Abstract
HfC and HfTaC2 coatings with gradient composition manufactured by double-cathode glow discharge plasma surface metallurgy technology were designed to improve the wear resistance of TA15 titanium alloy. The deposition mechanism of plasma and diffusion mechanism of atoms were investigated, and the growth process of coatings was revealed. The mechanical properties comprising microhardness and elastic modulus were investigated via first-principles calculations and experimental verification. The results reveal that the wear resistance of HfC and HfTaC2 coatings with abrasive wear mechanism is always better than that of the substrate with abrasive wear, adhesive wear and oxidation wear mechanism. The volume wear rates of the coatings are reduced by 90%–97% compared with the substrate, and that of HfTaC2 coatings are reduced by 29.9%–45.5% compared with HfC coatings. Furthermore, V-shaped cross section profiles of wear scars formed on HfC coatings, and U-shaped on HfTaC2 coatings, which is attributed to the addition of tantalum which causes HfC to form a sufficient solid solution, a 0.187–0.030 Å elongation of Ta-C bond length and 0.039–0.051 Å shortening of Hf-C bond length led to the unit cell shrinkage and the Bragg lattice changes from face-centered cubic to face-centered square lattice; accordingly, hardness and wear behavior were further improved.
1. Introduction
Titanium alloys are extensively used in the aerospace field by virtue of their remarkable advantages, such as excellent corrosion resistance, low density, high specific strength and so on. However, low hardness, large friction coefficient and poor wear resistance have limited the application scope of titanium alloys. In particular, the fatal problems caused by poor wear resistance seriously harm the service life of TA15 titanium alloy [1,2,3,4,5,6,7,8,9,10].
In contrast to titanium alloys, transition metal carbides and nitrides have better wear resistance [11,12,13,14,15]. HfC and TaC especially exhibit high melting point, high strength, high hardness, high elastic modulus and good wear resistance because of their mixed ionic-covalent-metallic bonds [12,16]. It is worth mentioning that HfxTa1−xC (the solid solution formed by HfC and TaC) has better properties than pure HfC or TaC [17,18]. Since the HfxTa1−xC solid solution came into being, investigators have been trying to obtain a single-phase solid solution and enhance its densification [19,20,21,22,23], and have paid attention to its mechanical properties. The research on its mechanical properties can be divided into two categories: one is to estimate its mechanical properties by theoretical calculation, the other is to evaluate its mechanical properties by experiment. Kim [24] calculated the mechanical properties based on the first principles. The results showed that the theoretical hardness value of HfxTa1−xC solid solution ceramics can reach 26–30 GPa, which was verified by the test results of Patsera’s work [20], which found the hardness of HfxTa1−xC solution ceramics to be as high as 27.4 GPa. The past experimental results [19] showed that the micro-hardness of HfxTa1−xC solution ceramics is about 50% higher than that of TaC ceramics and HfC ceramics, among which Hf0.5Ta0.5C has the highest hardness of about 20 GPa, and the elastic modulus also increases. Additionally, researchers [23] have experimentally shown that if the densification and solid solubility are approximately the same, the hardness of solid solution ceramics (HfxTa1−xC) will show a trend of reaching the maximal value around x = 0.5 under the multiple effects of chemical bonding strength, valence electron structure and metallicity. The above studies showed that HfxTa1−xC has good mechanical properties and potential application value as an abrasion-proof material and can be used as a protective coating, and Hf0.5Ta0.5C has the best mechanical properties than other HfxTa1−xC.
However, most of these studies are focused on bulk ceramics, and there is still a gap in studies on HfxTa1−xC thin films. Gu [25] prepared HfC, TaC, (Hf, Ta)C solid solution and HfC-TaC mixed phase coating by magnetron sputtering technology. The results showed that (Hf, Ta)C solid solution film exhibits the best mechanical properties compared to other films—the hardness of (Hf, Ta)C solid solution film is (36 ± 0.51 GPa), and the friction coefficient is about 0.3. Some scholars have also prepared HfxTa1−xC coating on the surface of carbon/carbon composites, but they have either prepared multi-layer alternating coatings [26], two-phase coatings composed of HfC and HfTaC2 [27] or there is HfO2 impurity [28]. At present, few have realized the preparation of single solid solution coating.
Surface modification technology is one of the most effective methods to improve the wear resistance of titanium alloys [29]. However, traditional surface technologies such as magnetron sputtering, atmospheric plasma spraying and other methods have the disadvantage of poor coating–substrate bonding force. In particular, when ceramic coatings are prepared on metal surfaces, there are composition mutations at the coating–substrate interface and the mismatch of physical properties between metal and ceramic; the phenomenon of coating peeling often occurs due to stress concentration caused by the mismatch of physical properties in actual service. Compared with these deposition techniques, double-cathode glow discharge plasma surface metallurgy technology (DG technology) can realize continuous gradient change in composition between coating and matrix and realize metallurgical combination [30], so as to relieve stress concentration caused by composition mutation, obtain stronger adhesion between coating and substrate, and extend the service life of the coatings [31,32]. In addition, many kinds of gradient ceramic coatings for titanium alloys have been successfully prepared with DG technology by virtue of the above advantages [9,31].
Therefore, inspired by the above researches, HfTaC2 (solid solution of Hf0.5Ta0.5C) coatings were prepared by DG technology to improve the tribological properties of TA15 alloy in this work, and pure HfC coatings were prepared as the comparative experiment. Then, the growth process of HfTaC2 and HfC coatings were illustrated based on deposition mechanism of plasma and diffusion mechanism of atoms; mechanical properties and tribological properties of the coatings were analyzed with first-principles calculations and experimental verification.
2. Materials and Methods
2.1. Coating Preparation
In the pre-treating work, TA15 alloy with the dimensions of 15 mm × 15 mm × 4 mm was selected as substrate. The surfaces of samples were ground with SiC emery paper (#180~#400), then the surfaces to be coated were ground with SiC emery paper (#800~#2000) and were polished with Cr2O3 water suspension. Finally, all of the samples were ultrasonic cleaned with anhydrous ethanol for 10 min and dried. High purity hafnium (99.95%), tantalum (99.95%) and graphite (99.99%) were selected as sources(targets) for coating preparation. Each target material has the same dimensions of 60 mm × 20 mm × 3 mm.
Pure HfC coatings and HfTaC2 coatings were prepared by DG technology. Different from the bias sputtering, the hollow cathode effect is realized by the double cathode in DG technology, which makes the temperature in the vacuum furnace increase, then not only the sputtering rate increases, but also the cross-diffusion layer with metallurgical bonding strength is obtained. In this paper, the work power and target power were supplied by a direct-current power supply and a radio frequency power supply respectively, as shown in Figure 1. The distance from the lower surface of targets to the upper surface of specimen maintained 12 mm. Considering that HfC and TaC have tight covalent bonds and low self-diffusion coefficients [33], the diffusion time was set to 8 h. The specific experimental parameters of DG technology were listed in Table 1.
Figure 1.
Schematic representation of DG technology.
Table 1.
The specific experimental parameters of DG.
Prior to the coating process, the vacuum chamber was evacuated to base pressure lower than 0.1 Pa with a mechanical pump, and the working medium gas is high purity argon (99.99%). A 30-min Argon-ion cleaning was performed to the substrate (400 V, 30 min) and targets (800 V, 10 min) at pressure of 20 Pa. Then, an eight-hour-co-diffusion was performed to the substrate (400 V) and targets (800 V) at pressure of 20 Pa, and the flow of Ar was maintained at 100 sccm. After co-diffusion, the voltage was reduced slowly (at a rate of 10 V/min), and the samples were cooled with the furnace.
The phase compositions of the coatings were characterized by X-ray diffraction (XRD) analyzer with a Bruker D8-ADVANCE diffractometer (Bruker AXS GmbH, Billerica, MA, USA, Cu Kα radiation, λ = 0.154 nm). In order to accurately determine the phase structure of the coatings, low Angle incidence (1°) is applied. The surface roughness of the coatings was assessed by atomic force microscopy (AFM, Bruker, Billerica, MA, USA). The surface morphologies and cross-sectional microstructures were observed via SEM (TESCAN LYRA3, 15 kV, Tescan, Brno, Czech Republic). The elemental composition distribution of the surface and cross-sectional was detected by the energy dispersive spectroscopic system (EDS) equipped in the SEM.
2.2. Friction and Wear Experiment
The wear resistance of the substrate and the coatings was tested with a CFT-I tribometer testing machine (Lanzhou Compound Institute, Lanzhou, China) at room temperature (25 °C). GCr15 balls with a diameter of 3 mm were selected as friction pairs. In order to explore wear behavior under different load conditions, the applied loads are 2.2, 4.2 and 6.2 N, respectively. The specific experimental parameters of the friction test were listed in Table 2.
Table 2.
The specific experimental parameters of friction and wear test.
The morphologies of worn surface were observed by SEM (TESCAN LYRA3, 15 kV), the compositions of worn surface were detected by the EDS equipped in the SEM. Worn surface contour was analyzed with a three-dimensional optical interference morphometry. The average value of five cross-section areas of the wear scars was calculated as cross-section areas. The volume wear rate was calculated by Equation (1) deduced from Ref [34,35].
RV = V/W = Al/(F·S)
Herein, V means volume (mm3) of wear scars, W means sliding friction work, A means cross-section area (mm2) of wear scars, l means the length (mm) of wear scars, F means average sliding friction and S means total sliding distance (m).
2.3. Theoretical Elastic Properties and Hardness
Based on the variation of energy and stress strain relationship, the theoretical hardness and elastic stiffness tensor of HfC and HfTaC2 were carried out [36]. A series of strains (from −0.015 to 0.015) varied with a step of 0.005 for all of the second-order elastic coefficients, were designed to calculate the elastic stiffness tensor via the second derivative of the total energy with respect to strain curves. When the elastic stiffness tensor was calculated, bulk modulus B and shear modulus G can be expressed as Equations (2)–(5) on the basis of the Voigt-Reuss-Hill (VRH) approximations [37,38,39],
BR = 1/((s11 + s22 + s33) + 2(s12 + s13 + s23))
GR = 15/(4(s11 + s22 + s33) − 4(s12 + s13 + s23) + 3(s44 + s55 + s66))
Bv = 1/9(c11 + c22 + c33) + 2/9(c12 + c13 + c23)
Gv = 1/15(c11 + c22 + c33 − c12 − c13 − c23) + 1/5(c44 + c55 + c66)
Hill’s scheme [37] further optimized the upper limit and lower limit of the modulus values investigated by Voigt and Reuss, summarized the more approximate formulas which can be expressed as Equations (6) and (7):
BH = 1/2(Bv + BR)
GH = 1/2(Gv + GR)
Whereafter, Poisson’s ratio ν and Young’ s modulus E are determined by bulk modulus and shear modulus, the theoretical hardness was calculated according to Young’s modulus and the bulk modulus, the formula can be expressed as Equations (8)–(10) [39]:
v = (3B − 2G)/(2(3B + G))
E = 9BG/(3B + G)
H = 0.130548 × E2.248494 × B−1.516759
3. Results
3.1. Characterization of Coatings
HfC coatings and HfTaC2 coatings were obtained by adjusting the material of the targets under the same experimental conditions. The surface microtopography of different coatings is shown in Figure 2.
Figure 2.
The surface topography of (a) HfC coatings and (b) HfTaC2 coatings.
The surface topography feature of the HfC coating is shown in Figure 2a. It can be seen that distinct cauliflower-like structures are distributed on the surface, which is the result of agglomeration. Larger cauliflower structure is the area of early nucleation and growth, while smaller cauliflower structure is the area of later nucleation. After magnification, it can be observed that the cauliflower-like structure is composed of sub-micron particles. Spot 1 on the cauliflower-like structure was selected to analyze the contents of Hf and C. The atom percent of Hf and C on spot 1 is approximately equal, implying the chemical composition is HfC with the support of X-ray diffraction results (Figure 3). In contrast, the atom percent of C is slightly higher than that of Hf in the chemical composition of spot 2 in areas where there are no cauliflower-like structures, confirming the existence of graphite phase in XRD results. The surface topography feature of HfTaC2 coatings is shown in Figure 2b, different from HfC coatings, there is no cauliflower-like structure on the surface. Instead, a typical uniform high-density microstructure with some ill-defined fluctuation can be seen with the increase of magnification, implying the formation of a solid solution. The reason for the uniformity of the structure is that the addition of tantalum increases the sputtering rate and nucleate locations on the surface. Although nucleate agglomerations grow in the shape of islands, they contact each other and turn into lamellar growth before they grow up. On the other hand, doping of Ta increases the compressive stress during the growth of islands [40], and the effect of the stress suppression on the edge of islands also makes the size of islands more uniform [41]. In the chemical composition of spot 3 in the convex area, the atom percent of C is approximately equal to the sum of Hf and Ta, the atomic percentage of tantalum and hafnium is about 1:1, indicating that the chemical composition of solid solution is Hf0.5Ta0.5C. The content of C on spot 4 in the concave area is slightly higher than the sum of Hf and Ta, demonstrating that in addition to the existence of Hf0.5Ta0.5C, there is also a small amount of graphite, which is also consistent with the XRD pattern in Figure 3.
Figure 3.
XRD pattern for HfC and HfTaC2 coatings.
The XRD patterns of HfC coatings and HfTaC2 coatings are presented in Figure 3. It can be seen that the main components of HfC coatings are HfC (PDF#97-061-8017) and a small quantity of graphite, while that of HfTaC2 coatings are a small amount of graphite and HfTaC2 (PDF#97-007-7018). Moreover, the shape of HfTaC2 coatings’ diffraction peaks is symmetric, indicating that the single phase is formed, which means HfC and TaC formed a uniform and sufficient solid solution [42]. Compared with the HfC standard spectral line, the diffraction peaks of the HfTaC2 coatings deviated to a higher Angle, the diffraction peaks of (100), (200), (220), (311) moved 0.7°, 1.1°, 1.8° and 2.3° to high Angle, respectively, suggesting that with the increase of 2θ, the offset increases gradually. It should be due to the lattice shrinkage of the hafnium carbide triggered by the doping of tantalum. The radius of tantalum atoms (0.1457 nm) is smaller than that of hafnium (0.1585 nm). According to Bragg equation (Equation (11)) [43]:
2dsinθ = nλ
Herein, d is the distance between (hkl) crystal planes, n can be taken as any positive integer, which is called the reflection series, and λ is the wavelength of incident wave (λ = 0.154 nm).
When tantalum atoms diffuse into the hafnium carbide lattice and undergo atomic substitution, the crystal cell shrinks and the lattice constant becomes smaller, consequently, crystalline interplanar spacing decreases, the diffraction peak shifts to a higher Angle.
The surface roughness is reflected in Figure 4. The surface roughness value is calculated by Equation (12):
Figure 4.
Surface roughness of (a) HfC coatings and (b) HfTaC2 coatings.
Herein, Ra is the surface roughness value, l = 10 μm, n ≥ 5, |y| represents the maximal height of the contour (μm).
It can be calculated that the surface roughness value of HfC coating is Ra 0.1 μm, and that of HfTaC2 coatings is about Ra 0.025 μm. When the coatings are deposited on the substrate, the surface of the substrate will be damaged by sputtering deposition. The crystals of the coatings often nucleate at the scattered damage position or grain boundary on the surface, and then grow into clusters or islands. Clusters or islands grow and expand, so that the coating can grow [44]. It is the island growth pattern that changes the surface roughness of the coating, which will be discussed in Section 3.3.
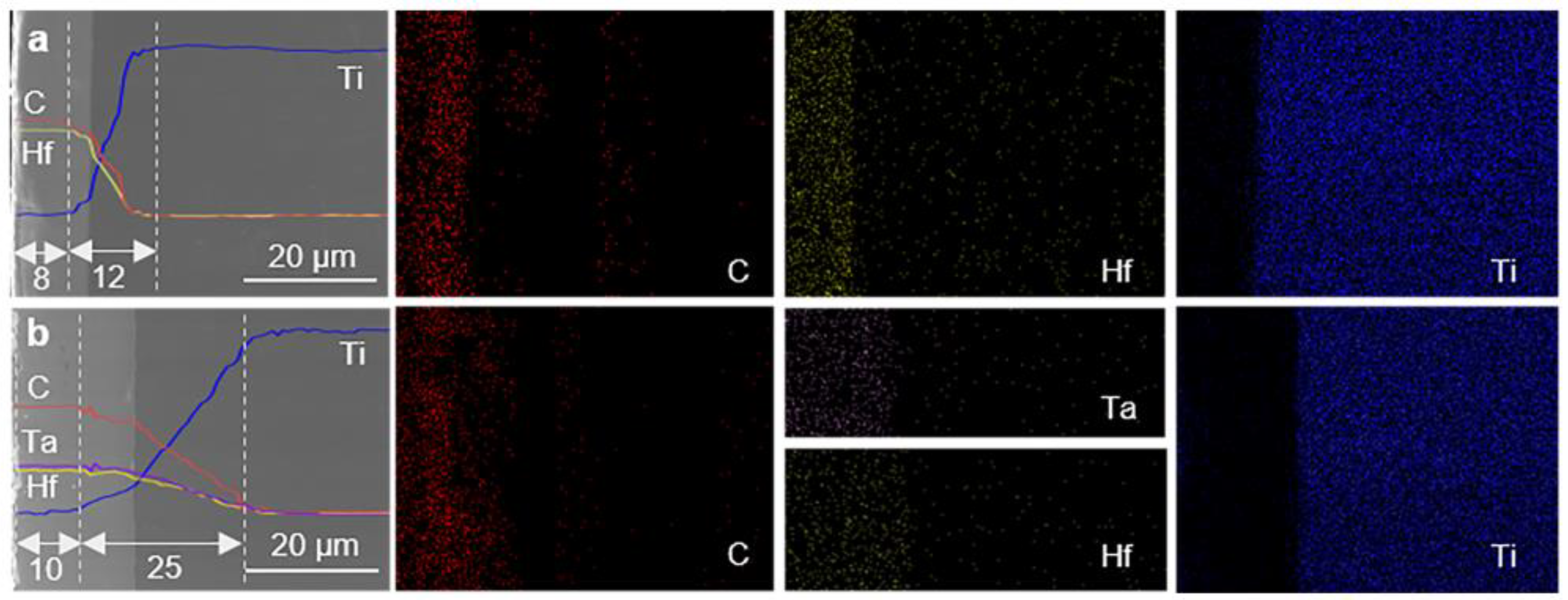
The cross-section morphology of the coatings is shown in Figure 5. The contrast between the white part and shade part reflects the phase difference between the coating and the substrate, instead of the thin film-matrix interface, confirmed by the composition variation trend of line scanning. Corresponding mapping scanning shows the distribution of different elements inthe cross section. It can be seen that the HfC coating primarily contains Hf and C, the HfTaC2 coating mainly contains Hf, Ta and C, while the substrate mainly contains Ti. During the transition from coating to substrate, the contents of Hf and C decrease while the contents of Ti increase in HfC coating, and the contents of Hf, Ta and C decrease while that of Ti increase in HfTaC2 coating, which indicates the existence of a transition layer. The thickness of HfC coating and its transition layer are approximately 8 and 12 μm, respectively. Likewise, the thickness of HfTaC2 coatings and its transition layer are approximately 10 and 25 μm, respectively.
Figure 5.
Section morphology and composition of (a) HfC coatings and (b) HfTaC2 coatings.
3.2. Mechanical Properties
3.2.1. Theoretical Elastic Properties and Hardness
The higher the symmetry of the crystal system is, the less the number of independent tensors is. Hafnium carbide belongs to the cubic system, and it has three independent elastic coefficients, while Hf0.5Ta0.5C belongs to the tetragonal system and has six independent elastic coefficients. The calculated second-order elastic coefficients are listed in Table 3. Among them, c11, c22 and c33 represent resistance to principal strains, and c44, c55 and c66 represent resistance to shear deformation. It can be seen from the data in Table 3 that the second-order elastic coefficients of Hf0.5Ta0.5C solid solution are higher than those of HfC. c11, c22 and c33 are approximately 76.4, 130.9, and 76.4 GPa higher than HfC, respectively, indicating that the stiffness of Hf 0.5Ta0.5C solid solution is superior to that of HfC. c44, c55 and c66 are about 11.4, 5.4 and 11.4 GPa higher than HfC respectively, indicating that the shear elastic deformation resistance of Hf0.5Ta0.5C solid solution is also improved compared with HfC.
Table 3.
The calculated second-order elastic coefficients.
The ratio of G/B is typically used to evaluate the machinability of materials [45]. Hardness is closely related to the wear resistance of materials. Therefore, G/B and Vickers hardness H are further calculated. Table 4 summarizes the average value of calculated bulk modulus B, calculated shear modulus G, calculated Poisson’s ratio v, calculated the Young’s modulus E, calculated ratio of G/B and calculated Vickers hardness H. As proved by the data in Table 4, theoretically the G/B of HfC and Hf0.5Ta0.5C solid solution are between 0.5–1.0, which means that they both have good machinability. Whereas, other elastic parameters and Vickers hardness values of Hf0.5Ta0.5C solid solution are higher than that of HfC, indicating that Hf0.5Ta0.5C solid solution has superior strength than HfC.
Table 4.
The calculated elastic parameters.
From the phenomenon that the crystal structure of HfC is changed after tantalum doping, the elastic behavior and hardness of HfC and Hf0.5Ta0.5C solid solution might be different in different directions, so the direction-dependent Young’s modulus and Vickers hardness were calculated.
The theoretical direction-dependent Young’s modulus of the HfC and Hf0.5Ta0.5C are reflected in Figure 6a,c, Figure 6b,d represent the corresponding projections in the direction [111]. Young’s modulus of hafnium carbide in the directions of [100], [001] and [010] are equal, and without evident anisotropy, while that of Hf0.5Ta0.5C in the directions of [010] are significantly higher than those in the directions of [100] and [001], which is attributed to the fact that Ta-doping makes some tantalum atoms replace hafnium atoms, and the original Hf-C bond becomes Ta-C bond. The lower limit and upper limit of the elastic modulus of the hafnium carbide are 408.745 and 492.688 GPa, while that of Hf0.5Ta0.5C are 438.602 and 622.170 GPa, which confirms that the elastic modulus of the hafnium carbide is increased via tantalum doping, representing a better resistance to uniaxial tensions or compressions.
Figure 6.
The direction-dependent Young’s modulus and its planar projections on [111]. (a,b) HfC, and (c,d) Hf0.5Ta0.5C.
The theoretical hardness of HfC and Hf0.5Ta0.5C in different directions was calculated based on the elastic modulus E and bulk modulus B, as shown in Figure 7. The theoretical hardness of hafnium carbide coatings ranges from 21.939 to 33.390 GPa, while that of HfTaC2 coatings is from 20.429 to 41.432 GPa. Similar to the elastic modulus, the anisotropy of the theoretical Vickers hardness value of hafnium carbide is lower than that of Hf0.5Ta0.5C solid solution, Hf0.5Ta0.5C has a maximum in the direction of [010], which is also due to the shrinkage of crystal cells and crystal structure changing from cubic to the tetragonal system.
Figure 7.
The direction-dependent hardness of (a) HfC and (b) Hf0.5Ta0.5C.
3.2.2. Experimental Elastic Properties and Hardness
The actual elastic modulus and nano hardness of coatings and substrate were measured by nano indentation, as shown in Figure 8. The average microhardness and elastic modulus of hafnium carbide coatings are 24.8 and 307.4 GPa, while the microhardness and elastic modulus of tantalum doped HfC coatings are 28.0 and 343.3 GPa, respectively. Compared with HfC coatings, the microhardness and Young’s modulus of HfTaC2 coatings increases by about 12.9% and 11.7% respectively, which is attributed to the formation of single-phase solid solution. Although the measured elastic modulus value is lower than the theoretical calculation value, the microhardness and elastic modulus of HfTaC2 coatings are always higher than that of HfC coatings, which is consistent with the change trend of the theoretical value of simulation calculation, and verifies the cell shrinkage and lattice constant change after tantalum doping, thus realizing the solid solution strengthening.
Figure 8.
Experimental elastic properties and hardness of coatings and substrate.
3.3. Mechanism of Coating Growth
Mechanism of coatings growth process is shown in Figure 9. The source electrode and the workpiece electrode are both Cathode, and the voltage is 800 and 400 V respectively, as shown in Figure 9a,d. During operation, Ar ions accelerate to the source and workpiece under the action of electric field, and bombard the surface of source and samples with high energy. Hf ions and electrons are bombarded from Hf source, Ta ions and electrons are bombarded from Ta source, and C ions and electrons are bombarded from C source. These fast-moving ions collide with electrons and ions to form Hf atoms, Ta atoms, C atoms, HfC molecules or TaC molecules. On the other hand, argon ions bombard the target, and the subsequent momentum transfer causes the neutral atoms of the target source to be blown out. These atoms are transported by discharge and attached to matrix [46]. At the same time, some Ti atoms in the near-surface also break away from the surface under the bombardment of argon ions. Substitutional solid solutions will form when these Ti atoms meet with Hf atoms and Ta atoms. The remaining kinetic energy causes atoms and molecules to move to the surface of the workpiece.
Figure 9.
Growth process of (a–c) HfC coatings and (d–f) HfTaC2 coatings.
Molecules will be deposited on the surface of the sample to form a coating, while atoms tend to diffuse internally. Hf atoms and Ta atoms diffuse into the crystal by vacancy concentration, which will replace Ti atoms and form substitutional solid solution. C atoms diffuse into the crystal by an interstitial diffusion mechanism, which will form an interstitial solid solution. However, on the one hand, there are face-centered cubic HfC deposited on the surface, on the other hand, under the action of the electric field, wave after wave of atoms and molecules move to the sample surface, although some atoms have enough time to diffuse internally, while the next wave of atoms have no adequate time to diffuse internally and deposit on the surface of the sample to form coatings, as shown in Figure 9b,e.
The radius of carbon atom is far less than that of hafnium atom and tantalum atom, so when the coating is deposited on the surface, carbon atom tends to exist in the interstitial position, and form face-centered cubic structure (NaCl-type structure) of hafnium carbide or solid solution.
Atoms and molecules deposited on the surface of the sample form islands, so the coating nucleates and grows in island growth mode. Wave after wave of atoms deposit and form a layer structure, so it can be found that the growth mode of the coating is island-layered growth or Stranski-Krastonov growth mode [47,48]. After co-diffusion, the coating structure formed is shown in Figure 9c,f, and there is a transition layer between the coating and the substrate. There are concave areas and convex areas on the surface of both HfC coating and HfTaC2 coating, which is due to the island-layer growth mode of the coating, the islands are uneven in size, resulting in granular structures on the surface. The concave and convex in the HfTaC2 coatings are not as evident as those in the HfC coatings, the reason for which is that besides Hf and C atoms, there are also Ta atoms, face-centered cubic hafnium carbide and tantalum carbide formed solid solution with single-phase characteristics. The radius of hafnium and tantalum atoms are different, lattice distortion occurred when solid solution was formed, which made the uniformity of island size enhanced because of the stress suppression at the island edges [40,41]. Another reason for the small surface roughness value of the HfTaC2 coatings is that the sputtering rate of tantalum is large, so the nucleation position on the surface of the matrix increases, forming a small size and a large number of islands. At the same time, when the coating is deposited, the melting point of the solid solution is higher than that of the hafnium carbide, and due to cell shrinkage, the surface diffusivity is reduced, the matrix temperature is fixed, and the materials with high melting point and low surface diffusivity form smaller grain size in the process of island expansion and merger, and then solid solution is formed. Therefore, the islands amalgamated to form a coating with uniform thickness, and subsequently grew in a lamellar growth pattern, the surface roughness value is small.
3.4. Wear Resistance and Wear Mechanisms of Coatings and Substrate
Mean value of friction coefficients under different loads is shown in Figure 10. The average friction coefficient of the substrate, HfC coatings and HfTaC2 coatings under a load of 2.2 N are 0.50, 0.55 and 0.38, respectively. And that of HfC coatings and HfTaC2 coatings under a load of 4.2 N are 0.55, 0.32 and 0.30, respectively. Tested with a load of 6.2 N, the average friction coefficient of substrate, HfC coatings and HfTaC2 coatings are 0.6, 0.36 and 0.32, respectively. It can be seen that the friction coefficients of the coatings are always smaller than that of the matrix, and that of HfTaC2 coatings are always smaller than that of the HfC coatings, indicating that the wear process of the HfTaC2 coatings is more stable, which is owing to the high hardness of the surface and the lubricating effect of free graphite [49,50].
Figure 10.
The friction coefficients of coatings and the substrate.
Optical interferometer was used to analyze the three-dimensional contour of the wear scars, as shown in Figure 11. It can be seen that the wear degree of the coatings is comparatively lighter, while that of substrate is serious and the depth of its wear scars is not uniform, which is related to the wear mechanism detailed in next section.
Figure 11.
Three-dimensional topography of the wear scars under different load conditions at room temperature.
The corresponding wear profile under different load conditions is shown in Figure 12. The depth of the substrate is not uniform, so when selecting wear profile of the wear scars, five groups were selected first and arranged according to the order of the depth and width of the wear scars from small to large, and the median is selected as the representative of wear profile. It can be seen that under a 2.2 N load (Figure 12a), the widths of wear scars of substrate, HfC coating and HfTaC2 coating are 750, 270 and 200 μm, and the average depths of wear scars are 15, 0.9, 0.5 μm, respectively. Under 4.2 N load (Figure 12b), the wear widths of substrate, HfC coating and HfTaC2 coating are 800,600 and 350 μm, and the average wear depths are 20, 2.25, 1.5 μm, respectively. Under 6.2 N load (Figure 12c), the wear widths of substrate, HfC coating and HfTaC2 coating are 800, 600, and 500 μm, and the average wear depths are 22, 4.25, 2 μm, respectively. It can be seen that the wear width and depth of the coatings are much smaller than that of the substrate, and the wear width and depth of HfTaC2 coating are smaller than that of HfC coating. The volume wear rates of substrate and coatings under different load conditions are shown in Figure 13. It can be seen that the wear rate of coatings is 90%–97% smaller than that of the substrate. Under loads of 2.2, 4.2 and 6.2 N, the wear rates of HfTaC2 coatings are 45.5%, 26.6% and 29.9% smaller than that of HfC coatings, respectively. The wear profile and specific wear rates indicated that the wear resistance of the coatings is better than that of the substrate, and the wear resistance of HfTaC2 coatings is better than that of HfC coatings.
Figure 12.
Wear profile under a load of (a) 2.2 N, (b) 4.2 N and (c) 6.2 N.
Figure 13.
Volume wear rates of coatings and the substrate.
The surface topography figures of wear scars under different load conditions are shown in Figure 14. It can be seen that the width of the wear scars increases with the increase of the load, whether it is substrate or coating. Evidently, the wear resistance of substrate is poor, and there are obvious grooves, accumulated wear debris and dispersed fine wear debris in the wear track, which is the characteristic of abrasive wear. Meanwhile, there also exists different sizes of lamellar spalling phenomenon, and the diagram after lamellar spalling on the surface of a specimen is shown in Area 1 in Figure 15a, which conforms to adhesive wear model, and mainly due to the stick-slip behaviors of substrate [34,51,52]. With the increase in load, adhesive wear became more serious. Under the load of 6.2 N, micro-cracks are generated at the edge of the groove, as shown in Area 3 in Figure 15a, which is caused by the wear debris pressing into the coating under the vertical compressive stress. On the other hand, the oxygen content in wear track of the substrate is higher than that in unworn area, researchers [53,54,55] demonstrated that it is easy to produce oxide film of TiO2 and Al2O3 in the process of tear for Ti and Al, TiO2 and Al2O3 films are advantageous to anti-friction, however, the uneven distribution of oxide film results in uneven wear degree. As shown in Figure 15a, the area (Area 2) where oxide film is formed has shallower wear scars, while the area where oxide film is not formed has deeper wear scars, thus forming the contour of wear profiles as shown in Figure 14.
Figure 14.
The surface morphology of wear scars of coatings and the substrate.
Figure 15.
Wear mechanism diagram of (a) Substrate and (b) Coatings; crystal structure of (c) HfC and (d) Hf0.5Ta0.5C; (e) Change of bond length.
The wear behavior of the two coatings is similar. Although the graphite on the surface plays a role of lubrication to make the wear process stable, the wear rate increases with the increase of load. The wear mechanisms of the two coatings are both abrasive wear. However, the wear rates of HfTaC2 coatings are always less than HfC coatings. And cross section profiles of wear scars of HfC coatings are roughly V-shaped, while that of HfTaC2 coatings is roughly U-shaped. These differences are attributed to the solid solution strengthening of tantalum doping hafnium carbide. Tantalum doping increases the anisotropy of mechanical properties, as shown in Figure 6 and Figure 7. It can be speculated that the anisotropy of crystal also increases. The crystal structure of tantalum doped hafnium carbide was simulated by first-principles calculation, and the crystal structure of Ta-doped hafnium carbide lattice was simulated by random substitution model, as shown in Figure 15d. Compared with the crystal structure of HfC (Figure 15c), after the tantalum atom replaces the hafnium atom, the lattice constant of axis b is shortened from 4.550 to 4.526 Å, which means the unit cell shrinks and the Bragg lattice changes from face-centered cubic to face-centered square lattice. According to the standard CIF card, the bond length of the Hf-C is 2.314 Å and that of the Ta-C is 2.450 Å. However, as shown in Figure 15e, the bond length of Hf-C decreases 0.039 Å in axis a and axis c, while that of Ta-C increases 0.030 Å; the bond length of Hf-C decreases 0.051 Å in axis b, while that of Ta-C increases 0.187 Å. The elongation and shortening of the bond length lead to cell shrinkage, so the microhardness and wear resistance increases, and volume wear rate decreases in HfTaC2 coatings. Macroscopically, the wear debris was generated on the surface of the sample in the wear process. When the friction pair crossed the surface of the sample next time, part of the wear debris spilled from the wear scars, and a small amount of wear debris couldn’t be discharged in time, so squeezed to the surface. When the friction pair was pressed against the wear debris, a large stress was generated, which made the wear debris scratch the surface of the coatings. For HfC coatings, the wear debris created a deeper furrow, as shown in Area 4 in Figure 15b, whereas for HfTaC2 coatings, the higher surface hardness prevented the wear debris from moving with the friction pair and created a pockmark on the surface, as shown in Area 5 in Figure 15b. Therefore, V-shaped cross section profiles of wear scars formed on HfC coatings, while U-shaped cross section profiles of wear scars formed on HfTaC2 coatings, as shown in Area 1, Area 2 and Area 3 in Figure 12.
4. Discussion
Admittedly, the understanding emerging from this paper motivates the innovation of preparation method of Hf-Ta-C ternary ceramic coatings, primary research on wear behavior of Hf-Ta-C ternary ceramic, as well as applications and the development of wear-resistant coatings on TA15 titanium alloy. However, On the one hand, there exists a littleamount of graphite in the coatings prepared by DG technology, although graphite can be the lubricant in room temperature wear condition, it will turn into CO or CO2 while in a long-term service at high temperature (over 500 °C), which may not only damage the compactness of the coating, but also be environmentally unfriendly. On the other hand, there exist still many problems in the design and preparation of HfxTa1−xC, of which DG technology only solves a few. The method of large-scale preparation and industrial production of the coating are still worth exploring.
Based on the above analysis, the further research of anti-wear HfxTa1−xC coatings can be done in following two aspects: one is to explore the better process steps in DG technology to reduce the graphite content in HfTaC2 coating and the other is to explore mass-produced and cheaper methods for coating preparation, so that HfxTa1−xC can be of practical use as protective coatings in the field of areospace.
5. Conclusions
The main conclusions of this study could be drawn as follows:
(1). Gradient HfC coatings with a thickness of 20 μm and HfTaC2 coatings with a thickness of 35 μm were prepared on the surface of TA15 titanium alloy. The reason for the difference in coating thickness is that the diffusion rate of tantalum atoms is higher than that of hafnium atoms.
(2). The main composition of HfC coatings and HfTaC2 coatings are HfC and Hf0.5Ta0.5C solid solution respectively. The growth mechanism of the two coatings is Stranski-Krastonov growth mode. besides, the mechanical properties of Hf0.5Ta0.5C is better than that of pure HfC due to the solid solution strengthening.
(3). The volume wear rates of the coatings are 90%–97% smaller than that of substrate. The wear mechanism of the substrate is abrasive wear, adhesion wear and oxidation wear, while that of coatings is abrasive wear. The high hardness of coatings and the lubricative effect of the graphite contributes to the better wear resistance of two coatings compared to the substrate.
(4). Cell shrinkage makes the anisotropy of Hf0.5Ta0.5C higher than that of HfC, leading to the better wear resistance of HfTaC2 coatings. The shorter bond length of HfTaC2 coatings contributes to the higher elastic modulus, hardness and better wear resistance of it. Thus, the specific wear rate of HfTaC2 coatings is lower relatively.
Author Contributions
Conceptualization, J.L. and Q.M.; methodology, J.L.; software, R.L. and X.T.; validation, H.Z., R.L. and J.L.; formal analysis, J.L.; investigation, J.L.; resources, H.Z., J.S., W.Y., J.X., M.L. and K.Z.; data curation, J.L.; writing—original draft preparation, J.L.; writing—review and editing, H.Z. and R.L.; visualization, J.L., K.Z. and J.Z.; supervision, Q.M.; project administration, W.L.; funding acquisition, Q.M. and W.L. All authors have read and agreed to the published version of the manuscript.
Funding
This research was funded by the National Natural Science foundation of China (Grant No. 51874185); the National Major Science and Technology Projects of China (2017-IV-00-05-0042); and the National Natural Science foundation of China (Grant No. 52272065).
Institutional Review Board Statement
Not applicable.
Informed Consent Statement
Not applicable.
Data Availability Statement
Not applicable.
Conflicts of Interest
The authors declare no conflict of interest.
References
- Ma, Z.; Song, J.; Fan, H.; Hu, T.; Hu, L. Preparation and study on fretting tribological behavior of composite lubrication structure on the titanium alloy surface. Coatings 2022, 12, 332. [Google Scholar] [CrossRef]
- Wang, X.; Qu, D.; Duan, Y.; Peng, M. Wear and corrosion properties of a B–Al composite layer on pure titanium. Ceram. Int. 2022, 48, 12038–12047. [Google Scholar] [CrossRef]
- Danışman, Ş.; Odabaş, D.; Teber, M. The effect of TiN, TiAlN, TiCN thin films obtained by reactive magnetron sputtering method on the wear behavior of Ti6Al4V alloy: A comparative study. Coatings 2022, 12, 1238. [Google Scholar] [CrossRef]
- Guo, Y.; Xu, L.; Luan, J.; Wan, Y.; Li, R. Effect of carbon nanotubes additive on tribocorrosion performance of micro-arc oxidized coatings on Ti6Al4V alloy. Surf. Interfaces 2022, 28, 101626. [Google Scholar] [CrossRef]
- Kenzhegulov, A.; Mamaeva, A.; Panichkin, A.; Alibekov, Z.; Kshibekova, B.; Bakhytuly, N.; Wieleba, W. Comparative study of tribological and corrosion characteristics of TiCN, TiCrCN, and TiZrCN coatings. Coatings 2022, 12, 564. [Google Scholar] [CrossRef]
- Mora-Sanchez, H.; Pixner, F.; Buzolin, R.; Mohedano, M.; Arrabal, R.; Warchomicka, F.; Matykina, E. Combination of electron beam surface structuring and plasma electrolytic oxidation for advanced surface modification of Ti6Al4V alloy. Coatings 2022, 12, 1573. [Google Scholar] [CrossRef]
- Qi, K.; Yang, Y.; Liang, W.; Jin, K.; Xiong, L. Effect of magnetic field on the microstructure and wear properties of TiB2/metal composite layers synthesized in situ by laser cladding on Ti–6Al–4V alloy. Ceram. Int. 2021, 47, 29463–29474. [Google Scholar] [CrossRef]
- Prosolov, K.; Mitrichenko, D.; Prosolov, A.; Nikolaeva, O.; Lastovka, V.; Belyavskaya, O.; Chebodaeva, V.; Glukhov, I.; Litvinova, L.; Shupletsova, V.; et al. Zn-doped CaP-based coatings on Ti–6Al–4V and Ti–6Al–7Nb alloys prepared by magnetron sputtering: Controllable biodegradation, bacteriostatic, and osteogenic activities. Coatings 2021, 11, 809. [Google Scholar] [CrossRef]
- Shi, W.; Miao, Q.; Liang, W.; Liu, Y.; Yin, M.; Xu, X.; Xue, L. Gas-solid erosion characteristics of CrAl/CrAlN duplex layer coating deposited by RF magnetron sputtering. Surf. Interfaces 2021, 22, 100843. [Google Scholar] [CrossRef]
- Zhu, Y.; Song, X.; Ma, G.; Chen, H.; Jiang, D.; Liu, M.; Cui, H. Microstructure and properties of TiAl composite coatings prepared by laser cladding under multi-Phase β0/CoAl2Ti phase strengthening. Coatings 2022, 12, 1593. [Google Scholar] [CrossRef]
- Wuchina, E.; Opila, E.; Opeka, M.; Fahrenholtz, B.; Talmy, I. UHTCs: Ultra-high temperature ceramic materials for extreme environment applications. Electrochem. Soc. Interface 2007, 16, 30–36. [Google Scholar] [CrossRef]
- Suvorova (Buinevich), V.S.; Nepapushev, A.; Moskovskikh, D.; Trusov, G.; Kuskov, K.; Kolesnikov, E. Fabrication and oxidation resistance of the hafnium carbonitride—Silicon carbide composites. Ceram. Int. 2022, 48, 23870–23877. [Google Scholar] [CrossRef]
- Salhi, F.; Aissani, L.; Fellah, M.; Chadli, A.; Cheriet, A.; Belgroune, A.; Nouveau, C.; Obrosov, A.; Samad, M.A.; Alhussein, A. Experimental investigation of structural, wetting, mechanical and Tribological properties of TiZrN thin films deposited by magnetron sputtering. Surf. Interfaces 2021, 27, 101519. [Google Scholar] [CrossRef]
- Zuo, S.; Miao, Q.; Liang, W.; Xiao, F.; Liu, R.; Liu, Y.; Ding, Z.; Yang, Z. A study on the mechanical performance and medium temperature tribological behavior of plasma nitrocarburizing/TiAlSiN/DLC composite coating. Surf. Interfaces 2021, 27, 101489. [Google Scholar] [CrossRef]
- Wu, Z.; Chen, X.-J.; Struzhkin, V.V.; Cohen, R.E. Trends in elasticity and electronic structure of transition-metal nitrides and carbides from first principles. Phys. Rev. B 2005, 71, 214103. [Google Scholar] [CrossRef]
- Zhao, Y.; Xu, J.; Peng, S. Synthesis and evaluation of TaC nanocrystalline coating with excellent wear resistance, corrosion resistance, and biocompatibility. Ceram. Int. 2021, 47, 20032–20044. [Google Scholar] [CrossRef]
- Smith, C.J.; Yu, X.-X.; Guo, Q.; Weinberger, C.R.; Thompson, G.B. Phase, hardness, and deformation slip behavior in mixed HfxTa1−xC. Acta Mater. 2018, 145, 142–153. [Google Scholar] [CrossRef]
- De Monteynard, A.; Luo, H.; Chehimi, M.; Ghanbaja, J.; Achache, S.; François, M.; Sanchette, F. The structure, morphology, and mechanical properties of Ta-Hf-C coatings deposited by pulsed direct current reactive magnetron sputtering. Coatings 2020, 10, 212. [Google Scholar] [CrossRef]
- Cedillos-Barraza, O.; Grasso, S.; Al Nasiri, N.; Jayaseelan, D.D.; Reece, M.J.; Lee, W. Sintering behaviour, solid solution formation and characterisation of TaC, HfC and TaC–HfC fabricated by spark plasma sintering. J. Eur. Ceram. Soc. 2016, 36, 1539–1548. [Google Scholar] [CrossRef]
- Kurbatkina, V.; Patsera, E.; Levashov, E.; Timofeev, A. Self-propagating high-temperature synthesis of single-phase binary tantalum-hafnium carbide (Ta,Hf)C and its consolidation by hot pressing and spark plasma sintering. Ceram. Int. 2018, 44, 4320–4329. [Google Scholar] [CrossRef]
- Zhang, C.; Gupta, A.; Seal, S.; Boesl, B.; Agarwal, A. Solid solution synthesis of tantalum carbide-hafnium carbide by spark plasma sintering. J. Am. Ceram. Soc. 2017, 100, 1853–1862. [Google Scholar] [CrossRef]
- Zhang, J.; Wang, S.; Li, W. Nano-scale 1TaC-3HfC solid solution powder synthesized using a solvothermal method and its densification. Ceram. Int. 2019, 45, 1455–1459. [Google Scholar] [CrossRef]
- Zhang, J.; Wang, S.; Li, W. Consolidation and characterization of highly dense single-phase Ta-Hf-C solid solution ceramics. J. Am. Ceram. Soc. 2019, 102, 58–62. [Google Scholar] [CrossRef]
- Kim, J.; Kim, M.; Roh, K.-M.; Kang, I. Bond characteristics, mechanical properties, and high-temperature thermal conductivity of (Hf1−xTax) C composites. J. Am. Ceram. Soc. 2019, 102, 6298–6308. [Google Scholar] [CrossRef]
- Gu, X.; Yang, L.; Ma, X.; Dai, X.; Wang, J.; Wen, M.; Zhang, K. Ta addition effects on the structure, mechanical and thermal properties of sputtered Hf-Ta-C film. Ceram. Int. 2019, 45, 15596–15602. [Google Scholar] [CrossRef]
- Zhang, J.; Zhang, Y.; Zhu, X.; Fu, Y.; Chen, R.; Gai, W. Design and preparation of multilayer TaC/HfC coating: Ablation behavior under oxyacetylene flame with different heat flux. Corros. Sci. 2022, 204, 110385. [Google Scholar] [CrossRef]
- Wang, Y.-L.; Xiong, X.; Li, G.-D.; Liu, H.-F.; Chen, Z.-K.; Sun, W.; Zhao, X.-J. Preparation and ablation properties of Hf(Ta)C co-deposition coating for carbon/carbon composites. Corros. Sci. 2013, 66, 177–182. [Google Scholar] [CrossRef]
- Ren, J.; Feng, E.; Zhang, Y.; Zhang, J.; Li, L. Microstructure and anti-ablation performance of HfC-TaC and HfC-ZrC coatings synthesized by CVD on C/C composites. Ceram. Int. 2020, 46, 10147–10158. [Google Scholar] [CrossRef]
- Weng, F.; Chen, C.; Yu, H. Research status of laser cladding on titanium and its alloys: A review. Mater. Des. 2014, 58, 412–425. [Google Scholar] [CrossRef]
- Liu, J.B.; Wang, L.M.; Jiang, J.S. Al2Cu/α-Al composite coating prepared by plasma surface metallurgy. Mater. Lett. 2008, 62, 1569–1571. [Google Scholar] [CrossRef]
- Zhang, M.; Ma, Y.; Gao, J.; Hei, H.; Jia, W.; Bai, J.; Liu, Z.; Huang, X.; Xue, Y.; Yu, S.; et al. Mechanical, electrochemical, and osteoblastic properties of gradient tantalum coatings on Ti6Al4V prepared by plasma alloying technique. Coatings 2021, 11, 631. [Google Scholar] [CrossRef]
- Yuan, S.; Lin, N.; Zeng, Q.; Zhang, H.; Liu, X.; Wang, Z.; Wu, Y. Recent developments in research of double glow plasma surface alloying technology: A brief review. J. Mater. Res. Technol. 2020, 9, 6859–6882. [Google Scholar] [CrossRef]
- López-De-La-Torre, L.; Winkler, B.; Schreuer, J.; Knorr, K.; Avalos-Borja, M. Elastic properties of tantalum carbide (TaC). Solid State Commun. 2005, 134, 245–250. [Google Scholar] [CrossRef]
- Zhang, C.; Xu, J.; Sun, G.; Wei, X.; Xiao, J.; Zhang, G.; Yin, S. Wear behaviors of 5 wt % SiO2–Ni60 coatings deposited by atmospheric plasma spraying under dry and water-lubrication sliding conditions. Wear 2021, 470–471, 203621. [Google Scholar] [CrossRef]
- Jordi, L.; Iliev, C.; Fischer, T.E. Lubrication of silicon nitride and silicon carbide by water: Running in, wear and operation of sliding bearings. Tribol. Lett. 2004, 17, 367–376. [Google Scholar] [CrossRef]
- Wang, V.; Xu, N.; Liu, J.-C.; Tang, G.; Geng, W.-T. VASPKIT: A user-friendly interface facilitating high-throughput computing and analysis using VASP code. Comput. Phys. Commun. 2021, 267, 108033. [Google Scholar] [CrossRef]
- Zuo, L.; Humbert, M.; Esling, C. Elastic properties of polycrystals in the Voigt-Reuss-Hill approximation. J. Appl. Crystallogr. 1992, 25, 751–755. [Google Scholar] [CrossRef]
- Chinh, P.D. New estimates for macroscopic elastic moduli of random polycrystalline aggregates. Philos. Mag. 2006, 86, 205–226. [Google Scholar] [CrossRef]
- Liu, R.; Liang, W.; Miao, Q.; Zhao, H.; Zuo, S.; Chen, W.; Tao, X. Micromechanical analysis and theoretical predictions towards thermal shock resistance of HfO2-Si environmental barrier coatings. Compos. Part B Eng. 2021, 226, 109334. [Google Scholar] [CrossRef]
- Zhao, X.; Li, H.; Li, J.; Hu, J.; Huang, J.; Kong, J.; Wu, Q.; Shi, Y.; Xiong, D. Mechanical and tribological behaviors of hard and tough TaxHf1−xN films with various Ta contents. Surf. Coat. Technol. 2020, 403, 126412. [Google Scholar] [CrossRef]
- Klawtanong, M.; Srinitiwarawong, C.; Chatraphorn, P. Uniformity of strained islands in heteroepitaxial thin film growth with patterned substrates: A fast kinetic Monte Carlo study. Thin Solid Films 2018, 645, 431–435. [Google Scholar] [CrossRef]
- Zhang, J.; Wang, S.; Li, W.; Yu, Y.; Jiang, J. Understanding the oxidation behavior of Ta–Hf–C ternary ceramics at high temperature. Corros. Sci. 2020, 164, 108348. [Google Scholar] [CrossRef]
- Pope, C.G. X-ray diffraction and the bragg equation. J. Chem. Educ. 1997, 74, 129–131. [Google Scholar] [CrossRef]
- Liao, M.; Liu, Y.; Cui, P.; Qu, N.; Zhou, F.; Yang, D.; Han, T.; Lai, Z.; Zhu, J. Modeling of alloying effect on elastic properties in BCC Nb-Ti-V-Zr solid solution: From unary to quaternary. Comput. Mater. Sci. 2020, 172, 109289. [Google Scholar] [CrossRef]
- Luo, Y.; Wang, J.; Wang, J.; Li, J.; Hu, Z. Theoretical predictions on elastic stiffness and intrinsic thermal conductivities of yttrium silicates. J. Am. Ceram. Soc. 2014, 97, 945–951. [Google Scholar] [CrossRef]
- Salvat, F.; Jablonski, A.; Powell, C.J. elsepa—Dirac partial-wave calculation of elastic scattering of electrons and positrons by atoms, positive ions and molecules. Comput. Phys. Commun. 2005, 165, 157–190. [Google Scholar] [CrossRef]
- Liu, P.; Zhang, Y. Morphological evolution of heteroepitaxial islands during Stranski–Krastonov growth. Int. J. Solids Struct. 2007, 44, 1733–1744. [Google Scholar] [CrossRef][Green Version]
- Zhao, H.; Miao, Q.; Liang, W.; Yi, J.; Liu, R.; Xue, L.; Zuo, S. A study on pre-treatment with rotation accelerated shot peening in multi-NbN films by double glow plasma surface metallurgy. Surf. Coat. Technol. 2021, 405, 126671. [Google Scholar] [CrossRef]
- Lei, J.; Pu, J.; Zhang, R.; Xiong, L.; He, Z. Friction-induced transformation of isopropanol at self-mated WC tribopairs and tribological performance of the in-situ formed carbon. Surf. Interfaces 2020, 21, 100729. [Google Scholar] [CrossRef]
- Küçükosman, R.; Şüküroğlu, E.E.; Totik, Y.; Şüküroğlu, S. Investigation of wear behavior of graphite additive composite coatings deposited by micro arc oxidation-hydrothermal treatment on AZ91 Mg alloy. Surf. Interfaces 2021, 22, 100894. [Google Scholar] [CrossRef]
- Viswanathan, K.; Sundaram, N.K. Distinct stick-slip modes in adhesive polymer interfaces. Wear 2017, 376–377, 1271–1278. [Google Scholar] [CrossRef]
- Dong, C.; Shi, L.; Li, L.; Bai, X.; Yuan, C.; Tian, Y. Stick-slip behaviours of water lubrication polymer materials under low speed conditions. Tribol. Int. 2017, 106, 55–61. [Google Scholar] [CrossRef]
- Xian, G.; Xiong, J.; Zhao, H.; Xian, L.; Fan, H.; Li, Z.; Du, H. Study on the growth and wear behavior of the TiAlN-based composite coating deposited on TiCN-based cermets with different binder phase. Wear 2020, 460–461, 203460. [Google Scholar] [CrossRef]
- Niu, R.; Li, J.; Wang, Y.; Chen, J.; Xue, Q. Structure and high temperature tribological behavior of TiAlN/nitride duplex treated coatings on Ti6Al4V. Surf. Coat. Technol. 2017, 309, 232–241. [Google Scholar] [CrossRef]
- Lin, J.; Mishra, B.; Moore, J.; Sproul, W. A study of the oxidation behavior of CrN and CrAlN thin films in air using DSC and TGA analyses. Surf. Coat. Technol. 2008, 202, 3272–3283. [Google Scholar] [CrossRef]
Publisher’s Note: MDPI stays neutral with regard to jurisdictional claims in published maps and institutional affiliations. |
© 2022 by the authors. Licensee MDPI, Basel, Switzerland. This article is an open access article distributed under the terms and conditions of the Creative Commons Attribution (CC BY) license (https://creativecommons.org/licenses/by/4.0/).














