Novel Collagen-Based Emulsions Embedded with Palmarosa Essential Oil, and Chamomile and Calendula Tinctures, for Skin-Friendly Textile Materials
Abstract
1. Introduction
2. Materials and Methods
2.1. Materials
2.2. Formulation of Oil-in-Water (O/W) Emulsions
2.3. Immobilization of Bioactive Polymeric Systems on Fabrics
2.4. Emulsions’ Characterization
2.4.1. pH Measurements
2.4.2. Conductometric Analysis
2.4.3. Creaming Index (CI)
2.4.4. Viscosity Determination
2.5. Characterization of the Functionalized Textile Materials
2.5.1. Physicochemical and Mechanical Characteristics
2.5.2. Assessment of Antibacterial Activity
2.5.3. Measurement of Keratinocytes’ Response to Fabrics’ Exposure
3. Results and Discussion
3.1. Physicochemical Analysis of Emulsions
3.2. Stability of the Emulsions
3.3. Viscosity of the Emulsions
3.4. Physicochemical and Mechanical Characteristics of Cotton Treated Samples
3.5. Antibacterial Activity
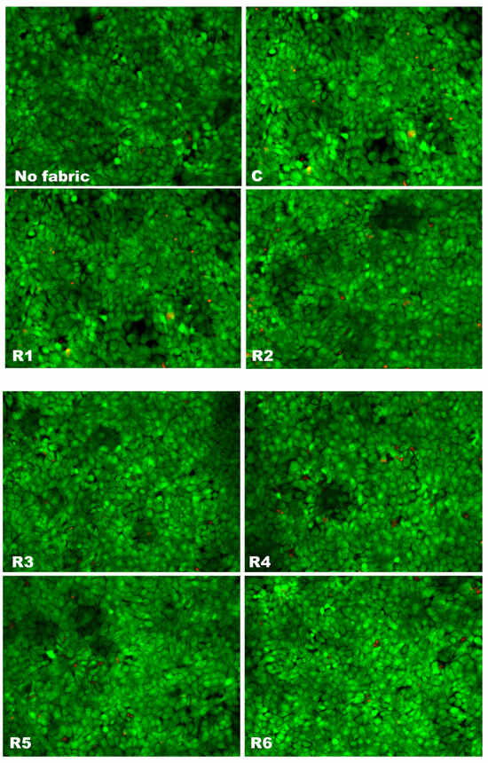
3.6. Biocompatibility Assessment on Human Keratinocytes
4. Conclusions
Author Contributions
Funding
Institutional Review Board Statement
Informed Consent Statement
Data Availability Statement
Conflicts of Interest
References
- Martins, M.S.; Ferreira, M.S.; Almeida, I.F.; Sousa, E. Occurrence of Allergens in Cosmetics for Sensitive Skin. Cosmetics 2022, 9, 32. [Google Scholar] [CrossRef]
- Farage, M.A. The Prevalence of Sensitive Skin. Front. Med. 2019, 6, 98. [Google Scholar] [CrossRef] [PubMed]
- Salah, S.; Taieb, C.; Demessant, A.L.; Haftek, M. Prevalence of Skin Reactions and Self-Reported Allergies in 5 Countries with Their Social Impact Measured through Quality of Life Impairment. Int. J. Environ. Res. Public Health 2021, 18, 4501. [Google Scholar] [CrossRef] [PubMed]
- D’Souza, B.; Kasar, A.K.; Jones, J.; Skeete, A.; Rader, L.; Kumar, P.; Menezes, P.L. A Brief Review on Factors Affecting the Tribological Interaction between Human Skin and Different Textile Materials. Materials 2022, 15, 2184. [Google Scholar] [CrossRef] [PubMed]
- Hu, L.; Wang, F.; Zhang, X.; Gan, Y.; Liu, Y. Analysis of the Status of Skin-Friendly Textiles. J. Phys. Conf. Ser. 2021, 1790, 012082. [Google Scholar] [CrossRef]
- Kodaloğlu, F.A.; Oğuz, N.S. Investigation of Radiation Shielding, Antibacterial and Some Properties of Nanosilver Applied and Coated Woven Fabrics. Ind. Textila 2023, 74, 169–174. [Google Scholar] [CrossRef]
- Venkatraman, P.D.; Sayed, U.; Parte, S.; Korgaonkar, S. Development of Advanced Textile Finishes Using Nano-Emulsions from Herbal Extracts for Organic Cotton Fabrics. Coatings 2021, 11, 939. [Google Scholar] [CrossRef]
- Ibrahim, H.; Aly, A.; Taha, G.; Ibrahim, H. Production of Antibacterial Cotton Fabrics via Green Treatment with Nontoxic Natural Bio-Polymer Gelatin. Egypt. J. Chem. 2019, 62, 655–669. [Google Scholar] [CrossRef]
- Lite, M.C.; Constantinescu, R.R.; Tănăsescu, E.C.; Kuncser, A.; Romanițan, C.; Lăcătuşu, I.; Badea, N. Design of Green Silver Nanoparticles Based on Primula Officinalis Extract for Textile Preservation. Materials 2022, 15, 7695. [Google Scholar] [CrossRef]
- Zaharia, C.; Diaconu, M.; Muresan, E.I.; Danila, A.; Popescu, A.; Rosu, G. Bioactive Emulsions with Beneficial Antimicrobial Application in Textile Material Production. Cellulose 2020, 27, 9711–9723. [Google Scholar] [CrossRef]
- Jajpura, L.; Rangi, A.; Khandual, A. Natural Finishes, Technologies and Recent Developments. In Sustainable Technologies for Fashion and Textiles; Elsevier: Amsterdam, The Netherlands, 2020; pp. 209–229. [Google Scholar]
- Chirila, L.; Popescu, A.; Cerempei, A.; Constantinescu, R.R.; Olaru, S.; Stan, M. Eco-Friendly Antibacterial and Biocompatible Coatings by Applying Cinnamon Essential Oil and Propolis Based Emulsions on Cotton Textiles. J. Nat. Fibers 2022, 19, 14435–14448. [Google Scholar] [CrossRef]
- Nazir, F.; Javed, S.; Nazir, A.; Hussain, T.; Abid, S. Natural Plant Extract-Treated Bioactive Textiles for Wound Healing. In Medical Textiles from Natural Resources; Elsevier: Amsterdam, The Netherlands, 2022; pp. 137–166. [Google Scholar]
- Natarajan, G.; Rajan, T.P.; Das, S. Application of Sustainable Textile Finishing Using Natural Biomolecules. J. Nat. Fibers 2022, 19, 4350–4367. [Google Scholar] [CrossRef]
- Zeeshan Bhatti, M.; Ismail, H.; Khan Kayani, W. Plant Secondary Metabolites: Therapeutic Potential and Pharmacological Properties. In Secondary Metabolites—Trends and Reviews; IntechOpen: London, UK, 2022. [Google Scholar]
- Vitale, S.; Colanero, S.; Placidi, M.; Di Emidio, G.; Tatone, C.; Amicarelli, F.; D’Alessandro, A.M. Phytochemistry and Biological Activity of Medicinal Plants in Wound Healing: An Overview of Current Research. Molecules 2022, 27, 3566. [Google Scholar] [CrossRef] [PubMed]
- Thakker, A.M. Sustainable Processing of Cotton Fabrics with Plant-Based Biomaterials Sapindus Mukorossi and Acacia Concinna for Health-Care Applications. J. Text. Inst. 2021, 112, 718–726. [Google Scholar] [CrossRef]
- Ketema, A.; Worku, A. Antibacterial Finishing of Cotton Fabric Using Stinging Nettle (Urtica dioica L.) Plant Leaf Extract. J. Chem. 2020, 2020, 1–10. [Google Scholar] [CrossRef]
- Lite, M.C.; Constantinescu, R.; Tănăsescu, E.C.; Kuncser, A.; Romanițan, C.; Mihaiescu, D.E.; Lacatusu, I.; Badea, N. Phytochemical Synthesis of Silver Nanoparticles and Their Antimicrobial Investigation on Cotton and Wool Textiles. Materials 2023, 16, 3924. [Google Scholar] [CrossRef] [PubMed]
- Danila, A.; Muresan, E.I.; Ibanescu, S.-A.; Popescu, A.; Danu, M.; Zaharia, C.; Türkoğlu, G.C.; Erkan, G.; Staras, A.-I. Preparation, Characterization, and Application of Polysaccharide-Based Emulsions Incorporated with Lavender Essential Oil for Skin-Friendly Cellulosic Support. Int. J. Biol. Macromol. 2021, 191, 405–413. [Google Scholar] [CrossRef] [PubMed]
- Antunes, J.C.; Domingues, J.M.; Miranda, C.S.; Silva, A.F.G.; Homem, N.C.; Amorim, M.T.P.; Felgueiras, H.P. Bioactivity of Chitosan-Based Particles Loaded with Plant-Derived Extracts for Biomedical Applications: Emphasis on Antimicrobial Fiber-Based Systems. Mar. Drugs 2021, 19, 359. [Google Scholar] [CrossRef]
- Bouaziz, A.; Dridi, D.; Gargoubi, S.; Zouari, A.; Majdoub, H.; Boudokhane, C.; Bartegi, A. Study on the Grafting of Chitosan-Essential Oil Microcapsules onto Cellulosic Fibers to Obtain Bio Functional Material. Coatings 2021, 11, 637. [Google Scholar] [CrossRef]
- Râpă, M.; Zaharescu, T.; Stefan, L.M.; Gaidău, C.; Stănculescu, I.; Constantinescu, R.R.; Stanca, M. Bioactivity and Thermal Stability of Collagen–Chitosan Containing Lemongrass Essential Oil for Potential Medical Applications. Polymers 2022, 14, 3884. [Google Scholar] [CrossRef]
- Râpă, M.; Gaidau, C.; Mititelu-Tartau, L.; Berechet, M.-D.; Berbecaru, A.C.; Rosca, I.; Chiriac, A.P.; Matei, E.; Predescu, A.-M.; Predescu, C. Bioactive Collagen Hydrolysate-Chitosan/Essential Oil Electrospun Nanofibers Designed for Medical Wound Dressings. Pharmaceutics 2021, 13, 1939. [Google Scholar] [CrossRef] [PubMed]
- Türkoğlu, G.C.; Erkan, G.; Karavana, S.Y.; Sarıışık, A.M.; Çetmeli Bakadur, A.; Ütebay, B.; Popescu, A. Spray-Dried Oregano Oil and Lavender Oil Microcapsules for Antibacterial Sports and Leisurewear. AATCC J. Res. 2023, 10, 332–345. [Google Scholar] [CrossRef]
- Chirila, L.; Popescu, A.; Chiriac, L.; Constantinescu, R.R.; Mitran, E.C.; Chelaru, C.; Rascov, M. Functional Finishing of Textiles Using Bioactive Agents Based on Natural Products. In Proceedings of the 7th International Conference on Advanced Materials and Systems, Bucharest, Romania, 18–20 October 2018; pp. 57–62. [Google Scholar] [CrossRef]
- Singh, I.R.; Pulikkal, A.K. Preparation, Stability and Biological Activity of Essential Oil-Based Nano Emulsions: A Comprehensive Review. OpenNano 2022, 8, 100066. [Google Scholar] [CrossRef]
- Danila, A.; Ibanescu, S.-A.; Zaharia, C.; Muresan, E.I.; Popescu, A.; Danu, M.; Rotaru, V. Eco-Friendly O/W Emulsions with Potential Application in Skincare Products. Colloids Surf. A Physicochem. Eng. Asp. 2021, 612, 125969. [Google Scholar] [CrossRef]
- Rosu, G.; Muresan, E.I.; Spac, A.F.; Diaconu, M.; Ciolacu, D.E.; Danila, A.; Tita, C.; Muresan, A. Aromatherapeutic and Antibacterial Properties of Cotton Materials Treated with Emulsions Containing Peppermint Essential Oil (Menthae piperitae aetheroleum). Polymers 2023, 15, 2348. [Google Scholar] [CrossRef]
- Berechet, M.D.; Gaidau, C.; Miletic, A.; Pilic, B.; Râpă, M.; Stanca, M.; Ditu, L.-M.; Constantinescu, R.; Lazea-Stoyanova, A. Bioactive Properties of Nanofibres Based on Concentrated Collagen Hydrolysate Loaded with Thyme and Oregano Essential Oils. Materials 2020, 13, 1618. [Google Scholar] [CrossRef] [PubMed]
- Kudligi, S.J.; Malligawad, L.H.; Naikwadi, S.; Jamadar, D. Antimicrobial and Aroma Finishing of Organic Cotton Knits Using Natural Colourants and Palmarosa Oil Microcapsules. Flavour Fragr. J. 2020, 35, 59–69. [Google Scholar] [CrossRef]
- Jummes, B.; Sganzerla, W.G.; da Rosa, C.G.; Noronha, C.M.; Nunes, M.R.; Bertoldi, F.C.; Barreto, P.L.M. Antioxidant and Antimicrobial Poly-Ε-Caprolactone Nanoparticles Loaded with Cymbopogon martinii Essential Oil. Biocatal. Agric. Biotechnol. 2020, 23, 101499. [Google Scholar] [CrossRef]
- EN 12127:2003; Textiles—Fabrics—Determination of Mass per Unit Area Using Small Samples. ISO: Geneva, Switzerland, 2003.
- EN ISO 9237:1999; Textiles—Determination of the Permeability of Fabrics to Air. ISO: Geneva, Switzerland, 1999.
- STAS 9005-79; Materiale Textile. Determinarea Permeabilităţii la Vapori de Apă [Textiles. Determination of Water Vapor Permeability]. Editura Tehnica: Bucharest, Romania, 1979.
- STAS 12751-89; Materiale Textile. Determinarea Capacităţii de Umectare. Metoda cu Picătura [Textiles. Determination of Wetting Capacity. The Drop Method]. Editura Tehnica: Bucharest, Romania, 1989.
- ISO 20645:2004; Textile Fabrics—Determination of The Antibacterial Activity—Agar Diffusion Plate Test. International Organization for Standardization: Geneva, Switzerland, 2004.
- Fanizza, C.; Stefanelli, M.; Risuglia, A.; Bruni, E.; Ietto, F.; Incoronato, F.; Marra, F.; Preziosi, A.; Mancini, P.; Sarto, M.S.; et al. In Vitro and In Vivo Biocompatibility Studies on Engineered Fabric with Graphene Nanoplatelets. Nanomaterials 2022, 12, 1405. [Google Scholar] [CrossRef] [PubMed]
- Deng, L.L.; Taxipalati, M.; Que, F.; Zhang, H. Physical Characterization and Antioxidant Activity of Thymol Solubilized Tween 80 Micelles. Sci. Rep. 2016, 6, 38160. [Google Scholar] [CrossRef]
- Wang, C.; Yang, Y.; Cui, X.; Ding, S.; Chen, Z. Three Different Types of Solubilization of Thymol in Tween 80: Micelles, Solutions, and Emulsions—A Mechanism Study of Micellar Solubilization. J. Mol. Liq. 2020, 306, 112901. [Google Scholar] [CrossRef]
- Agache, P. Main Skin Physical Constants. In Agache’s Measuring the Skin, 2nd ed.; Humbert, P., Fanian, F., Maibach, H., Agache, P., Eds.; Springer International Publishing: Cham, Switzerland, 2017; pp. 1607–1622. [Google Scholar]
- Wangpradit, N.; Macha, S.; Phooteh, N.; Yusohyo, N.; Waedoloh, A.; Manee, S. Determination of Required Hydrophilic-Lipophilic Balance of Amesiodendron chinense (Merr.) Hu Oil and Development of Stable Cream Formulation. OCL Oilseeds Fats Crops Lipids 2022, 29, 29. [Google Scholar] [CrossRef]
- Akbari, S.; Nour, A.H. Emulsion Types, Stability Mechanisms and Rheology: A Review. Int. J. Innov. Res. Sci. Stud. 2018, 1, 14–21. [Google Scholar] [CrossRef]
- Zungur, A.; Mehmet, K.; Ertekin, F.K. Physical Properties of Olive Oil in Water Model Emulsion: Effect of Aqueous and Oil Phase Concentration and Homogenization Types. Akademik Gıda 2015, 13, 22–34. [Google Scholar]
- Robins, M.M.; Watson, A.D.; Wilde, P.J. Emulsions—Creaming and Rheology. Curr. Opin. Colloid Interface Sci. 2002, 7, 419–425. [Google Scholar] [CrossRef]
- Mahant, S.; Sahajpal, N.S.; Nanda, S. Insights into the mechanism of Cymbopogan martinii essential oil in topical therapy of acne vulgaris. Future Microbiol. 2021, 16, 1181–1193. [Google Scholar] [CrossRef] [PubMed]
- Ashraf, M.; El-Sawy, H.S.; El Zaafarany, G.M.; Abdel-Mottaleb, M.M.A. Can Essential Oils/Botanical Agents Smart-Nanoformulations Be the Winning Cards against Psoriasis? Pharmaceutics 2023, 15, 750. [Google Scholar] [CrossRef]
- Huerta, R.R.; Silve, E.K.; El-bialy, T.; Saldaña, M.D.A. Clove essential oil emulsion-filled cellulose nanofiber hydrogel produced by high-intensity ultrasound technology for tissue engineering applications. Ultrason. Sonochem. 2020, 64, 104845. [Google Scholar] [CrossRef]
- Ngampunwetchakul, L.; Toonkaew, S.; Supaphol, P.; Suwantong, O. Semi-solid poly (vinyl alcohol) hydrogels containing ginger essential oil encapsulated in chitosan nanoparticles for use in wound management. J. Polym. Res. 2019, 26, 224. [Google Scholar] [CrossRef]
- Singh, P.; Verma, C.; Mukhopadhyay, S.; Gupta, A.; Gupta, B. Preparation of thyme oil loaded κ-carrageenan-polyethylene glycol hydrogel membranes as wound care system. Inter. J. Pharm. 2022, 618, 121661. [Google Scholar] [CrossRef]





| Code | Collagen (mL) | Tween 80 (mL) | Glycerol (mL) | Distilled Water (mL) | Palmarosa Essential Oil (mL) | Calendula Tincture (mL) | Chamomile Tincture (mL) |
|---|---|---|---|---|---|---|---|
| R1 | 30 | 1.67 | 9 | 53.33 | 3 | 1.5 | 1.5 |
| R2 | 40 | 1.67 | 9 | 43.33 | 3 | 1.5 | 1.5 |
| R3 | 50 | 1.67 | 9 | 33.33 | 3 | 1.5 | 1.5 |
| R4 | 50 | 1.67 | 9 | 37.33 | 1 | 0.5 | 0.5 |
| R5 | 50 | 1.67 | 9 | 35.33 | 2 | 1 | 1 |
| R6 | 50 | 1.67 | 9 | 31.33 | 4 | 2 | 2 |
| Parameters | Sample Code | |||||||||||
|---|---|---|---|---|---|---|---|---|---|---|---|---|
| R1 | R2 | R3 | R4 | R5 | R6 | |||||||
| Time of Storage | 0 h | 4 h | 0 h | 4 h | 0 h | 4 h | 0 h | 4 h | 0 h | 4 h | 0 h | 4 h |
| pH | 4.81 | 4.76 | 4.78 | 4.80 | 4.78 | 4.73 | 5.23 | 5.23 | 5.07 | 4.94 | 4.65 | 4.61 |
| Conductivity (mS/cm) | 1.37 | 1.35 | 1.28 | 1.29 | 1.24 | 1.22 | 1.49 | 1.47 | 1.35 | 1.34 | 1.21 | 1.21 |
| Sample | Viscosity (cP) | Shear Stress (dyne/cm2) | SR (s−1) | Speed (RPM) | Temperature (°C) |
|---|---|---|---|---|---|
| R1 | 156.74 | 177.03 | 186 | 200 | 22.31 |
| R2 | 167.45 | 230.52 | 186 | 200 | 23.33 |
| R3 | 220.29 | 281.03 | 186 | 200 | 22.40 |
| R4 | 235.81 | 396.93 | 186 | 200 | 23.19 |
| R5 | 239.60 | 435.70 | 186 | 200 | 23.10 |
| R6 | 241.22 | 461.80 | 186 | 200 | 22.53 |
| Sample | Mass [g/m2] | Maximum Force (N) | Elongation to Maximum Force (%) | Permeability to Air (l/m2/s) | Water Vapor Permeability (%) | Hydrophilicity (s) | ||
|---|---|---|---|---|---|---|---|---|
| Warp | Weft | Warp | Weft | |||||
| C | 168 | 745 | 462 | 12.11 | 14.52 | 234.3 | 34.9 | Immediate |
| R1 | 176 | 761 | 474 | 14.06 | 14.71 | 140.4 | 36.2 | 1.20 |
| R2 | 172 | 768 | 468 | 17.24 | 21.30 | 147.2 | 35.3 | 1.40 |
| R3 | 181 | 763 | 479 | 16.80 | 20.60 | 146.4 | 35.3 | 1.30 |
| R4 | 182 | 787 | 471 | 15.23 | 13.95 | 140.7 | 29.5 | 1.40 |
| R5 | 185 | 757 | 463 | 13.70 | 15.21 | 130.4 | 31.0 | 1.60 |
| R6 | 189 | 755 | 478 | 15.81 | 18.37 | 129.4 | 33.1 | 1.70 |
| Code | E. coli | S. aureus | ||
|---|---|---|---|---|
| Inhibition Zone (mm) | Effect | Inhibition Zone (mm) | Evaluation | |
| R1 | 29 | Good | 29 | Good |
| R2 | 29 | Good | 29 | Good |
| R3 | 29 | Good | 29 | Good |
| R4 | 29 | Good | 29 | Good |
| R5 | 29 | Good | 29 | Good |
| R6 | 29 | Good | 29 | Good |
| C | 0 | Insufficient | 0 | Insufficient |
Disclaimer/Publisher’s Note: The statements, opinions and data contained in all publications are solely those of the individual author(s) and contributor(s) and not of MDPI and/or the editor(s). MDPI and/or the editor(s) disclaim responsibility for any injury to people or property resulting from any ideas, methods, instructions or products referred to in the content. |
© 2024 by the authors. Licensee MDPI, Basel, Switzerland. This article is an open access article distributed under the terms and conditions of the Creative Commons Attribution (CC BY) license (https://creativecommons.org/licenses/by/4.0/).
Share and Cite
Chirilă, L.; Stan, M.S.; Olaru, S.; Popescu, A.; Lite, M.-C.; Toma, D.; Voinea, I.C. Novel Collagen-Based Emulsions Embedded with Palmarosa Essential Oil, and Chamomile and Calendula Tinctures, for Skin-Friendly Textile Materials. Materials 2024, 17, 3867. https://doi.org/10.3390/ma17153867
Chirilă L, Stan MS, Olaru S, Popescu A, Lite M-C, Toma D, Voinea IC. Novel Collagen-Based Emulsions Embedded with Palmarosa Essential Oil, and Chamomile and Calendula Tinctures, for Skin-Friendly Textile Materials. Materials. 2024; 17(15):3867. https://doi.org/10.3390/ma17153867
Chicago/Turabian StyleChirilă, Laura, Miruna S. Stan, Sabina Olaru, Alina Popescu, Mihaela-Cristina Lite, Doina Toma, and Ionela C. Voinea. 2024. "Novel Collagen-Based Emulsions Embedded with Palmarosa Essential Oil, and Chamomile and Calendula Tinctures, for Skin-Friendly Textile Materials" Materials 17, no. 15: 3867. https://doi.org/10.3390/ma17153867
APA StyleChirilă, L., Stan, M. S., Olaru, S., Popescu, A., Lite, M.-C., Toma, D., & Voinea, I. C. (2024). Novel Collagen-Based Emulsions Embedded with Palmarosa Essential Oil, and Chamomile and Calendula Tinctures, for Skin-Friendly Textile Materials. Materials, 17(15), 3867. https://doi.org/10.3390/ma17153867

