is a member of the Apetala2/Ethylene responsive factor (AP2/ERF) family of transcription factors involved in plant response to cold stress factors [41,42]. To determine the relationship between CBFS and BZR1 in non-heading Chinese cabbage, we examined the expression levels of BcCBF2/3 and BcBZR1 and found that low temperatures promoted their expression. To gain further insights into their relationship, we performed BiFC assays. The results show that BcCBF2/3 could bind to BcBZR1 in tobacco leaves and that the expression level of BcPRE1, a downstream gene of BcBZR1, first increased and then decreased. Therefore, we hypothesized that low-temperature stress promotes the transcription of BcCBF2/3 and BcBZR1 and that BcCBF2/3 can bind to BcBZR1 to shift the transcriptional activity of the latter, which in turn affects the expression of growth-related genes, resulting in reduced leaf inclination angle at low temperatures in non-heading Chinese cabbage.

5. Conclusions

In summary, we cloned BcBZR1 from non-heading Chinese cabbage, which has a highly conserved BES1 domain. In this study, we preliminarily confirmed that BcBZR1 negatively affects the leaf inclination angle by regulating the expression of growth-related genes (PRE1 and IBH1). We also found that BZR1 interacts with CBF to regulate leaf inclination at low temperatures. These findings contribute to a better understanding of the regulatory mechanism of leaf inclination angle in non-heading Chinese cabbage or other species in the Brassicaceae family. In addition, the plant landward phenotype induced by BcBZR1 overexpression could provide a direction for plant phenotype improvement to increase yield in non-heading Chinese cabbage.

Supplementary Materials

The following supporting information can be downloaded at: https://www.mdpi.com/article/10.3390/horticulturae10040324/s1, Table S1: Primers used in the study; Figure S1: Leaf inclination angle of non-heading Chinese cabbage under different EBR concentrations; Figure S2: Phylogenetic analysis of putative BZR orthologs of NHCC and AtBZRs proteins in Arabidopsis.

Author Contributions

Conceptualization, X.H., W.L. and Y.L.; formal analysis, W.L., Y.W. and Y.H.; investigation, W.L.; writing—original draft preparation, W.L.; writing—review and editing, Y.L. and X.H.; funding acquisition, X.H. All authors have read and agreed to the published version of the manuscript.

Funding

This research was funded by Jiangsu province seed industry revitalization “revealing-list” project, grant number JBGS [2021] 064.

Data Availability Statement

The authors confirm that the data supporting the findings of this study are available within the article and its Supplementary Materials.

Acknowledgments

Thanks to Laboratory of Cabbage Biological Systems, College of Horticulture, Nanjing Agricultural University for the support of materials (‘heitacai’).

Conflicts of Interest

The authors declare no conflicts of interest.

References

  1. Jin, L.B.; Zhang, J.W.; Li, B.; Cui, H.Y.; Dong, S.T.; Liu, P.; Zhao, B. Canopy Structure and Photosynthetic Characteristics of High Yield and High Nitrogen Efficiency Summer Maize. Sci. Agric. Sin. 2013, 46, 2430–2439. [Google Scholar] [CrossRef]
  2. Li, X.P.; Wang, S.; Huang, Y.C.; Jia, B.Y.; Wang, Y.; Zeng, Q.Y. Effects of spacing on the yields and canopy structure of japonica rice at full heading stage. Chin. J. Appl. Ecol. 2015, 26, 3329–3336. [Google Scholar] [CrossRef]
  3. Luo, X.Y.; Zheng, J.S.; Huang, R.Y.; Huang, Y.M.; Wang, H.C.; Jiang, L.R.; Fang, X.J. Phytohormones signaling and crosstalk regulating leaf angle in rice. Plant Cell Rep. 2016, 3512, 2423–2433. [Google Scholar] [CrossRef] [PubMed]
  4. Sreeramulu, S.; Mostizky, Y.; Sunitha, S.; Shani, E.; Nahum, H.; Salomon, D.; Ben Hayun, L.; Gruetter, C.; Rauh, D.; Ori, N.; et al. BSKs are partially redundant positive regulators of brassinosteroid signaling in Arabidopsis. Plant J. 2013, 74, 905–919. [Google Scholar] [CrossRef] [PubMed]
  5. Zhang, S.N.; Wang, S.K.; Xu, Y.X.; Yu, C.L.; Shen, C.J.; Qian, Q.; Geisler, M.; Jiang, D.A.; Qi, Y.H. The auxin response factor, OsARF19, controls rice leaf angles through positively regulating OsGH3-5 ang OsBRI1. Plant Cell Environ. 2015, 38, 638–654. [Google Scholar] [CrossRef] [PubMed]
  6. Zhao, S.Q.; Xiang, J.J.; Xue, H.W. Studies on the Rice LEAF INCLINATION1 (LC1), an IAA-amido Synthetase, Reveal the Effects of Auxin in Leaf Inclination Control. Mol. Plant 2013, 6, 174–187. [Google Scholar] [CrossRef] [PubMed]
  7. Qu, L.; Lin, L.B.; Xue, H.W. Rice miR394 suppresses leaf inclination through targeting an F-box gene, LEAF INCLINATION 4. J. Integr. Plant Biol. 2019, 61, 406–416. [Google Scholar] [CrossRef]
  8. Xia, C. The Regulation and Mechanism of Gibberellin on Rice Leaf Angle; Huazhong Agriculture University: Wuhan, China, 2018. [Google Scholar]
  9. Dong, Z.Y.; Li, D.L.; Hu, X.X.; Liang, L.J.; Wu, G.K.; Zeng, S.Y.; Liu, E.B.; Wu, Y.; Wang, H.; Bhanbhro, L.; et al. Mining of favorable marker alleles for flag leaf inclination in some rice (Oryza sativa L.) accessions by association mapping. Euphytica 2018, 214, 117. [Google Scholar] [CrossRef]
  10. Ferrero-Serrano, A.; Assmann, S.M. The a-subunit of the rice heterotrimeric G protein, RGA1, regulates drought tolerance during the vegetative phase in the dwarf rice mutant d1. Exp. Bot. 2016, 67, 3433–3443. [Google Scholar] [CrossRef]
  11. Ueguchi-Tanaka, M.; Fujisawa, Y.; Ashikari, M.; Ashikari, M.; Iwasaki, Y.; Kitano, H.; Matsuoka, M. Rice dwarf mutant d1, which is defective in the alpha subunit of the heterotrimeric G protein, affects gibberellin signal transduction. Proc. Natl. Acad. Sci. USA 2000, 97, 11638–11643. [Google Scholar] [CrossRef]
  12. Jia, C.G.; Zhao, S.K.; Bao, T.T.; Zhao, P.Q.; Peng, K.; Guo, Q.X.; Gao, X.; Qin, J.C. Tomato BZR/BES transcription factor SlBZR1 positively regulates BR signaling and salt stress tolerance in tomato and Arabidopsis. Plant Sci. 2021, 302, 110719. [Google Scholar] [CrossRef] [PubMed]
  13. Zhang, H.L.; Gao, J.; Zhang, H.; Li, S.H.; Xing, J.H.; Wang, F.R.; Dong, J.N. The Regulation of Brassinosteroid (BR) on Elongation and Division of Rice (Oryza sativa) Cells. J. Agric. Biotechnol. 2015, 23, 71–79. [Google Scholar] [CrossRef]
  14. Sun, S.Y.; Chen, D.H.; Li, X.M.; Qiao, S.L.; Shi, C.N.; Li, C.X.; Shen, H.Y.; Wang, X.L. Brassinosteroid signaling regulates leaf erectness in Oryza sativa via the control of a specific U-type cyclin and cell proliferation. Dev. Cell 2015, 34, 220–228. [Google Scholar] [CrossRef] [PubMed]
  15. Ikeda, M.; Fujiwara, S.; Mitsuda, N.; Ohme-Takagi, M. A Triantagonistic Basic Helix-Loop-Helix System Regulates Cell Elongation in Arabidopsis. Plant Cell 2012, 24, 4483–4497. [Google Scholar] [CrossRef] [PubMed]
  16. Ikeda, M.; Mitsuda, N.; Ohme-Takagi, M. ATBS1 INTERACTING FACTORs negatively regulate Arabidopsis cell elongation in the triantagonistic bHLH system. Plant Signal. Behav. 2013, 8, e23448. [Google Scholar] [CrossRef] [PubMed]
  17. Zhang, L.Y.; Bai, M.Y.; Wu, G.X.; Zhu, J.Y.; Wang, H.; Zhang, Z.G.; Wang, W.F. Antagonistic HLH/bHLH Transcription Factors Mediate Brassinosteroid Regulation of Cell Elongation and Plant Development in Rice and Arabidopsis. Plant Cell 2009, 21, 3767–3780. [Google Scholar] [CrossRef]
  18. Wang, Z.Y.; Nakano, T.; Gendron, J.; He, J.; Chen, M.; Vafeados, D.; Yang, Y.; Fujioka, S.; Yoshida, S.; Asami, T.; et al. Nuclear-localized BZR1 mediates brassinosteroid-induced growth and feedback suppression of brassinosteroid biosynthesis. Dev. Cell 2002, 2, 505–513. [Google Scholar] [CrossRef] [PubMed]
  19. Yin, Y.; Wang, Z.Y.; Mora-Garcia, S.; Li, J.; Yoshida, S.; Asami, T.; Chory, J. BES1 accumulates in the nucleus in response to brassinosteroids to regulate gene expression and promote stem elongation. Cell 2002, 109, 181–191. [Google Scholar] [CrossRef]
  20. Zhang, C.; Xu, Y.Y.; Guo, S.Y.; Zhu, J.Y.; Huan, G.; Liu, H.H.; Wang, L.; Luo, G.Z.; Wang, X.J.; Chong, K. Dynamics of Brassinosteroid Response Modulated by Negative Regulator LIC in Rice. PLoS Genet. 2012, 8, 651–664. [Google Scholar] [CrossRef]
  21. Bai, M.Y.; Shang, J.X.; Oh, E. Brassinosteroid, gibberellin and phytochrome impinge on a common transcription module in Arabidopsis. Nat. Cell Biol. 2012, 14, 810–817. [Google Scholar] [CrossRef]
  22. Li, Q.F.; He, J.X. BZR1 interacts with HY5 to mediate brassinosteroid- and lightregulated cotyledon opening in Arabidopsis in darkness. Mol. Plant 2016, 9, 113–125. [Google Scholar] [CrossRef] [PubMed]
  23. Li, H.; Ye, K.; Shi, Y.; Cheng, J.K.; Zhang, X.Y.; Yang, S.H. BZR1 Positively Regulates Freezing Tolerance via CBF-Dependent and CBF-Independent Pathways in Arabidopsis. Mol. Plant 2017, 10, 545–559. [Google Scholar] [CrossRef] [PubMed]
  24. Chen, J. Regulation and Biological Function of BZR1 Transcription Factor at Low Temperature; Lanzhou University: Lanzhou, China, 2018. [Google Scholar]
  25. Clough, S.J.; Bent, A.F.J. Floral dip: A simplified method for Agrobacterium-mediated transformation of Arabidopsis thaliana. Plant J. 2010, 16, 735–743. [Google Scholar] [CrossRef] [PubMed]
  26. Kenneth, J.K.; Schmitted, T.D. Analysis of Relative Gene Expression Data Using Real-Time Quantitative PCR and the 2−ΔΔCT Method. Methods 2001, 25, 402–408. [Google Scholar] [CrossRef]
  27. Zhang, X.C.; Lv, C.G.; Hu, N.; Yao, K.M.; Zhang, Q.J.; Dai, Q.G. Simulation of Leaf Inclination Angle Distribution for Rice with Different Plant Types. Chin. J. Rice Sci. 2012, 26, 205–210. [Google Scholar] [CrossRef]
  28. Chen, T.K.; Yang, H.T.; Fang, S.C.; Lien, Y.C.; Yang, T.T.; Ko, S.S. Hybrid-Cut: An Improved Sectioning Method for Recalcitrant Plant Tissue Samples. JoVE-J. Vis. Exp. 2016, 117, e54754. [Google Scholar] [CrossRef]
  29. Li, Y.; Liu, G.F.; Ma, L.M.; Liu, T.K.; Zhang, C.W.; Xiao, D.; Zheng, H.K.; Chen, F.; Hou, X.L. A chromosome-level reference genome of non-heading Chinese cabbage Brassica campestris (syn. Brassica rapa) ssp. Chinensis. Hortic. Res. 2020, 7, 212. [Google Scholar] [CrossRef] [PubMed]
  30. Ye, Q.S.; Zhu, W.; Li, L. Brassinosteroids control male fertility by regulating the expression of key genes involved in Arabidopsis anther and pollen development. Proc. Natl. Acad. Sci. USA 2010, 107, 6100–6105. [Google Scholar] [CrossRef]
  31. Western, T.L.; Haughn, G.W. BELL1 and AGAMOUS genes promote ovule identity in Arabidopsis thaliana. Plant J. 1999, 18, 329–336. [Google Scholar] [CrossRef]
  32. Eremina, M.; Unterholzner, S.J.; Rathnayake, A.I.; Castellanos, M.; Khan, M.; Kugler, K.G.; May, S.T.; Mayer, K.F.X.; Rozhon, W.; Poppenberger, B. Brassinosteroids participate in the control of basal and acquired freezing tolerance of plants. Proc. Natl. Acad. Sci. USA 2016, 113, 5982–5991. [Google Scholar] [CrossRef]
  33. Raabe, K.; Pisek, J.; Sonnentag, O.; Annuk, K. Variations of leaf inclination angle distribution with height over the growing season and light exposure for eight broadleaf tree species. Agric. For. Meteorol. 2015, 214, 2–11. [Google Scholar] [CrossRef]
  34. Chen, S.H.; Zhou, L.J.; Xu, P.; Xue, H.W. SPOC domain-containing protein Leaf inclination3 interacts with LIP1 to regulate rice leaf inclination through auxin signaling. PLoS Genet. 2018, 14, e1007829. [Google Scholar] [CrossRef] [PubMed]
  35. Li, W.Y.; Yang, Z.X.; Yao, J.Y.; Li, J.S.; Song, W.B.; Yang, X.H. Cellulose synthase-like D1 controls organ size in maize. BMC Plant Biol. 2018, 18, 239. [Google Scholar] [CrossRef]
  36. Wang, N.; Cao, D.; Gong, F.P.; Ku, L.X.; Chen, Y.H.; Wang, W. Differences in properties and proteomes of the midribs contribute to the size of the leaf angle in two near-isogenic maize lines. J. Proteom. 2015, 128, 113–122. [Google Scholar] [CrossRef] [PubMed]
  37. Lee, S.; Lee, S.; Yang, K.Y.; Kim, Y.M.; Park, S.Y.; Kim, S.Y.; Soh, M.S. Overexpression of PRE1 and its homologous genes activates gibberellin-dependent responses in Arabidopsis thaliana. Plant Cell Physiol. 2006, 47, 591–600. [Google Scholar] [CrossRef] [PubMed]
  38. Zhiponova, M.K.; Morohashi, K.; Vanhoutte, I.; Machemer-Noonan, K.; Revalska, M.; Van Montagu, M.; Grotewold, E.; Russinova, E. Helix-loop-helix/basic helix-loop-helix transcription factor network represses cell elongation in Arabidopsis through an apparent incoherent feed-forward loop. Proc. Natl. Acad. Sci. USA 2014, 111, 2824–2829. [Google Scholar] [CrossRef] [PubMed]
  39. Wang, M.M.; Tian, Y.C.; Han, C.; Zhou, C.N.; Bai, M.Y.; Fan, M. Phospho-Mutant Activity Assays Provide Evidence for the Negative Regulation of Transcriptional Regulator PRE1 by Phosphorylation. Int. J. Mol. Sci. 2020, 21, 9183. [Google Scholar] [CrossRef] [PubMed]
  40. Zhang, J.; Ku, L.X.; Han, Z.P.; Guo, S.L.; Liu, H.J.; Zhang, Z.Z.; Chen, Y.H. The ZmCLA4 gene in the qLA4-1 QTL controls leaf angle in maize (Zea mays L.). J. Exp. Bot. 2014, 65, 5063–5076. [Google Scholar] [CrossRef]
  41. Ohmetakagi, M.; Shinshi, H. Ethylene-Inducible DNA-Binding Proteins That Interact with an Ethylene-Responsive Element. Plant Cell 1995, 7, 173–182. [Google Scholar] [CrossRef]
  42. Okamuro, J.K.; Caster, B.; Villarroel, R.; VanMontagu, M.; Jofuku, K.D. The AP2 domain of APETALA2 defines a large new family of DNA binding proteins in Arabidopsis. Proc. Natl. Acad. Sci. USA 1997, 94, 7076–7081. [Google Scholar] [CrossRef]
Figure 1. Results of sequence analysis of BcBZR1 protein. (a) Multiple-sequence alignment of BcBZR1 protein and BZR1 proteins in Brassica napus (BnBZR1, XP_013648890.1), Brassica rapa (BrBZR1, XP_009104725.1), Brassica oleracea (BoBZR1, XP_013591836.1), Raphanus sativus (RsBZR1, XP_018446811.1), Hirschfeldia incana (HiBZR1, KAJ0255834.1), Arabidopsis thaliana (AtBZR1, NP_565099.1) and Eutrema salsugineum (EsBZR1, XP_006390354.1). The red box marks the BES1 conserved domain in different species. (b) Motif analysis of BZR1.
Figure 1. Results of sequence analysis of BcBZR1 protein. (a) Multiple-sequence alignment of BcBZR1 protein and BZR1 proteins in Brassica napus (BnBZR1, XP_013648890.1), Brassica rapa (BrBZR1, XP_009104725.1), Brassica oleracea (BoBZR1, XP_013591836.1), Raphanus sativus (RsBZR1, XP_018446811.1), Hirschfeldia incana (HiBZR1, KAJ0255834.1), Arabidopsis thaliana (AtBZR1, NP_565099.1) and Eutrema salsugineum (EsBZR1, XP_006390354.1). The red box marks the BES1 conserved domain in different species. (b) Motif analysis of BZR1.
Horticulturae 10 00324 g001
Figure 2. Expression levels of BcBZR1 in different tissues of non-heading Chinese cabbage (roots, stems, leaves and flowers). The value of the BcBZR1 expression level in roots was set to ‘1’ as a control. The data represent the averages of three replicates, and the error bars represent the standard deviation among the replicates. a, b, c, d and e refer to the one-way ANOVA Duncan test at the 0.05 level.
Figure 2. Expression levels of BcBZR1 in different tissues of non-heading Chinese cabbage (roots, stems, leaves and flowers). The value of the BcBZR1 expression level in roots was set to ‘1’ as a control. The data represent the averages of three replicates, and the error bars represent the standard deviation among the replicates. a, b, c, d and e refer to the one-way ANOVA Duncan test at the 0.05 level.
Horticulturae 10 00324 g002
Figure 3. Subcellular localization of BcBZR1. (a) Schematic diagram of 35S: GFP and 35S: BcBZR1-GFP constructs. GFP: green fluorescent protein; NOS: nopaline synthase gene. Transient expression of 35S: GFP and 35S: BcBZR1-GFP fusion proteins in tobacco (b) before and (c) after EBR treatment. GFP: GFP fluorescence detected in the green channel; RFP: RFP fluorescence detected in the red channel. Bright field: bright-field image. Merged: merged green-, red- and bright-channel images; scale bars = 20 µm.
Figure 3. Subcellular localization of BcBZR1. (a) Schematic diagram of 35S: GFP and 35S: BcBZR1-GFP constructs. GFP: green fluorescent protein; NOS: nopaline synthase gene. Transient expression of 35S: GFP and 35S: BcBZR1-GFP fusion proteins in tobacco (b) before and (c) after EBR treatment. GFP: GFP fluorescence detected in the green channel; RFP: RFP fluorescence detected in the red channel. Bright field: bright-field image. Merged: merged green-, red- and bright-channel images; scale bars = 20 µm.
Horticulturae 10 00324 g003
Figure 4. Results of analysis of BcBZR1-OX. (a) Expression levels of BcBZR1 in BcBZR1-OX (#2, #3 and #5) and Col-0. (b) Phenotypes of one-week-old BcBZR1-OX and Col-0. (c) Phenotypes of two-week-old BcBZR1-OX and Col-0; scale bars, 2 cm. (d) Leaf inclination angle in Arabidopsis plants (Col-0 and BcBZR1-OX). (e) Expression levels of AtPRE1 in Col-0 and BcBZR1-OX. (f) Expression levels of AtIBH1 in Col-0 and BcBZR1-OX. (a,df): The data represent the averages of the three replicates, and the error bars represent the standard deviation among the replicates. ** p < 0.01.
Figure 4. Results of analysis of BcBZR1-OX. (a) Expression levels of BcBZR1 in BcBZR1-OX (#2, #3 and #5) and Col-0. (b) Phenotypes of one-week-old BcBZR1-OX and Col-0. (c) Phenotypes of two-week-old BcBZR1-OX and Col-0; scale bars, 2 cm. (d) Leaf inclination angle in Arabidopsis plants (Col-0 and BcBZR1-OX). (e) Expression levels of AtPRE1 in Col-0 and BcBZR1-OX. (f) Expression levels of AtIBH1 in Col-0 and BcBZR1-OX. (a,df): The data represent the averages of the three replicates, and the error bars represent the standard deviation among the replicates. ** p < 0.01.
Horticulturae 10 00324 g004
Figure 5. EBR treatment led to reduction in leaf inclination angle in non-heading Chinese cabbage. (a) Phenotypes of non-heading Chinese cabbage (CK and EBR treatment groups); scale bar = 2 cm. (b) Leaf inclination angle in non-heading Chinese cabbage. Transversal sections at petiole–stem junction showing cell morphology in (c) CK and (d) EBR treatment groups; scale bars = 200 µm. (e) Width of cells. (f) Adaxial and (g) abaxial longitudinal sections in CK group. (h) Adaxial and (i) abaxial longitudinal sections in EBR treatment group; scale bars = 100 µm. (j) Length of cells. (km) Expression levels of BcBZR1, BcPRE1 and BcIBH1, respectively, between CK and EBR-treated non-heading Chinese cabbage. ** p < 0.01.
Figure 5. EBR treatment led to reduction in leaf inclination angle in non-heading Chinese cabbage. (a) Phenotypes of non-heading Chinese cabbage (CK and EBR treatment groups); scale bar = 2 cm. (b) Leaf inclination angle in non-heading Chinese cabbage. Transversal sections at petiole–stem junction showing cell morphology in (c) CK and (d) EBR treatment groups; scale bars = 200 µm. (e) Width of cells. (f) Adaxial and (g) abaxial longitudinal sections in CK group. (h) Adaxial and (i) abaxial longitudinal sections in EBR treatment group; scale bars = 100 µm. (j) Length of cells. (km) Expression levels of BcBZR1, BcPRE1 and BcIBH1, respectively, between CK and EBR-treated non-heading Chinese cabbage. ** p < 0.01.
Horticulturae 10 00324 g005
Figure 6. Interaction between BcBZR1 and BsCBF2/3 in vivo in non-heading Chinese cabbage. (a) Phenotypes at 24 °C and 4 °C; scale bar = 2 cm. (b) Leaf inclination angle at 24 °C and 4 °C; ** p < 0.01. (c) Expression levels of BcCBF2/3, BcBZR1 and BcPRE1 at 4 °C; data represent averages of three replicates, and error bars represent standard deviation among replicates; * p < 0.05, ** p < 0.01. (d) BiFC verification of BcBZR1 and BcCBF2/3. YFP: YFP fluorescence detected in the yellow channel. Bright field: bright-field image. Merged: merged yellow- and bright-channel images; scale bars = 20 µm.
Figure 6. Interaction between BcBZR1 and BsCBF2/3 in vivo in non-heading Chinese cabbage. (a) Phenotypes at 24 °C and 4 °C; scale bar = 2 cm. (b) Leaf inclination angle at 24 °C and 4 °C; ** p < 0.01. (c) Expression levels of BcCBF2/3, BcBZR1 and BcPRE1 at 4 °C; data represent averages of three replicates, and error bars represent standard deviation among replicates; * p < 0.05, ** p < 0.01. (d) BiFC verification of BcBZR1 and BcCBF2/3. YFP: YFP fluorescence detected in the yellow channel. Bright field: bright-field image. Merged: merged yellow- and bright-channel images; scale bars = 20 µm.
Horticulturae 10 00324 g006
Disclaimer/Publisher’s Note: The statements, opinions and data contained in all publications are solely those of the individual author(s) and contributor(s) and not of MDPI and/or the editor(s). MDPI and/or the editor(s) disclaim responsibility for any injury to people or property resulting from any ideas, methods, instructions or products referred to in the content.

Share and Cite

MDPI and ACS Style

Lin, W.; Li, Y.; He, Y.; Wu, Y.; Hou, X. BcBZR1 Regulates Leaf Inclination Angle in Non-Heading Chinese Cabbage (Brassica campestris ssp. chinensis Makino). Horticulturae 2024, 10, 324. https://doi.org/10.3390/horticulturae10040324

AMA Style

Lin W, Li Y, He Y, Wu Y, Hou X. BcBZR1 Regulates Leaf Inclination Angle in Non-Heading Chinese Cabbage (Brassica campestris ssp. chinensis Makino). Horticulturae. 2024; 10(4):324. https://doi.org/10.3390/horticulturae10040324

Chicago/Turabian Style

Lin, Wenyuan, Yiran Li, Ying He, Ying Wu, and Xilin Hou. 2024. "BcBZR1 Regulates Leaf Inclination Angle in Non-Heading Chinese Cabbage (Brassica campestris ssp. chinensis Makino)" Horticulturae 10, no. 4: 324. https://doi.org/10.3390/horticulturae10040324

APA Style

Lin, W., Li, Y., He, Y., Wu, Y., & Hou, X. (2024). BcBZR1 Regulates Leaf Inclination Angle in Non-Heading Chinese Cabbage (Brassica campestris ssp. chinensis Makino). Horticulturae, 10(4), 324. https://doi.org/10.3390/horticulturae10040324

Note that from the first issue of 2016, this journal uses article numbers instead of page numbers. See further details here.

Article Metrics

Back to TopTop