A Comparative Analysis of UAV Photogrammetric Software Performance for Forest 3D Modeling: A Case Study Using AgiSoft Photoscan, PIX4DMapper, and DJI Terra
Abstract
1. Introduction
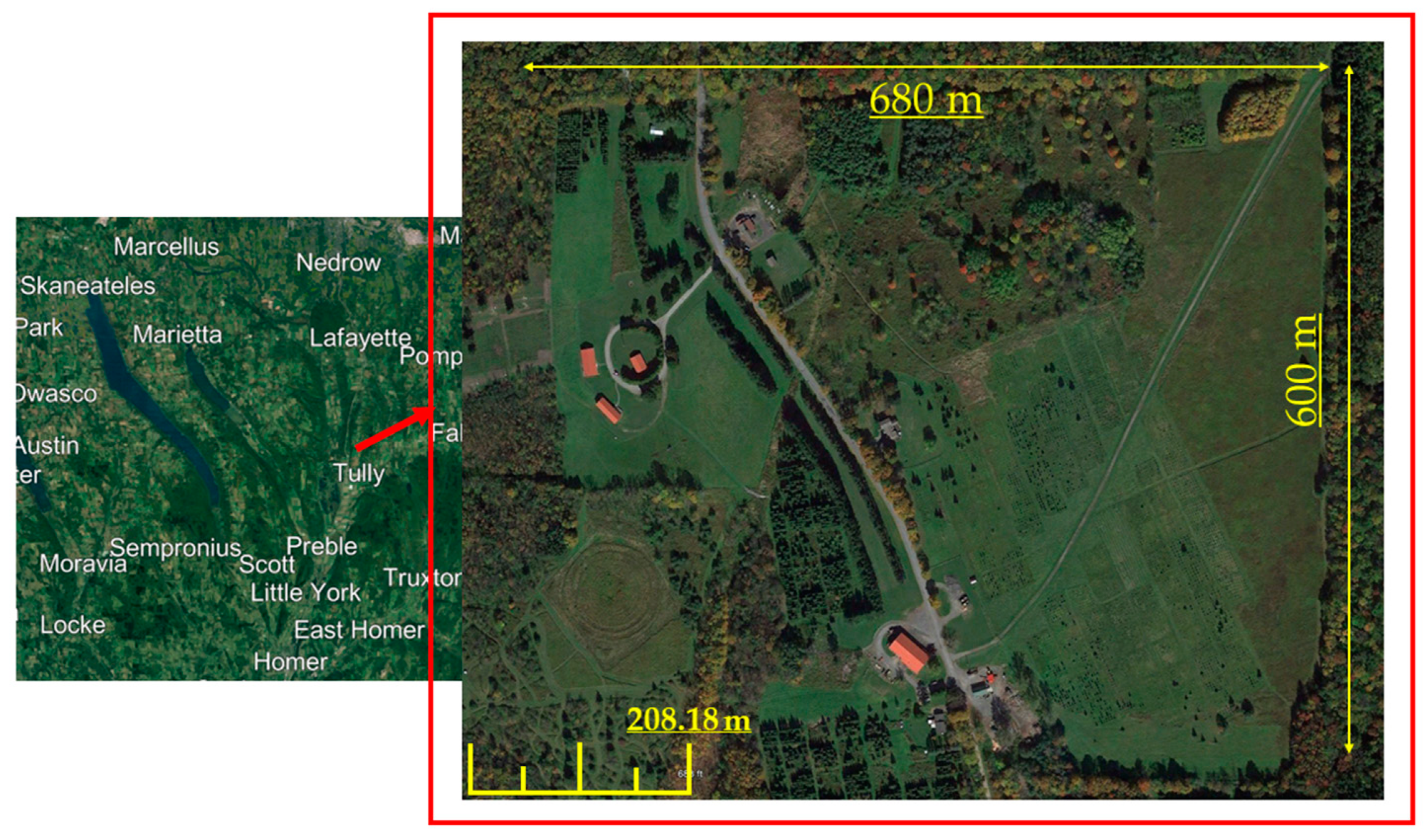
2. Methodology and Data Acquisition
- R is the rotation matrix, k is the scale factor, a is the vector in the object coordinate system, and a′ is the corresponding vector in the sensor coordinate system.
- X, Y, Z are the coordinates of the object point and XC, YC, ZC are the coordinates of the perspective center (sensor center).
- c is the principal distance of the sensor (focal length), and are the coordinates of the principal point, and and are the corresponding coordinates.
3. Experiments and Results
3.1. Point Cloud Density and Reconstruction Quality
3.2. Computational Time
3.3. DSM Assessment
3.3.1. DSM Height Accuracy Assessment Using Elevation Profile
3.3.2. Capability of Tree Detection on DSM
4. Conclusions
Author Contributions
Funding
Data Availability Statement
Conflicts of Interest
References
- Manzoor, B.; Othman, I.; Pomares, J.C. Digital Technologies in the Architecture, Engineering and Construction (Aec) Industry—A Bibliometric—Qualitative Literature Review of Research Activities. Int. J. Environ. Res. Public Health 2021, 18, 6135. [Google Scholar] [CrossRef] [PubMed]
- Shao, Z.; Yang, N.; Xiao, X.; Zhang, L.; Peng, Z. A Multi-View Dense Point Cloud Generation Algorithm Based on Low-Altitude Remote Sensing Images. Remote Sens. 2016, 8, 381. [Google Scholar] [CrossRef]
- Mahami, H.; Nasirzadeh, F.; Hosseininaveh Ahmadabadian, A.; Nahavandi, S. Automated Progress Controlling and Monitoring Using Daily Site Images and Building Information Modelling. Buildings 2019, 9, 70. [Google Scholar] [CrossRef]
- Bianco, S.; Ciocca, G.; Marelli, D. Evaluating the Performance of Structure from Motion Pipelines. J. Imaging 2018, 4, 98. [Google Scholar] [CrossRef]
- Lu, R.; Brilakis, I. Digital Twinning of Existing Reinforced Concrete Bridges from Labelled Point Clusters. Autom. Constr. 2019, 105, 102837. [Google Scholar] [CrossRef]
- Woodhead, R.; Stephenson, P.; Morrey, D. Digital Construction: From Point Solutions to IoT Ecosystem. Autom. Constr. 2018, 93, 35–46. [Google Scholar] [CrossRef]
- Kortaberria, G.; Mutilba, U.; Gomez-Acedo, E.; Tellaeche, A.; Minguez, R. Accuracy Evaluation of Dense Matching Techniques for Casting Part Dimensional Verification. Sensors 2018, 18, 3074. [Google Scholar] [CrossRef]
- Zhu, H.; Wu, W.; Chen, J.; Ma, G.; Liu, X.; Zhuang, X. Integration of Three Dimensional Discontinuous Deformation Analysis (DDA) with Binocular Photogrammetry for Stability Analysis of Tunnels in Blocky Rockmass. Tunn. Undergr. Space Technol. 2016, 51, 30–40. [Google Scholar] [CrossRef]
- Ruzgienė, B.; Berteška, T.; Gečyte, S.; Jakubauskienė, E.; Aksamitauskas, V.Č. The Surface Modelling Based on UAV Photogrammetry and Qualitative Estimation. Measurement 2015, 73, 619–627. [Google Scholar] [CrossRef]
- Nikolakopoulos, K.G.; Lampropoulou, P.; Fakiris, E.; Sardelianos, D.; Papatheodorou, G. Synergistic Use of UAV and USV Data and Petrographic Analyses for the Investigation of Beachrock Formations: A Case Study from Syros Island, Aegean Sea, Greece. Minerals 2018, 8, 534. [Google Scholar] [CrossRef]
- Pepe, M.; Alfio, V.S.; Costantino, D. UAV Platforms and the SfM-MVS Approach in the 3D Surveys and Modelling: A Review in the Cultural Heritage Field. Appl. Sci. 2022, 12, 12886. [Google Scholar] [CrossRef]
- Liu, Y.; Gong, W.; Xing, Y.; Hu, X.; Gong, J. Estimation of the Forest Stand Mean Height and Aboveground Biomass in Northeast China Using SAR Sentinel-1B, Multispectral Sentinel-2A, and DEM Imagery. ISPRS J. Photogramm. Remote Sens. 2019, 151, 277–289. [Google Scholar] [CrossRef]
- Girelli, V.A.; Borgatti, L.; Dellapasqua, M.; Mandanici, E.; Spreafico, M.C.; Tini, M.A.; Bitelli, G. Integration of Geomatics Techniques for Digitizing Highly Relevant Geological and Cultural Heritage Sites: The Case of San Leo (Italy). Int. Arch. Photogramm. Remote Sens. Spat. Inf. Sci. 2017, 42, 281–286. [Google Scholar] [CrossRef]
- Qureshi, A.H.; Alaloul, W.S.; Hussain, S.J.; Murtiyoso, A.; Saad, S.; Alzubi, K.M.; Ammad, S.; Baarimah, A.O. Evaluation of Photogrammetry Tools Following Progress Detection of Rebar towards Sustainable Construction Processes. Sustainability 2023, 15, 21. [Google Scholar] [CrossRef]
- Rossi, G.; Tanteri, L.; Tofani, V.; Vannocci, P.; Moretti, S.; Casagli, N. Multitemporal UAV Surveys for Landslide Mapping and Characterization. Landslides 2018, 15, 1045–1052. [Google Scholar] [CrossRef]
- Agüera-Vega, F.; Carvajal-Ramírez, F.; Martínez-Carricondo, P. Assessment of Photogrammetric Mapping Accuracy Based on Variation Ground Control Points Number Using Unmanned Aerial Vehicle. Measurement 2017, 98, 221–227. [Google Scholar] [CrossRef]
- Quaritsch, M.; Kruggl, K.; Wischounig-Strucl, D.; Bhattacharya, S.; Shah, M.; Rinner, B. Networked UAVs as Aerial Sensor Network for Disaster Management Applications. E I Elektrotech. Inf. 2010, 127, 56–63. [Google Scholar] [CrossRef]
- Máthé, K.; Buşoniu, L. Vision and Control for UAVs: A Survey of General Methods and of Inexpensive Platforms for Infrastructure Inspection. Sensors 2015, 15, 14887–14916. [Google Scholar] [CrossRef]
- Bellavia, F.; Colombo, C.; Morelli, L.; Remondino, F. Challenges in Image Matching for Cultural Heritage: An Overview and Perspective. In Image Analysis and Processing. ICIAP 2022 Workshops; Springer LNCS: Berlin/Heidelberg, Germany, 2022. [Google Scholar]
- Morgenthal, G.; Hallermann, N.; Kersten, J.; Taraben, J.; Debus, P.; Helmrich, M.; Rodehorst, V. Framework for Automated UAS-Based Structural Condition Assessment of Bridges. Autom. Constr. 2019, 97, 77–95. [Google Scholar] [CrossRef]
- Seo, J.; Duque, L.; Wacker, J.P. Field Application of UAS-Based Bridge Inspection. Transp. Res. Rec. 2018, 2672, 72–81. [Google Scholar] [CrossRef]
- Honkavaara, E.; Saari, H.; Kaivosoja, J.; Pölönen, I.; Hakala, T.; Litkey, P.; Mäkynen, J.; Pesonen, L. Processing and Assessment of Spectrometric, Stereoscopic Imagery Collected Using a Lightweight UAV Spectral Camera for Precision Agriculture. Remote Sens. 2013, 5, 5006–5039. [Google Scholar] [CrossRef]
- Feng, Q.; Liu, J.; Gong, J. UAV Remote Sensing for Urban Vegetation Mapping Using Random Forest and Texture Analysis. Remote Sens. 2015, 7, 1074–1094. [Google Scholar] [CrossRef]
- Salehi, B.; Jarahizadeh, S. IMPROVING THE UAV-DERIVED DSM BY INTRODUCING A MODIFIED RANSAC ALGORITHM. Int. Arch. Photogramm. Remote Sens. Spat. Inf. Sci. 2022, XLIII-B2-2022, 147–152. [Google Scholar] [CrossRef]
- Tu, Y.-H.; Johansen, K.; Phinn, S.; Robson, A. Measuring Canopy Structure and Condition Using Multi-Spectral UAS Imagery in a Horticultural Environment. Remote Sens. 2019, 11, 269. [Google Scholar] [CrossRef]
- Tu, Y.-H.; Phinn, S.; Johansen, K.; Robson, A.; Wu, D. Optimising Drone Flight Planning for Measuring Horticultural Tree Crop Structure. ISPRS J. Photogramm. Remote Sens. 2020, 160, 83–96. [Google Scholar] [CrossRef]
- Svensk, J. Evaluation of Aerial Image Stereo Matching Methods for Forest Variable Estimation 2017. Available online: https://urn.kb.se/resolve?urn=urn:nbn:se:liu:diva-138166 (accessed on 28 December 2023).
- Niederheiser, R.; Mokroš, M.; Lange, J.; Petschko, H.; Prasicek, G.; Elberink, S.O. Deriving 3D Point Clouds From Terrestrial Photographs-Comparison of Different Sensors and Software. Int. Arch. Photogramm. Remote Sens. Spat. Inf. Sci. 2016, 41, 685–692. [Google Scholar] [CrossRef]
- Bhandari, B.; Oli, U.; Pudasaini, U.; Panta, N. Generation of High Resolution DSM Using UAV Images. In Proceedings of the FIG Working Week, Sofia, Bulgaria, 17–21 May 2015; pp. 17–21. [Google Scholar]
- Remondino, F.; Spera, M.G.; Nocerino, E.; Menna, F.; Nex, F. State of the Art in High Density Image Matching. Photogramm. Rec. 2014, 29, 144–166. [Google Scholar] [CrossRef]
- Hao, Z.; Lin, L.; Post, C.J.; Jiang, Y.; Li, M.; Wei, N.; Yu, K.; Liu, J. Assessing Tree Height and Density of a Young Forest Using a Consumer Unmanned Aerial Vehicle (UAV). New For. 2021, 52, 843–862. [Google Scholar] [CrossRef]
- Agisoft LLC. Agisoft Metashape User Manuals; Agisoft LLC: St. Petersburg, Russia, 2021; Available online: http://www.agisoft.com/ (accessed on 28 December 2023).
- Pix4D SA. Pix4Dmapper. Lausanne: Pix4D SA. Available online: https://www.pix4d.com/ (accessed on 28 December 2023).
- DJI. DJI Terra. Shenzhen: DJI. Available online: https://www.dji.com/ (accessed on 28 December 2023).
- Esri. Site Scan for ArcGIS. Redlands: Esri. Available online: https://www.esri.com/en-us/arcgis/products/arcgis-sitescan/overview (accessed on 28 December 2023).
- Lowe, D.G. Object recognition from local scale-invariant features. In Proceedings of the Seventh IEEE International Conference on Computer vision, Corfu, Greece, 20–27 September 1999; IEEE: Piscataway, NJ, USA, 1999; Volume 2, pp. 1150–1157. [Google Scholar]
- Elnima, E.E. A Solution for Exterior and Relative Orientation in Photogrammetry, a Genetic Evolution Approach. J. King Saud. Univ. Eng. Sci. 2015, 27, 108–113. [Google Scholar] [CrossRef]
- Lague, D.; Brodu, N.; Leroux, J. Accurate 3D Comparison of Complex Topography with Terrestrial Laser Scanner: Application to the Rangitikei Canyon (NZ). ISPRS J. Photogramm. Remote Sens. 2013, 82, 10–26. [Google Scholar] [CrossRef]
- DiFrancesco, P.-M.; Bonneau, D.; Hutchinson, D.J. The Implications of M3C2 Projection Diameter on 3D Semi-Automated Rockfall Extraction from Sequential Terrestrial Laser Scanning Point Clouds. Remote Sens. 2020, 12, 1885. [Google Scholar] [CrossRef]
- Besl, P.J.; McKay, N.D. Method for Registration of 3-D Shapes. Sensor Fusion IV: Control Paradigms and Data Structures. Int. Soc. Opt. Photonics 1992, 1611, 586–606. [Google Scholar]
- Girardeau-Montaut, D. CloudCompare. Fr. EDF RD Telecom ParisTech 2016, 11, 5. [Google Scholar]
- Georgopoulos, A.; Oikonomou, C.; Adamopoulos, E.; Stathopoulou, E.K. Evaluating Unmanned Aerial Platforms for Cultural Heritage Large Scale Mapping. Int. Arch. Photogramm. Remote Sens. Spat. Inf. Sci. 2016, XLI-B5, 355–362. [Google Scholar] [CrossRef]
- Sadeq, H.A. Accuracy Assessment Using Different UAV Image Overlaps. J. Unmanned Veh. Syst. 2019, 7, 175–193. [Google Scholar] [CrossRef]
- Chai, T.; Draxler, R.R. Root Mean Square Error (RMSE) or Mean Absolute Error (MAE). Geosci. Model. Dev. Discuss. 2014, 7, 1525–1534. [Google Scholar]
- Lee, D.K.; In, J.; Lee, S. Standard Deviation and Standard Error of the Mean. Korean J. Anesthesiol. 2015, 68, 220–223. [Google Scholar] [CrossRef]
- Salehi, B.; Jarahizadeh, S.; Sarafraz, A. An Improved RANSAC Outlier Rejection Method for UAV-Derived Point Cloud. Remote Sens. 2022, 14, 4917. [Google Scholar] [CrossRef]















| Platform | Flight Height | Front Overlap | Side Overlap | Gimbal Angle | Resolution | Number of Images | Condition |
|---|---|---|---|---|---|---|---|
| Dataset 1 (First Flight) | ~60 m | 70 | 80 | 90 degrees | GSD ~1.98 cm | 1829 | leaf on |
| Dataset 2 (Second Flight) | ~100 m | 70 | 65 | 70 degrees | GSD ~4.60 cm | 768 | leaf on |
| Dataset 3 (Third Flight) | ~120 m | 70 | 65 | 90 degrees | GSD ~3.99 cm | 704 | leaf on |
| Sparse Point Cloud | Dense Point Cloud | DSM | |
|---|---|---|---|
| AgiSoft | High (Full image size) | Medium (down sampled image by factor 2) | High |
| Pix4D | Full (Full image size) | Multiscale with half image size (down sampled image by factor 2) | Automatic |
| DJI Terra | High (Full image size) | Height | High |
Disclaimer/Publisher’s Note: The statements, opinions and data contained in all publications are solely those of the individual author(s) and contributor(s) and not of MDPI and/or the editor(s). MDPI and/or the editor(s) disclaim responsibility for any injury to people or property resulting from any ideas, methods, instructions or products referred to in the content. |
© 2024 by the authors. Licensee MDPI, Basel, Switzerland. This article is an open access article distributed under the terms and conditions of the Creative Commons Attribution (CC BY) license (https://creativecommons.org/licenses/by/4.0/).
Share and Cite
Jarahizadeh, S.; Salehi, B. A Comparative Analysis of UAV Photogrammetric Software Performance for Forest 3D Modeling: A Case Study Using AgiSoft Photoscan, PIX4DMapper, and DJI Terra. Sensors 2024, 24, 286. https://doi.org/10.3390/s24010286
Jarahizadeh S, Salehi B. A Comparative Analysis of UAV Photogrammetric Software Performance for Forest 3D Modeling: A Case Study Using AgiSoft Photoscan, PIX4DMapper, and DJI Terra. Sensors. 2024; 24(1):286. https://doi.org/10.3390/s24010286
Chicago/Turabian StyleJarahizadeh, Sina, and Bahram Salehi. 2024. "A Comparative Analysis of UAV Photogrammetric Software Performance for Forest 3D Modeling: A Case Study Using AgiSoft Photoscan, PIX4DMapper, and DJI Terra" Sensors 24, no. 1: 286. https://doi.org/10.3390/s24010286
APA StyleJarahizadeh, S., & Salehi, B. (2024). A Comparative Analysis of UAV Photogrammetric Software Performance for Forest 3D Modeling: A Case Study Using AgiSoft Photoscan, PIX4DMapper, and DJI Terra. Sensors, 24(1), 286. https://doi.org/10.3390/s24010286
