Assessment of the Effectiveness of Protective Coatings in Preventing Steel Corrosion in the Marine Environment
Abstract
1. Introduction
2. Materials and Methods
2.1. Materials
2.2. Preparation of Microcomposite Polymeric Layer by Adding Kreutzonit Particles
2.3. Electrochemical Mesurements
- -
- Measurement of the open circuit potential for 1 h, with a measuring period of 0.6s.
- -
- General corrosion—Rp and Vcorr; scan rate—5 mV/s; overvoltage—40 mV; OCP duration—1 min; determined measure—50 Rp; step duration—0.6 s; step amplitude—3 mV; total time—70 min; and initial scan—cathodic.
2.4. Characterization of Surfaces Studied
3. Results and Discussions
3.1. Coating Thickness
3.2. Contact Angle and Roughness of the Surface Studied
3.3. Microhardness of the Surface Studied
3.4. Electrochemical Evaluation of the Coatings
3.4.1. Variation in OCP (Open Circuit Potential) During Immersion Time
3.4.2. Evolution of Rp and Vcorr During Immersion Time
3.5. Structural FTIR Analysis Before and After Corrosion
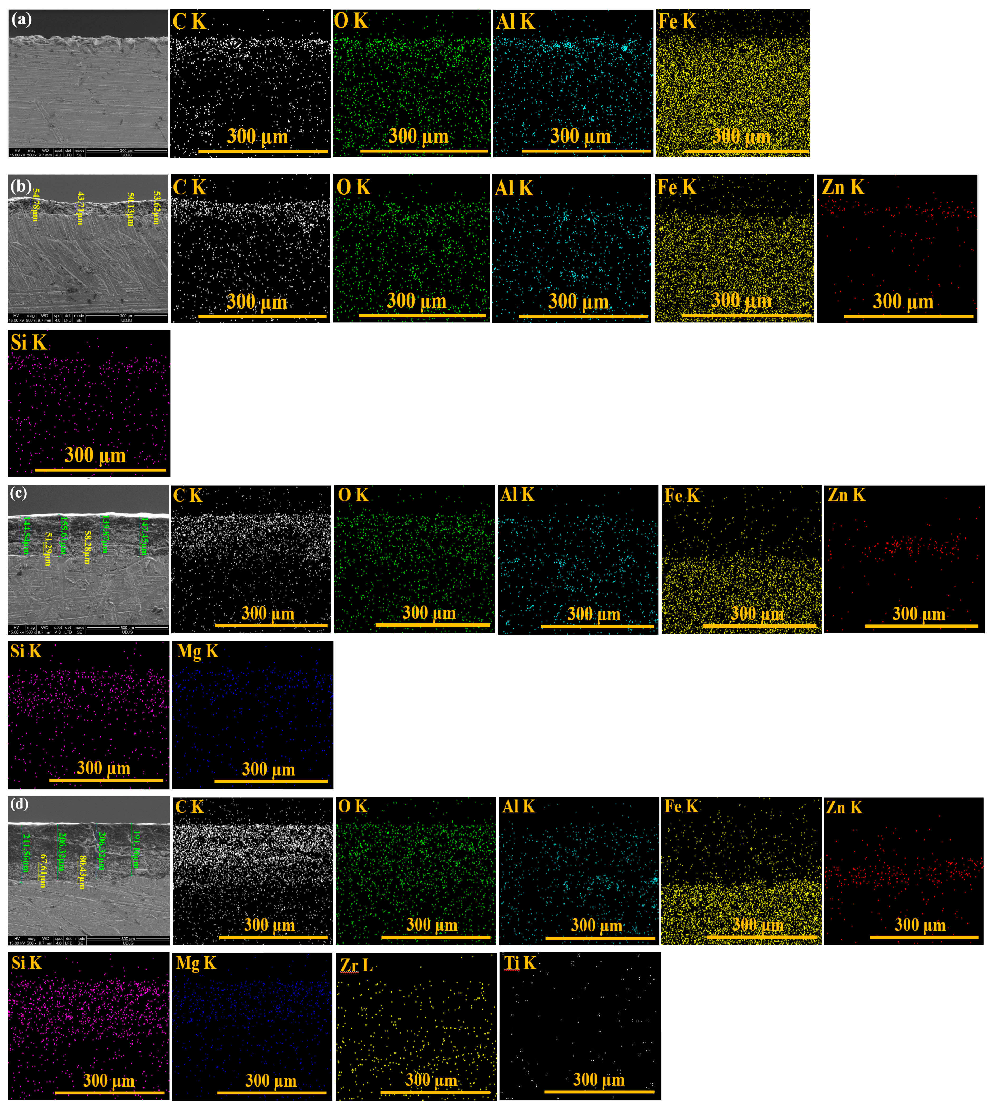
3.6. SEM-EDX Analysis Before and After Corrosion
3.7. XRD Analysis Before and After Corrosion
4. Conclusions
Author Contributions
Funding
Institutional Review Board Statement
Data Availability Statement
Acknowledgments
Conflicts of Interest
References
- Hossen, A.; Mahmud, M.R.; Islam, M.A.; Ahsan, S.K.; Mondal, M.I.H. Minimization of corrosion in aquatic environment—A review. Int. J. Hydro. 2023, 7, 9–16. [Google Scholar] [CrossRef]
- Abdel-Samad, A.; Soud, Y.; Zaki, M. Influence of paint on steel corrosion for marine applications. J. Surf. Eng. Mater. Adv. Technol. 2014, 4, 189–195. [Google Scholar] [CrossRef]
- Alcántara, J.; de la Fuente, D.; Chico, B.; Simancas, J.; Díaz, I.; Morcillo, M. Marine atmospheric corrosion of carbon steel: A Review. Materials 2017, 10, 406. [Google Scholar] [CrossRef] [PubMed]
- López-Ortega, A.; Bayón, R.; Arana, J.L. Evaluation of protective coatings for high-corrosivity category atmospheres in offshore applications. Materials 2019, 12, 1325. [Google Scholar] [CrossRef]
- Popescu, A.M.; Demidenko, O.; Yanushkevich, K.; Donath, C.; Neacsu, E.I.; Constantin, V. Influence of seawater corrosion on structure and magnetic properties of the SR355JR and S355J2 carbon steels. J. Mex. Chem. Soc. 2022, 66, 300–311. [Google Scholar] [CrossRef]
- Refait, P.; Grolleau, A.M.; Jeannin, M.; Rémazeilles, C.; Sabot, R. Corrosion of carbon steel in marine environments: Role of the corrosion product layer. Corros. Mater. Degrad. 2020, 1, 198–218. [Google Scholar] [CrossRef]
- Gao, J.; Wang, N.; Chen, H.; Xu, X. The Influence of 1 wt.% Cr on the corrosion resistance of low-alloy steel in marine environments. Metals 2023, 13, 1050. [Google Scholar] [CrossRef]
- Zhu, Q.; Zhang, B.; Zheng, M.; Zhao, X.; Xu, J. Corrosion behaviors of S355 steel under simulated tropical marine atmosphere conditions. J. Mater. Eng. Perform. 2022, 31, 10054–10062. [Google Scholar] [CrossRef]
- Jaén, J.A.; Guzmán, K.; Iglesias, J.; Caballero Manrique, G. Ten years outdoor exposure of steel in an urban and coastal tropical atmosphere. Corros. Eng. Sci. Technol. 2021, 56, 522–529. [Google Scholar] [CrossRef]
- Garcia, B.; Lamzoudi, A.; Pillier, F.; Nguyen, H.; Thi, L.; Deslouis, C. Oxide/polypyrrole composite films for corrosion protection of iron. J. Electrochem. Soc. 2002, 149, B560. Available online: https://iopscience.iop.org/article/10.1149/1.1517581/pdf (accessed on 5 January 2025). [CrossRef]
- Benea, L.; Simionescu, N.; Mardare, L. The effect of polymeric protective layers and the immersion time on the corrosion behavior of naval steel in natural seawater. J. Mater. Res. Technol. 2020, 9, 13174–13184. [Google Scholar] [CrossRef]
- Benea, L.; Mardare, L.; Simionescu, N. Anticorrosion performances of modified polymeric coatings on E32 naval steel in sea water. Prog. Org. Coat. 2018, 123, 120–127. [Google Scholar] [CrossRef]
- Ceriani, F.; Casanova, L.; Massimini, L.; Brenna, A.; Ormellese, M. TiO2 microparticles incorporation in coatings produced by plasma electrolytic oxidation (PEO) on Titanium. Coatings 2023, 13, 1718. [Google Scholar] [CrossRef]
- Hsissou, R. Review on epoxy polymers and its composites as a potential anticorrosive coatings for carbon steel in 3.5% NaCl solution: Computational approaches. J. Mol. Liq. 2021, 336, 116307. [Google Scholar] [CrossRef]
- Yang, H.; Dong, Y.; Li, X.; Gao, Y.; He, W.; Liu, Y.; Mu, X.; Zhao, Y.; Fu, W.; Wang, X.; et al. Development of a mechanically robust superhydrophobic anti-corrosion coating using micro-hBN/nano-Al2O3 with multifunctional properties. Ceram. Int. 2025, 51, 491–505. [Google Scholar] [CrossRef]
- Droniou, P.; Fristad, W.E.; Liang, J.L. Nanoceramic-based conversion coating: Ecological and economic benefits position process as a viable alternative to phosphating systems. Met. Finish. 2005, 103, 41–43. [Google Scholar] [CrossRef]
- Alves, H.; Ferreira, M.G.S.; Köster, U. Corrosion behavior of nanocrystalline (Ni70Mo30) 90B10 alloys in 0.8 M KOH solution. Corros. Sci. 2003, 45, 1833–1845. [Google Scholar] [CrossRef]
- Zheludkevich, M.L.; Serra, R.; Montemor, M.F. Corrosion protective properties of nanostructured sol–gel hybrid coatings to AA2024-T3. Surf. Coat. Technol. 2006, 200, 3084–3094. [Google Scholar] [CrossRef]
- Torknezhad, Y.; Khosravi, M.; Assefi, M. Corrosion protection performance of nanoparticle incorporated epoxy paint assessed by linear polarization and electrochemical impedance spectroscopy. Mater. Corros. 2018, 69, 472–480. [Google Scholar] [CrossRef]
- Lutz, A.; van den Berg, O.; Van Damme, J.; Verheyen, K.; Bauters, E.; De Graeve, I.; Du Perez, F.E.; Terryn, H. A shape-recovery polymer coating for the corrosion protection of metallic surfaces. ACS. Appl. Mater. Interfaces 2015, 7, 175–183. [Google Scholar] [CrossRef]
- Megahed, M.; Abd El-Aziz, K.; Saber, D. Characterization of steel lined with multilayer micro/nano-polymeric composites. Sci. Rep. 2022, 12, 19194. [Google Scholar] [CrossRef] [PubMed]
- Ramezanzadeh, B.; Attar, M.M. Studying the effects of micro and nano sized ZnO particles on the corrosion resistance and deterioration behavior of an epoxy-polyamide coating on hot-dip galvanized steel. Prog. Org. Coat. 2011, 71, 314–328. [Google Scholar] [CrossRef]
- Behzadnasab, M.; Mirabedini, S.M.; Esfandeh, M. Corrosion protection of steel by epoxy nanocomposite coatings containing various combinations of clay and nanoparticulate zirconia. Corros. Sci. 2013, 75, 134–141. [Google Scholar] [CrossRef]
- Rajitha, K.; Mohana, K.N.S.; Mohanan, A.; Madhusudhana, A.M. Evaluation of anti-corrosion performance of modified gelatingraphene oxide nanocomposite dispersed in epoxy coating on mild steel in saline media. Colloids Surf. A Physicochem. Eng. Asp. 2020, 587, 124341. [Google Scholar] [CrossRef]
- Sharifi Golru, S.; Attar, M.M.; Ramezanzadeh, B. Studying the influence of nano-Al2O3 particles on the corrosion performance and hydrolytic degradation resistance of an epoxy/polyamide coating on AA-1050. Prog. Org. Coat. 2014, 77, 1391–1399. [Google Scholar] [CrossRef]
- Satpal, S.; Bhopale, A.; Deshpande, P.; Athawale, A. Fabrication of ZnO-functionalized polypyrrole microcomposite as a protective coating to enhance anticorrosion performance of low carbon mild steel. J. Appl. Polym. Sci. 2019, 137, 48319. [Google Scholar] [CrossRef]
- Chang, J.; Wang, Z.; Han, E.H.; Liang, X.; Wang, G.; Yi, Z.; Na, L. Corrosion resistance of tannic acid, d-limonene and nano-ZrO2 modified epoxy coatings in acid corrosion environments. J. Mater. Sci. Technol. 2021, 65, 137–150. [Google Scholar] [CrossRef]
- Zhang, F.; Liu, W.; Wang, S.; Shi, H.; Liu, C.; Liang, L.; Pi, K. Engineering MXenes (Ti3C2Tx) surface with TiO2 for enhancing anti-corrosion performance of coatings. Polymer 2021, 230, 124086. [Google Scholar] [CrossRef]
- Chen, C.; He, Y.; Xiao, G.; Wu, Y.; He, Z.; Zhong, F. Zirconia doped in carbon fiber by electrospinning method and improve the mechanical properties and corrosion resistance of epoxy. Prog. Org. Coat. 2018, 125, 420–431. [Google Scholar] [CrossRef]
- Yang, J.; Chen, A.; Liu, F.; Gu, L.; Xie, X.; Ding, Z. Hybrid coating of polydimethylsiloxane with nano-ZrO2 on magnesium alloy for superior corrosion resistance. Ceram. Int. 2022, 48, 35280–35289. [Google Scholar] [CrossRef]
- Qin, Z.; Su, Y.; Bai, Y.; Lu, H.; Peng, T.; Zhong, H.; Chen, T.; Du, X. Improving the corrosion resistance of Zn-rich epoxy coating with three-dimensional porous graphene. Polymers 2023, 15, 4302. [Google Scholar] [CrossRef] [PubMed]
- Liu, W.; Li, J.; Huang, X.; Bi, J. Corrosion protection of Q235 steel using epoxy coatings loaded with calcium carbonate microparticles modified by sodium lignosulfonate in simulated concrete pore solutions. Materials 2021, 14, 1982. [Google Scholar] [CrossRef] [PubMed]
- Chopra, I.; Ola, S.K.; Veena Dhayal, P.; Shekhawat, D.S. Recent advances in epoxy coatings for corrosion protection of steel: Experimental and modelling approach-A review. Mater. Today 2022, 62, 1658–1663. [Google Scholar] [CrossRef]
- Bahgat Radwan, A.; Ibrahim, M.A.; Ismail, E.H.; El Basiony, N.M.; El-Hout, S.I.; Zughaier, S.M.; Hassiba, M.; Hassan, M.K.; Okonkwo, P.C.; Al-Qahtani, N.; et al. Anticorrosion properties of robust and UV-durable poly(vinylidene fluoride-co-hexafluoropropylene)/carbon nanotubes superhydrophobic coating. Ind. Eng. Chem. Res. 2024, 63, 1380–1395. [Google Scholar] [CrossRef]
- EN ISO 8501-1:2007; Corrosion Protection of Steel Structures by Painting. ISO: Geneva, Switzerland, 2007.
- Bogatu, N.; Muresan, A.C.; Mardare, L.; Ghisman, V.; Ravoiu, A.; Dima, F.M.; Buruiana, D.L. The influence of different type materials of grit blasting on the corrosion resistance of S235JR carbon steel. Inventions 2023, 8, 39. [Google Scholar] [CrossRef]
- Megahed, M.; Agwa, M.A.; Megahed, A.A.W. Effect of ultrasonic parameters on the mechanical properties of glass fiber reinforced polyester filled with nano-clay. J. Ind. Text. 2022, 51, 2944S–2959S. [Google Scholar] [CrossRef]
- Megahed, A.A.W.; Agwa, M.A.; Megahed, M. Can ultrasonic parameters affect the impact and water barrier properties of nanoclay filled glass fiber/polyester composites? J. Ind. Text. 2022, 51, 1118S–1137S. [Google Scholar] [CrossRef]
- Megahed, A.A.W.; Megahed, M. Fabrication and characterization of functionally graded nanoclay/glass fiber/epoxy hybrid nanocomposite laminates. Iran. Polym. J. 2017, 26, 673–680. [Google Scholar] [CrossRef]
- Vera, R.; Bagnara, M.; Henríquez, R.; Muñoz, L.; Rojas, P.; Díaz-Gómez, A. Performance of anticorrosive paint systems for carbon steel in the antarctic marine environment. Materials 2023, 16, 5713. [Google Scholar] [CrossRef]
- Zhang, W.; Xia, W.; Chen, Z.; Zhang, G.; Qian, S.; Lin, Z. Comparison of the cathodic protection of epoxy resin coating/Zinc-rich coatings on defective areas under atmospheric and immersion conditions: The secondary activation of Zinc Particles. Coatings 2024, 14, 336. [Google Scholar] [CrossRef]
- Bandeira, R.M.; van Drunen, J.; Garcia, A.C.; Tremiliosi-Filho, G. Influence of the thickness and roughness of polyaniline coatings on corrosion protection of AA7075 aluminum alloy. Electrochim. Acta 2017, 240, 215–224. [Google Scholar] [CrossRef]
- Evgeny, B.; Hughes, T.; Eskin, D. Effect of surface roughness on corrosion behaviour of low carbon steel in inhibited 4 M hydrochloric acid under laminar and turbulent flow conditions. Corros. Sci. 2016, 103, 196–205. [Google Scholar] [CrossRef]
- Joo, M.; Chiu, T.M.; Castaneda, H.; Soucek, M.D. Corrosion resistance of alkoxysilane modified bisphenol—A epoxide coatings. Prog. Org. Coat. 2019, 134, 209–218. [Google Scholar] [CrossRef]
- Schweinsberg, D.P.; George, G.A.; Nanayakkara, A.K.; Steinert, D.A. The protective action of epoxy resins and curing agents-inhibitive effects on the aqueous acid corrosion of iron and steel. Corros. Sci. 1988, 28, 33–42. [Google Scholar] [CrossRef]
- Trentin, A.; Pakseresht, A.; Duran, A.; Castro, Y.; Galusek, D. Electrochemical characterization of polymeric coatings for corrosion protection: A review of advances and perspectives. Polymers 2022, 14, 2306. [Google Scholar] [CrossRef]
- Fandi, M.; Liu, L. Electrochemical Evaluation Technologies of Organic Coatings. In Coatings and Thin-Film Technologies; Perez-Taborda, J.A., Bernal, A.G.A., Eds.; IntechOpen: London, UK, 2018; pp. 49–67. [Google Scholar]
- Wolstenholme, J. Electrochemical methods of assessing the corrosion of painted metals—A review. Corros. Sci. 1973, 13, 521–530. [Google Scholar] [CrossRef]
- Toshev, Y.; Mandova, V.; Boshkov, N.; Stoychev, D.; Petrov, P.; Tsvetkova, N.; Raichevski, G.; Tsvetanov, C.; Gabev, A.; Velev, R.; et al. Protective coating of zinc and zinc alloys for industrial applications. In 4M 2006—Second International Conference on Multi-Material Micro Manufacture, 2nd ed.; Menz, W., Dimov, S., Fillon, B., Eds.; Elsevier: Amsterdam, The Netherlands, 2006; pp. 323–326. [Google Scholar] [CrossRef]
- Papavinasam, S. Electrochemical polarization techniques for corrosion monitoring. In Techniques for Corrosion Monitoring; Yang, L., Ed.; Woodhead Publishing: Sawston, UK, 2008; pp. 49–85. [Google Scholar] [CrossRef]
- Sriramadasu, R.C.; Lu, Y.; Banerjee, S.; Sriramula, S. Advances in corrosion monitoring of reinforced concrete using active and passive sensing approaches. In The Rise of Smart Cities. Advanced Structural Sensing and Monitoring Systems; Alavi, A.H., Feng, M.Q., Jiao, P., Sharif-Khodaei, Z., Eds.; Butterworth-Heinemann: Oxford, UK, 2022; pp. 407–429. [Google Scholar] [CrossRef]
- Gotic’, M.; Musić, S. Mo¨ssbauer, FT-IR and FE SEM investigation of iron oxides precipitated from FeSO4 solutions. J. Mol. Struct. 2007, 834–836, 445–453. [Google Scholar] [CrossRef]
- Zafar, F.; Bano, H.; Mahmood, A.; Corvo, F.; Rodriguez, J. Physicochemical studies of mild steel corrosion and atmospheric corrosivity mapping of Karachi: An important harbor city of modern Maritime Silk Route. Mater. Corros. 2020, 71, 1557–1575. [Google Scholar] [CrossRef]
- Chubar, N.; Gerda, V.; Szlachta, M.; Yablokova, G. Effect of Fe oxidation state (+2 versus +3) in precursor on the structure of Fe oxides/carbonates-based composites examined by XPS, FTIR and EXAFS. Solid State Sci. 2021, 121, 106752. [Google Scholar] [CrossRef]
- Wang, H.; Yuan, M.; Zhang, J.; Bai, Y.; Zhang, K.; Li, B.; Zhang, G. Rational element-doping of FeOOH-based electrocatalysts for efficient ammonia electrosynthesis. EES Catal. 2024, 2, 324–334. [Google Scholar] [CrossRef]
- Dahon, N.H.; Kassim, M.J.; Razali, N.N.; Yuslee, E.M.F.M.; Nasrullah, A.A.; Basri, N.F. FTIR analysis on phase transformation of rust in the presence of gambir. J. Glob. Sci. Res. 2018, 1, 54–62. [Google Scholar]
- Mahović Poljaček, S.; Tomašegović, T.; Leskovšek, M.; Stanković Elesini, U. Effect of SiO2 and TiO2 nanoparticles on the performance of UV visible fluorescent coatings. Coatings 2021, 11, 928. [Google Scholar] [CrossRef]
- O’Driscoll, S. Magnesium Oxide Use as a Pigment in Coating Formulations. Bachelor’s Thesis, Engineering Senior Western Michigan University, Kalamazoo, MI, USA, 1996. [Google Scholar]
- He, C.-G.; Song, Z.-B.; Gan, Y.-Z.; Ye, R.-W.; Zhu, R.-Z.; Liu, J.-H.; Xu, Z.-B. Study on the corrosion behavior and mechanism of ER8 wheel steel in neutral NaCl solution. Coatings 2022, 12, 713. [Google Scholar] [CrossRef]
- Dong, X.; Zhai, X.; Zhang, Y.; Yang, J.; Guan, F.; Duan, J.; Sun, J.; Zhang, R.; Hou, B. Steel rust layers immersed in the South China Sea with a highly corrosive Desulfovibrio strain. npj Mater. Degrad. 2022, 6, 91. [Google Scholar] [CrossRef]
- Seechurn, Y.; Wharton, J.A.; Surnam, B.Y.R. Mechanistic modelling of atmospheric corrosion of carbon steel in Port-Louis by electrochemical characterisation of rust layers. Mater. Chem. Phys. 2022, 291, 126694. [Google Scholar] [CrossRef]
- Wang, J.; Jiang, B.; Cao, J. Corrosion mechanism of Q235A under 3.5% NaCl salt spray. Mater. Trans. 2020, 61, 2342–2347. [Google Scholar] [CrossRef]
- Cai, S.; Ji, H.; Zhu, F.; Pei, W.; Xiao, W.; Tang, X. Research on the corrosion behavior of Q235 pipeline steel in an atmospheric environment through experiment. Materials 2022, 15, 6502. [Google Scholar] [CrossRef]
- Duffó, G.S.; Reinoso, M.; Ramos, C.P.; Farina, S.B. Characterization of steel rebars embedded in a 70-year old concrete structure. Cement. Concrete. Res. 2012, 42, 111–117. [Google Scholar] [CrossRef]
- Sun, R.; Yu, Q.; Zhang, Y.; Yan, X.; Lu, Y.; Zhang, C.; Wang, Q. Effect of Si content on the corrosion behavior of 420 MPa weathering steel. Metals 2019, 9, 486. [Google Scholar] [CrossRef]
- Möller, H.; Boshoff, E.T.; Froneman, H. The corrosion behaviour of a low carbon steel in natural and synthetic seawaters. J. South Afr. Inst. Min. Metall. 2006, 106, 585–592. [Google Scholar]
- Qi, C.; Weinell, C.E.; Dam-Johansen, K.; Wu, H. Assessment of anticorrosion performance of zinc-rich epoxy coatings added with zinc fibers for corrosion protection of steel. ACS Omega 2023, 8, 1912–1922. [Google Scholar] [CrossRef] [PubMed]
- Afshar, A.; Jahandari, S.; Rasekh, H.; Rahmani, A.; Saberian, M. Effects of different coatings, primers, and additives on corrosion of steel rebars. Polymers 2023, 15, 1422. [Google Scholar] [CrossRef] [PubMed]
- Zhang, J.; Huang, H.; Ma, J.; Huang, L.; Huang, L.; Chen, X.; Zeng, H.; Ma, S. Preparation and properties of corrosion-resistant coatings from waterborne polyurethane modified epoxy emulsion. Front. Mater. 2019, 6, 185. [Google Scholar] [CrossRef]

















| C | Si | Mn | P | S | N | Cu | Fe |
|---|---|---|---|---|---|---|---|
| 0.24 | 0.55 | 1.60 | 0.035 | 0.035 | 0.012 | 0.55 | Balance |
| Chemical Properties | |
|---|---|
| ZrO2 | 64–65.5% |
| SiO2 | 33–34% |
| Fe2O3 | 0.10% |
| TiO2 | 0.15% |
| Physical properties | |
| Specific weight | 4.6 g/cm3 |
| Melting point | 2200 °C |
| Mohs hardness | 7.5 |
| Particle size | 5 µm |
| Title | Abbreviation |
|---|---|
| S355JR steel blasted with Al2O3 | S355JR S |
| S355JR steel blasted and coated with epoxy primer enriched with zinc | S355JR SG |
| S355JR steel blasted and coated with epoxy primer and polyurethane paint | S355JR SGV |
| S355JR steel blasted and subsequently coated with epoxy primer and then polyurethane paint to which kreutzonit particles had been added | S355JR SGVMp |
| pH | Electrical Conductivity [mS/cm] | Salinity [g/L] | TDS [ppt] |
|---|---|---|---|
| 8.13 | 23.8 | 15.68 | 16.23 |
| Surface Studied | S355JR S | S355JR SG | S355JR SGV | S355JR SGVMp | ||||
|---|---|---|---|---|---|---|---|---|
| Times Studied | Rp [kohm cm2] | Vcorr [µm/an] | Rp [kohm cm2] | Vcorr [µm/an] | Rp [kohm cm2] | Vcorr [µm/an] | Rp [kohm cm2] | Vcorr [µm/an] |
| T1—1 h after immersion | 0.410 ± 0.034 | 186.86 ± 19.63 | 3.139 ± 0.169 | 24.20 ± 1.32 | 624.115 ± 35.278 | 0.120 ± 0.008 | 1861.269 ± 23.351 | 0.0490 ± 0.002 |
| T2—after 2 weeks | 1.240 ± 0.026 | 60.941 ± 0.132 | 30.770 ± 0.120 | 2.458 ± 0.068 | 1221.80 ± 70.011 | 0.0745 ± 0.001 | 2445.15 ± 33.735 | 0.0328 ± 0.003 |
| T3—after 4 weeks | 1.178 ± 0.016 | 64.702 ± 0.567 | 31.569 ± 0.666 | 2.395 ± 0.050 | 1445.15 ± 34.100 | 0.0729 ± 0.006 | 2621.17 ± 25.127 | 0.0303 ± 0.002 |
| T4—after 6 weeks | 0.959 ± 0.108 | 79.706 ± 0.669 | 29.646 ± 0.750 | 2.550 ± 0.064 | 1728.46 ± 42.039 | 0.0454 ± 0.004 | 2989.09 ± 43.668 | 0.0241 ± 0.001 |
| T5—after 8 weeks | 0.158 ± 0.021 | 478.31 ± 28.453 | 28.281 ± 0.882 | 2.576 ± 0.034 | 1553.67 ± 48.932 | 0.0628 ± 0.002 | 3245.97 ± 76.196 | 0.0204 ± 0.003 |
| T6—after 10 weeks | 0.134 ± 0.009 | 561.26 ± 17.253 | 29.336 ± 0.019 | 2.563 ± 0.089 | 1550.28 ± 64.155 | 0.0630 ± 0.002 | 3305.42 ± 59.862 | 0.0185 0.012 |
| T7—after 12 weeks | 0.125 ± 0.014 | 604.45 ± 54.741 | 22.242 ± 0.329 | 3.398 ± 0.104 | 1628.54 ± 52.483 | 0.0546 ± 0.021 | 2950.28 ± 39.891 | 0.0252 ± 0.067 |
| T8—after 14 weeks | 0.112 ± 0.018 | 671.12 ± 60.073 | 12.286 ± 0.422 | 6.175 ± 0.832 | 1641.79 ± 48.746 | 0.0542 ± 0.007 | 2935.41 ± 41.743 | 0.0257 ± 0.002 |
| T9—after 16 weeks | 0.075 ± 0.005 | 1342.01 ± 81.439 | 13.261 ± 1.219 | 5.800 ± 0.742 | 1587.90 ± 37.958 | 0.0608 ± 0.004 | 2938.74 ± 34.285 | 0.0255 ± 0.003 |
| T10—after 18 weeks | 0.119 ± 0.010 | 631.60 ± 58.437 | 11.563 ± 1.162 | 6.538 ± 0.917 | 1528.82 ± 42.546 | 0.0664 ± 0.002 | 2943.71 ± 46.231 | 0.0254 ± 0.008 |
| T11—after 20 weeks | 0.114 ± 0.007 | 658.76 ± 59.018 | 15.565 ± 2.138 | 4.856 ± 0.429 | 1523.25 ± 40.129 | 0.0671 ± 0.002 | 2918.61 ± 52.195 | 0.0261 ± 0.001 |
| T12—after 22 weeks | 0.109 ± 0.011 | 692.75 ± 62.498 | 14.383 ± 2.018 | 5.257 ± 0.379 | 1493.66 ± 39.055 | 0.0705 ± 0.003 | 2919.99 ± 48.932 | 0.0262 ± 0.004 |
Disclaimer/Publisher’s Note: The statements, opinions and data contained in all publications are solely those of the individual author(s) and contributor(s) and not of MDPI and/or the editor(s). MDPI and/or the editor(s) disclaim responsibility for any injury to people or property resulting from any ideas, methods, instructions or products referred to in the content. |
© 2025 by the authors. Licensee MDPI, Basel, Switzerland. This article is an open access article distributed under the terms and conditions of the Creative Commons Attribution (CC BY) license (https://creativecommons.org/licenses/by/4.0/).
Share and Cite
Bogatu, N.; Buruiana, D.L.; Muresan, A.C.; Ghisman, V.; Lupu, A.; Mardare, L.; Herbei, E.E.; Basliu, V.; Ceoromila, A.; Florescu, S. Assessment of the Effectiveness of Protective Coatings in Preventing Steel Corrosion in the Marine Environment. Polymers 2025, 17, 378. https://doi.org/10.3390/polym17030378
Bogatu N, Buruiana DL, Muresan AC, Ghisman V, Lupu A, Mardare L, Herbei EE, Basliu V, Ceoromila A, Florescu S. Assessment of the Effectiveness of Protective Coatings in Preventing Steel Corrosion in the Marine Environment. Polymers. 2025; 17(3):378. https://doi.org/10.3390/polym17030378
Chicago/Turabian StyleBogatu, Nicoleta, Daniela Laura Buruiana, Alina Crina Muresan, Viorica Ghisman, Anca Lupu, Laurentiu Mardare, Elena Emanuela Herbei, Vasile Basliu, Alina Ceoromila, and Stefan Florescu. 2025. "Assessment of the Effectiveness of Protective Coatings in Preventing Steel Corrosion in the Marine Environment" Polymers 17, no. 3: 378. https://doi.org/10.3390/polym17030378
APA StyleBogatu, N., Buruiana, D. L., Muresan, A. C., Ghisman, V., Lupu, A., Mardare, L., Herbei, E. E., Basliu, V., Ceoromila, A., & Florescu, S. (2025). Assessment of the Effectiveness of Protective Coatings in Preventing Steel Corrosion in the Marine Environment. Polymers, 17(3), 378. https://doi.org/10.3390/polym17030378

