Renal Epithelial Complement C3 Expression Affects Kidney Fibrosis Progression
Abstract
1. Introduction
2. Results
2.1. Renal Histomorphology Depicts Delayed Fibrotic Response upon UUO in B6 Kidneys
2.2. Gene Expressions of Fibrosis Markers Were Upregulated in All Strains Early After UUO
2.3. UUO Induced Early Over-Production of Pro-Fibrotic Transcription Factors Dominantly in BalbC and CBA Kidneys
2.4. Early STAT3 Over-Activity Remained Elevated for Seven Days After UUO
2.5. UUO-Induced Strain and Time-Dependent Renal Complement Expression Pattern
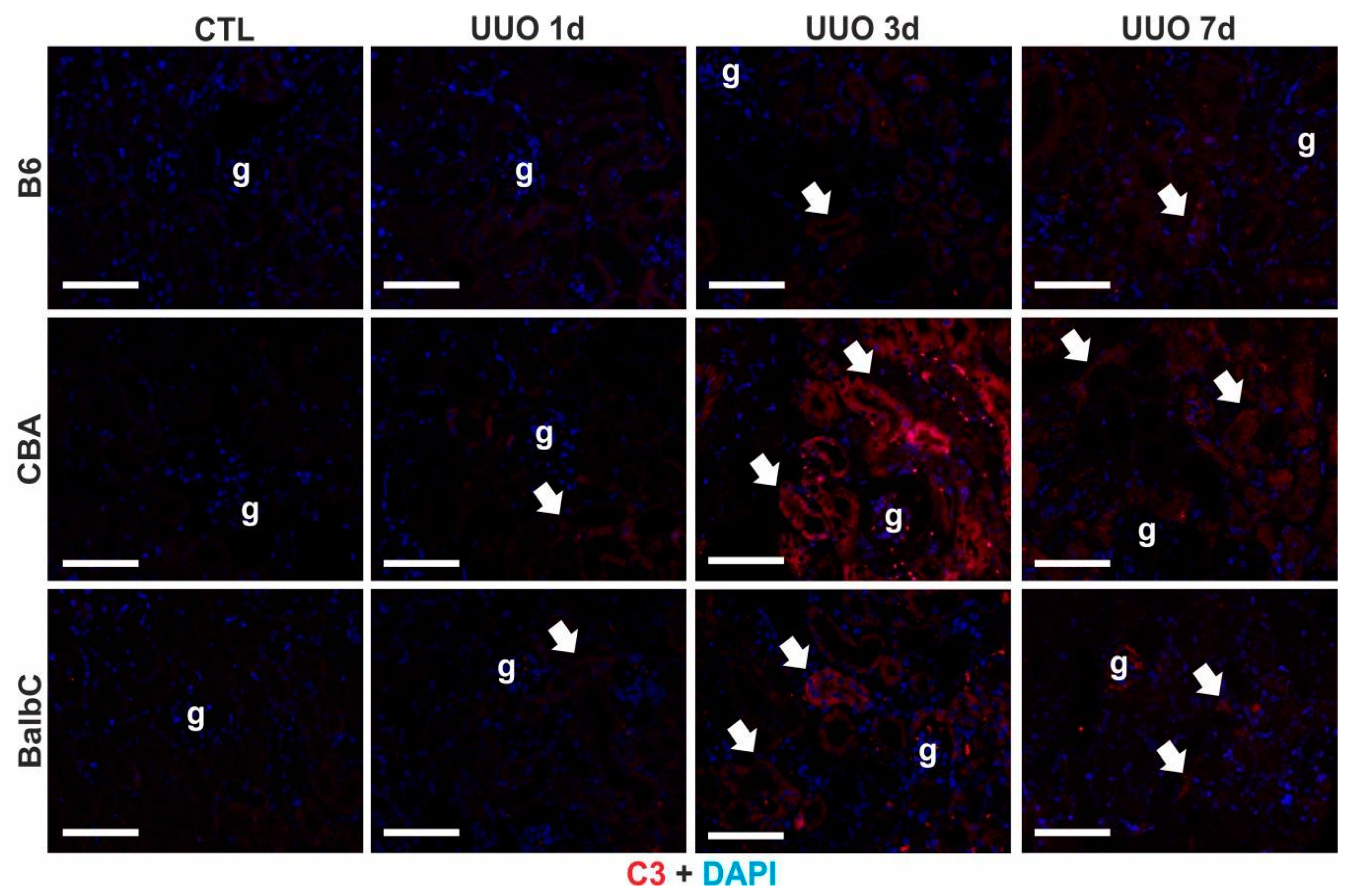
2.6. Renal C3 Over-Production Was Mainly Localized to Renal Tubules
2.7. BalbC and CBA Kidneys Depicted Prominent Early Inflammation upon UUO
2.8. C3a Receptor Agonist In Vitro Induces an Inflammatory and Pro-Fibrotic Response in Primary Tubular Epithelial Cells of Mice
2.9. Renal C3 mRNA and Protein Expressions Are Upregulated in Human FSGS Kidneys
3. Discussion
Study Limitations and Translational Importance
4. Materials and Methods
4.1. Mice
4.2. Unilateral Ureteral Obstruction (UUO)
4.3. Cell Culture
4.4. Human Kidney Biopsy Samples
4.5. Renal Histology and Immunohistochemistry
4.6. Quantitative RT-PCR
4.7. Immunoblot
4.8. Immunofluorescence
4.9. Statistics
5. Conclusions
Supplementary Materials
Author Contributions
Funding
Institutional Review Board Statement
Informed Consent Statement
Data Availability Statement
Acknowledgments
Conflicts of Interest
References
- Centers for Disease Control and Prevention. Chronic Kidney Disease in the United States, 2023; US Department of Health and Human Services, Centers for Disease Control and Prevention: Atlanta, GA, USA, 2023.
- Mayo Clinic. Chronic Kidney Disease—Symptoms and Causes—Mayo Clinic. Mayo Foundation for Medical Education and Research (MFMER). 2018. Available online: https://www.mayoclinic.org/diseases-conditions/chronic-kidney-disease/symptoms-causes/syc-20354521 (accessed on 3 December 2020).
- Zeisberg, M.; Neilson, E.G. Mechanisms of Tubulointerstitial Fibrosis. J. Am. Soc. Nephrol. 2010, 21, 1819–1834. [Google Scholar] [CrossRef] [PubMed]
- McDowall, C. Novel Mechanisms of Tubulointerstitial Fibrosis. 2017. Available online: https://e-space.mmu.ac.uk/620511/ (accessed on 3 December 2020).
- Su, H.; Wan, C.; Song, A.; Qiu, Y.; Xiong, W.; Zhang, C. Renal Fibrosis: Mechanisms and Therapies; Liu, B.-C., Lan, H.-Y., Lv, L.-L., Eds.; Advances in Experimental Medicine and Biology; Springer: Singapore, 2019; Volume 1165, pp. 423–441. [Google Scholar] [CrossRef]
- Gewin, L.S. Renal Fibrosis: Primacy of the Proximal Tubule. Matrix Biol. 2018, 68–69, 248–262. [Google Scholar] [CrossRef] [PubMed]
- Keith, D.S.; Nichols, G.A.; Gullion, C.M.; Brown, J.B.; Smith, D.H. Longitudinal Follow-Up and Outcomes Among a Population With Chronic Kidney Disease in a Large Managed Care Organization. Arch. Intern. Med. 2004, 164, 659. [Google Scholar] [CrossRef]
- Kökény, G.; Németh, Á.; Kopp, J.B.; Chen, W.; Oler, A.J.; Manzéger, A.; Rosivall, L.; Mózes, M.M. Susceptibility to Kidney Fibrosis in Mice Is Associated with Early Growth Response-2 Protein and Tissue Inhibitor of Metalloproteinase-1 Expression. Kidney Int. 2022, 102, 337–354. [Google Scholar] [CrossRef]
- Kokeny, G.; Nemeth, Z.; Godo, M.; Hamar, P. The Rowett Rat Strain Is Resistant to Renal Fibrosis. Nephrol. Dial. Transplant. 2010, 25, 1458–1462. [Google Scholar] [CrossRef] [PubMed][Green Version]
- Haroun, M.K. Risk Factors for Chronic Kidney Disease: A Prospective Study of 23,534 Men and Women in Washington County, Maryland. J. Am. Soc. Nephrol. 2003, 14, 2934–2941. [Google Scholar] [CrossRef]
- Migeon, B.R. X Inactivation, Female Mosaicism, and Sex Differences in Renal Diseases. J. Am. Soc. Nephrol. 2008, 19, 2052–2059. [Google Scholar] [CrossRef]
- O’Hare, A.M.; Choi, A.I.; Bertenthal, D.; Bacchetti, P.; Garg, A.X.; Kaufman, J.S.; Walter, L.C.; Mehta, K.M.; Steinman, M.A.; Allon, M.; et al. Age Affects Outcomes in Chronic Kidney Disease. J. Am. Soc. Nephrol. 2007, 18, 2758–2765. [Google Scholar] [CrossRef]
- Mack, M.; Yanagita, M. Origin of Myofibroblasts and Cellular Events Triggering Fibrosis. Kidney Int. 2015, 87, 297–307. [Google Scholar] [CrossRef]
- Ricklin, D.; Reis, E.S.; Lambris, J.D. Complement in Disease: A Defence System Turning Offensive. Nat. Rev. Nephrol. 2016, 12, 383–401. [Google Scholar] [CrossRef]
- Noris, M.; Remuzzi, G. Overview of Complement Activation and Regulation. Semin. Nephrol. 2013, 33, 479–492. [Google Scholar] [CrossRef] [PubMed]
- Ricklin, D.; Lambris, J.D. Complement in Immune and Inflammatory Disorders: Therapeutic Interventions. J. Immunol. 2013, 190, 3839–3847. [Google Scholar] [CrossRef]
- Chen, S.-F.; Chen, M. Complement Activation in Progression of Chronic Kidney Disease. In Advances in Experimental Medicine and Biology; Springer LLC: New York, NY, USA, 2019; Volume 1165. [Google Scholar] [CrossRef]
- Kościelska-Kasprzak, K.; Bartoszek, D.; Myszka, M.; Zabińska, M.; Klinger, M. The Complement Cascade and Renal Disease. Arch. Immunol. Ther. Exp. 2014, 62, 47–57. [Google Scholar] [CrossRef] [PubMed]
- Fearn, A. Complement Activation in Progressive Renal Disease. World J. Nephrol. 2015, 4, 31. [Google Scholar] [CrossRef]
- Gao, S.; Cui, Z.; Zhao, M. The Complement C3a and C3a Receptor Pathway in Kidney Diseases. Front. Immunol. 2020, 11, 1875. [Google Scholar] [CrossRef]
- Morigi, M.; Locatelli, M.; Rota, C.; Buelli, S.; Corna, D.; Rizzo, P.; Abbate, M.; Conti, D.; Perico, L.; Longaretti, L.; et al. A Previously Unrecognized Role of C3a in Proteinuric Progressive Nephropathy. Sci. Rep. 2016, 6, 28445. [Google Scholar] [CrossRef]
- Bao, L.; Wang, Y.; Haas, M.; Quigg, R.J. Distinct Roles for C3a and C5a in Complement-Induced Tubulointerstitial Injury. Kidney Int. 2011, 80, 524–534. [Google Scholar] [CrossRef] [PubMed]
- Xavier, S.; Sahu, R.K.; Landes, S.G.; Yu, J.; Taylor, R.P.; Ayyadevara, S.; Megyesi, J.; Stallcup, W.B.; Duffield, J.S.; Reis, E.S.; et al. Pericytes and Immune Cells Contribute to Complement Activation in Tubulointerstitial Fibrosis. Am. J. Physiol. Ren. Physiol. 2017, 312, F516–F532. [Google Scholar] [CrossRef] [PubMed]
- Zhou, X.; Fukuda, N.; Matsuda, H.; Endo, M.; Wang, X.; Saito, K.; Ueno, T.; Matsumoto, T.; Matsumoto, K.; Soma, M.; et al. Complement 3 Activates the Renal Renin-Angiotensin System by Induction of Epithelial-to-Mesenchymal Transition of the Nephrotubulus in Mice. Am. J. Physiol. Physiol. 2013, 305, F957–F967. [Google Scholar] [CrossRef]
- Kim, S.J.; Koo, H.M.; Lim, B.J.; Oh, H.J.; Yoo, D.E.; Shin, D.H.; Lee, M.J.; Doh, F.M.; Park, J.T.; Yoo, T.-H.; et al. Decreased Circulating C3 Levels and Mesangial C3 Deposition Predict Renal Outcome in Patients with IgA Nephropathy. PLoS ONE 2012, 7, e40495. [Google Scholar] [CrossRef]
- Han, R.; Hu, S.; Qin, W.; Shi, J.; Zeng, C.; Bao, H.; Liu, Z. Upregulated Long Noncoding RNA LOC105375913 Induces Tubulointerstitial Fibrosis in Focal Segmental Glomerulosclerosis. Sci. Rep. 2019, 9, 716. [Google Scholar] [CrossRef] [PubMed]
- Huang, J.; Cui, Z.; Gu, Q.-H.; Zhang, Y.-M.; Qu, Z.; Wang, X.; Wang, F.; Cheng, X.-Y.; Meng, L.-Q.; Liu, G.; et al. Complement Activation Profile of Patients with Primary Focal Segmental Glomerulosclerosis. PLoS ONE 2020, 15, e0234934. [Google Scholar] [CrossRef] [PubMed]
- Sacks, S.H.; Zhou, W.; Pani, A.; Campbell, R.D.; Martin, J. Complement C3 Gene Expression and Regulation in Human Glomerular Epithelial Cells. Immunology 1993, 79, 348–354. [Google Scholar] [PubMed]
- Tang, S.; Lai, K.N.; Chan, T.M.; Lan, H.Y.; Ho, S.K.; Sacks, S.H. Transferrin but Not Albumin Mediates Stimulation of Complement C3 Biosynthesis in Human Proximal Tubular Epithelial Cells. Am. J. Kidney Dis. 2001, 37, 94–103. [Google Scholar] [CrossRef]
- Sheerin, N.S.; Zhou, W.; Adler, S.; Sacks, S.H. TNF-α Regulation of C3 Gene Expression and Protein Biosynthesis in Rat Glomerular Endothelial Cells. Kidney Int. 1997, 51, 703–710. [Google Scholar] [CrossRef]
- Gerritsma, J.S.J.; Gerritsen, A.F.; Van Kooten, C.; Van Es, L.A.; Daha, M.R. Interleukin-1 Alpha Enhances the Biosynthesis of Complement C3 and Factor B by Human Kidney Proximal Tubular Epithelial Cells In Vitro. Mol. Immunol. 1996, 33, 847–854. [Google Scholar] [CrossRef]
- Portilla, D.; Xavier, S. Role of Intracellular Complement Activation in Kidney Fibrosis. Br. J. Pharmacol. 2021, 178, 2880–2891. [Google Scholar] [CrossRef] [PubMed]
- Hinz, B.; Phan, S.H.; Thannickal, V.J.; Prunotto, M.; Desmoulire, A.; Varga, J.; De Wever, O.; Mareel, M.; Gabbiani, G. Recent Developments in Myofibroblast Biology: Paradigms for Connective Tissue Remodeling. Am. J. Pathol. 2012, 180, 1340–1355. [Google Scholar] [CrossRef]
- Yang, S.; Plotnikov, S.V. Mechanosensitive Regulation of Fibrosis. Cells 2021, 10, 994. [Google Scholar] [CrossRef]
- Gewin, L.; Zent, R.; Pozzi, A. Progression of Chronic Kidney Disease: Too Much Cellular Talk Causes Damage. Kidney Int. 2017, 91, 552–560. [Google Scholar] [CrossRef]
- Zhou, S.; Yin, X.; Mayr, M.; Noor, M.; Hylands, P.J.; Xu, Q. Proteomic Landscape of TGF-Β1-Induced Fibrogenesis in Renal Fibroblasts. Sci. Rep. 2020, 10, 19054. [Google Scholar] [CrossRef] [PubMed]
- Vallée, A.; Lecarpentier, Y. TGF-β in Fibrosis by Acting as a Conductor for Contractile Properties of Myofibroblasts. Cell Biosci. 2019, 9, 98. [Google Scholar] [CrossRef] [PubMed]
- Ma, L.-J.; Fogo, A.B. Model of Robust Induction of Glomerulosclerosis in Mice: Importance of Genetic Background. Kidney Int. 2003, 64, 350–355. [Google Scholar] [CrossRef] [PubMed]
- Sheerm, N.S.; Risley, P.; Abe, K.; Tang, Z.; Wong, W.; Lin, T.; Sacks, S.H. Synthesis of Complement Protein C3 in the Kidney Is an Important Mediator of Local Tissue Injury. FASEB J. 2008, 22, 1065–1072. [Google Scholar] [CrossRef]
- Phanish, M.K.; Winn, S.K.; Dockrell, M.E.C. Connective Tissue Growth Factor-(CTGF, CCN2)—A Marker, Mediator and Therapeutic Target for Renal Fibrosis. Nephron Exp. Nephrol. 2010, 114, e83–e92. [Google Scholar] [CrossRef]
- Rebolledo, D.L.; González, D.; Faundez-Contreras, J.; Contreras, O.; Vio, C.P.; Murphy-Ullrich, J.E.; Lipson, K.E.; Brandan, E. Denervation-Induced Skeletal Muscle Fibrosis Is Mediated by CTGF/CCN2 Independently of TGF-β. Matrix Biol. 2019, 82, 20–37. [Google Scholar] [CrossRef]
- Abdel Wahab, N.; Weston, B.S.; Mason, R.M. Modulation of the TGFβ/Smad Signaling Pathway in Mesangial Cells by CTGF/CCN2. Exp. Cell Res. 2005, 307, 305–314. [Google Scholar] [CrossRef]
- Zakiyanov, O.; Kalousová, M.; Zima, T.; Tesař, V. Matrix Metalloproteinases in Renal Diseases: A Critical Appraisal. Kidney Blood Press. Res. 2019, 44, 298–330. [Google Scholar] [CrossRef]
- Hawksworth, O.A.; Coulthard, L.G.; Woodruff, T.M. Complement in the Fundamental Processes of the Cell. Mol. Immunol. 2017, 84, 17–25. [Google Scholar] [CrossRef]
- Clark, A.; Weymann, A.; Hartman, E.; Turmelle, Y.; Carroll, M.; Thurman, J.M.; Holers, V.M.; Hourcade, D.E.; Rudnick, D.A. Evidence for Non-Traditional Activation of Complement Factor C3 during Murine Liver Regeneration. Mol. Immunol. 2008, 45, 3125–3132. [Google Scholar] [CrossRef]
- Brooimans, R.A.; Stegmann, A.P.; van Dorp, W.T.; van der Ark, A.A.; van der Woude, F.J.; van Es, L.A.; Daha, M.R. Interleukin 2 Mediates Stimulation of Complement C3 Biosynthesis in Human Proximal Tubular Epithelial Cells. J. Clin. Investig. 1991, 88, 379–384. [Google Scholar] [CrossRef] [PubMed]
- Tang, S.; Sheerin, N.S.; Zhou, W.; Brown, Z.; Sacks, S.H. Apical Proteins Stimulate Complement Synthesis by Cultured Human Proximal Tubular Epithelial Cells. J. Am. Soc. Nephrol. 1999, 10, 69–76. [Google Scholar] [CrossRef] [PubMed]
- Kremlitzka, M.; Nowacka, A.A.; Mohlin, F.C.; Bompada, P.; De Marinis, Y.; Blom, A.M. Interaction of Serum-Derived and Internalized C3 With DNA in Human B Cells—A Potential Involvement in Regulation of Gene Transcription. Front. Immunol. 2019, 10, 493. [Google Scholar] [CrossRef]
- Cui, J.; Wu, X.; Song, Y.; Chen, Y.; Wan, J. Complement C3 Exacerbates Renal Interstitial Fibrosis by Facilitating the M1 Macrophage Phenotype in a Mouse Model of Unilateral Ureteral Obstruction. Am. J. Physiol. Ren. Physiol. 2019, 317, F1171–F1182. [Google Scholar] [CrossRef]
- Kiafard, Z.; Tschernig, T.; Schweyer, S.; Bley, A.; Neumann, D.; Zwirner, J. Use of Monoclonal Antibodies to Assess Expression of Anaphylatoxin Receptors in Tubular Epithelial Cells of Human, Murine and Rat Kidneys. Immunobiology 2007, 212, 129–139. [Google Scholar] [CrossRef] [PubMed]
- Li, L.; Yin, Q.; Tang, X.; Bai, L.; Zhang, J.; Gou, S.; Zhu, H.; Cheng, J.; Fu, P.; Liu, F. C3a Receptor Antagonist Ameliorates Inflammatory and Fibrotic Signals in Type 2 Diabetic Nephropathy by Suppressing the Activation of TGF-β/Smad3 and IKBα Pathway. PLoS ONE 2014, 9, e113639. [Google Scholar] [CrossRef]
- Bienaimé, F.; Muorah, M.; Yammine, L.; Burtin, M.; Nguyen, C.; Baron, W.; Garbay, S.; Viau, A.; Broueilh, M.; Blanc, T.; et al. Stat3 Controls Tubulointerstitial Communication during CKD. J. Am. Soc. Nephrol. 2016, 27, 3690–3705. [Google Scholar] [CrossRef]
- Németh, Á.; Mózes, M.M.; Calvier, L.; Hansmann, G.; Kökény, G. The PPARγ Agonist Pioglitazone Prevents TGF-β Induced Renal Fibrosis by Repressing EGR-1 and STAT3. BMC Nephrol. 2019, 20, 245. [Google Scholar] [CrossRef]
- Booth, A.J.; Csencsits-Smith, K.; Wood, S.C.; Lu, G.; Lipson, K.E.; Bishop, D.K. Connective Tissue Growth Factor Promotes Fibrosis Downstream of TGFbeta and IL-6 in Chronic Cardiac Allograft Rejection. Am. J. Transpl. 2010, 10, 220–230. [Google Scholar] [CrossRef]
- Chen, W.; Yuan, H.; Cao, W.; Wang, T.; Chen, W.; Yu, H.; Fu, Y.; Jiang, B.; Zhou, H.; Guo, H.; et al. Blocking Interleukin-6 Trans-Signaling Protects Against Renal Fibrosis by Suppressing STAT3 Activation. Theranostics 2019, 9, 3980–3991. [Google Scholar] [CrossRef]
- Panizo, S.; Martínez-Arias, L.; Alonso-Montes, C.; Cannata, P.; Martín-Carro, B.; Fernández-Martín, J.L.; Naves-Díaz, M.; Carrillo-López, N.; Cannata-Andía, J.B. Fibrosis in Chronic Kidney Disease: Pathogenesis and Consequences. Int. J. Mol. Sci. 2021, 22, 408. [Google Scholar] [CrossRef] [PubMed]
- Docherty, N.G.; Calvo, I.F.; Quinlan, M.R.; Pérez-Barriocanal, F.; McGuire, B.B.; Fitzpatrick, J.M.; Watson, R.W.G. Increased E-Cadherin Expression in the Ligated Kidney Following Unilateral Ureteric Obstruction. Kidney Int. 2009, 75, 205–213. [Google Scholar] [CrossRef] [PubMed]
- Kriz, W.; Kaissling, B.; Le Hir, M. Epithelial-Mesenchymal Transition (EMT) in Kidney Fibrosis: Fact or Fantasy? J. Clin. Investig. 2011, 121, 468–474. [Google Scholar] [CrossRef]
- Liu, F.; Gou, R.; Huang, J.; Fu, P.; Chen, F.; Fan, W.-X.; Huang, Y.-Q.; Zang, L.; Wu, M.; Qiu, H.-Y.; et al. Effect of Anaphylatoxin C3a, C5a on the Tubular Epithelial-Myofibroblast Transdifferentiation in Vitro. Chin. Med. J. 2011, 124, 4039–4045. [Google Scholar]
- Bagnasco, S.; Racusen, L. Proteinuria and Epithelial-to-Mesenchymal Transition: The Role of Complement. J. Am. Soc. Nephrol. 2009, 20, 459–460. [Google Scholar] [CrossRef]
- Wu, H.; Lai, C.-F.; Chang-Panesso, M.; Humphreys, B.D. Proximal Tubule Translational Profiling during Kidney Fibrosis Reveals Proinflammatory and Long Noncoding RNA Expression Patterns with Sexual Dimorphism. J. Am. Soc. Nephrol. 2020, 31, 23–38. [Google Scholar] [CrossRef]
- Arvaniti, E.; Moulos, P.; Vakrakou, A.; Chatziantoniou, C.; Chadjichristos, C.; Kavvadas, P.; Charonis, A.; Politis, P.K. Whole-Transcriptome Analysis of UUO Mouse Model of Renal Fibrosis Reveals New Molecular Players in Kidney Diseases. Sci. Rep. 2016, 6, 26235. [Google Scholar] [CrossRef]
- Kuppe, C.; Ibrahim, M.M.; Kranz, J.; Zhang, X.; Ziegler, S.; Perales-Patón, J.; Jansen, J.; Reimer, K.C.; Smith, J.R.; Dobie, R.; et al. Decoding Myofibroblast Origins in Human Kidney Fibrosis. Nature 2021, 589, 281–286. [Google Scholar] [CrossRef] [PubMed]
- Stamellou, E.; Nadal, J.; Hendry, B.; Mercer, A.; Bechtel-Walz, W.; Schiffer, M.; Eckardt, K.-U.; Kramann, R.; Moeller, M.J.; Floege, J.; et al. Long-Term Outcomes of Adults with FSGS in the German Chronic Kidney Disease Cohort. Clin. Kidney J. 2024, 17, sfae131. [Google Scholar] [CrossRef]
- Fischer, L.M.; Fichte, L.A.; Büttner-Herold, M.; Ferrazzi, F.; Amann, K.; Benz, K.; Daniel, C. Complement in Renal Disease as a Potential Contributor to Arterial Hypertension. Kidney Blood Press. Res. 2021, 46, 362–376. [Google Scholar] [CrossRef]
- Campbell, K.N.; Pennese, N.; Zaffalon, A.; Magalhaes, B.; Faiella, M.; Caster, D.J.; Radhakrishnan, J.; Tesar, V.; Trachtman, H. Efficacy and Safety of ACE Inhibitor and Angiotensin Receptor Blocker Therapies in Primary Focal Segmental Glomerulosclerosis Treatment: A Systematic Review and Meta-Analysis. Kidney Med. 2022, 4, 100457. [Google Scholar] [CrossRef] [PubMed]
- Caster, D.J.; Magalhaes, B.; Pennese, N.; Zaffalon, A.; Faiella, M.; Campbell, K.N.; Radhakrishnan, J.; Tesar, V.; Trachtman, H. Efficacy and Safety of Immunosuppressive Therapy in Primary Focal Segmental Glomerulosclerosis: A Systematic Review and Meta-Analysis. Kidney Med. 2022, 4, 100501. [Google Scholar] [CrossRef] [PubMed]
- Ng, M.S.Y.; Kaur, G.; Francis, R.S.; Hawley, C.M.; Johnson, D.W. Drug Repurposing for Glomerular Diseases: An Underutilized Resource. Nat. Rev. Nephrol. 2024, 20, 707–721. [Google Scholar] [CrossRef] [PubMed]
- Manzéger, A.; Garmaa, G.; Mózes, M.M.; Hansmann, G.; Kökény, G. Pioglitazone Protects Tubular Epithelial Cells during Kidney Fibrosis by Attenuating MiRNA Dysregulation and Autophagy Dysfunction Induced by TGF-β. Int. J. Mol. Sci. 2023, 24, 15520. [Google Scholar] [CrossRef]
- Piecha, G.; Kokeny, G.; Nakagawa, K.; Koleganova, N.; Geldyyev, A.; Berger, I.; Ritz, E.; Schmitt, C.P.; Gross, M.-L. Calcimimetic R-568 or Calcitriol: Equally Beneficial on Progression of Renal Damage in Subtotally Nephrectomized Rats. Am. J. Physiol. Physiol. 2008, 294, F748–F757. [Google Scholar] [CrossRef]
- Festing, M.F.W.; Altman, D.G. Guidelines for the Design and Statistical Analysis of Experiments Using Laboratory Animals. ILAR J. 2002, 43, 244–258. [Google Scholar] [CrossRef]














| Gene Symbol | Forward Primer | Reverse Primer |
|---|---|---|
| Mouse primers | ||
| 18S | TGGTTGCAAAGCTGAAACTTAAAG | AGTCAAATTAAGCCGCAGGC |
| Acta2 | ACATAGCTGGAGCAGCGTCT | CCCACCCAGAGTGGAGAA |
| C3 | TCCTTCACTATGGGACCAGC | TGGGAGTAATGATGGAATACATGG |
| Ccl2 | CACTCACCTGCTGCTACTCA | GCTTGGTGACAAAAACTACAGC |
| Cd68 | GACCGCTTATAGCCCAAGGA | TCATCGTGAAGGATGGCAGG |
| CfH | CCGTATCAAGACATGTTCAG | GAAGGCAAGTTATTGATCCTG |
| Col1a1 | CATAAAGGGTCATCGTGGCT | TTGAGTCCGTCTTTGCCAG |
| Col3a1 | TGGAAAAGATGGAACAAGTGG | CCAGACTTTTCACCTCCAAC |
| Creb5 | GCTCACCCAGACAAACATGC | CTGCATGGCTGTTATCGGAC |
| Ctgf | CCCGAGTTACCAATGACAATAC | CTTAGCCCTGTATGTCTTCAC |
| Egr1 | TTCAATCCTCAAGGGGAGCC | TAACTCGTCTCCACCATCGC |
| Egr2 | TGACCAGATGAACGGAGTGG | ACTCGGATACGGGAGATCCA |
| Il6 | TCCTCTCTGCAAGAGACTTCC | TTGTGAAGTAGGGAAGGCCG |
| Lcn2 | ACGTCACTTCCATCCTCGTC | CCTGGAGCTTGGAACGAATG |
| Mmp2 | GGACAAGAACCAGATCACATAC | CGTCGCTCCATACTTTTAAGG |
| Mmp9 | TGGATAAGGAGTTCTCTGGTG | CCACCTTGTTCACCTCATTTT |
| Stat3 | CGACATTCCCAAGGAGGAGG | ACTTGGTCTTCAGGTACGGG |
| Tgfb1 | CACCATCCATGACATGAACC | TCATGTTGGACAACTGCTCC |
| Timp1 | CACGGGCCGCCTAAGGAACG | TCCGTGGCAGGCAAGGAAAGT |
| Vim | CAGAACATGAAGGAAGAGATG | TCCAGGTTAGTTTCTCTCAG |
| Human primers | ||
| 18S | ATCGGGGATTGCAATTATTC | CTCACTAAACCATCCAATCG |
| C3 | GAACTGCCTTTGTCATCTTC | CAGACACGTACAAAGACTTC |
| TGFB1 | GGAAATTGAGGGCTTTCGCC | CCGGTAGTGAACCCGTTGAT |
| STAT3 | GAAACAGTTGGGACCCCTGA | AGGTACCGTGTGTCAAGCTG |
Disclaimer/Publisher’s Note: The statements, opinions and data contained in all publications are solely those of the individual author(s) and contributor(s) and not of MDPI and/or the editor(s). MDPI and/or the editor(s) disclaim responsibility for any injury to people or property resulting from any ideas, methods, instructions or products referred to in the content. |
© 2024 by the authors. Licensee MDPI, Basel, Switzerland. This article is an open access article distributed under the terms and conditions of the Creative Commons Attribution (CC BY) license (https://creativecommons.org/licenses/by/4.0/).
Share and Cite
Stepanova, G.; Manzéger, A.; Mózes, M.M.; Kökény, G. Renal Epithelial Complement C3 Expression Affects Kidney Fibrosis Progression. Int. J. Mol. Sci. 2024, 25, 12551. https://doi.org/10.3390/ijms252312551
Stepanova G, Manzéger A, Mózes MM, Kökény G. Renal Epithelial Complement C3 Expression Affects Kidney Fibrosis Progression. International Journal of Molecular Sciences. 2024; 25(23):12551. https://doi.org/10.3390/ijms252312551
Chicago/Turabian StyleStepanova, Ganna, Anna Manzéger, Miklós M. Mózes, and Gábor Kökény. 2024. "Renal Epithelial Complement C3 Expression Affects Kidney Fibrosis Progression" International Journal of Molecular Sciences 25, no. 23: 12551. https://doi.org/10.3390/ijms252312551
APA StyleStepanova, G., Manzéger, A., Mózes, M. M., & Kökény, G. (2024). Renal Epithelial Complement C3 Expression Affects Kidney Fibrosis Progression. International Journal of Molecular Sciences, 25(23), 12551. https://doi.org/10.3390/ijms252312551

